|
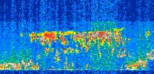
Displayed on this page are scaled, color-modulated, altitude-time images of CALIPSO attenuated backscatter (/km/sr) including:
- 532 nm total (parallel + perpendicular) attenuated backscatter
- 532 nm perpendicular attenuated backscatter
- 1064 nm total attenuated backscatter
The orbit track locations for the entire Level 1 .hdf file are in black and the orbit track locations corresponding to this page are color coded.
For the full scale images:
- the color bars for attenuated backscatter show the colors assigned to ranges of attenuated backscatter, /km/sr
- the horizontal axes are annotated with latitude (deg) and longitude (deg)
- the vertical axes are annotated to indicate altitude in kilometers
- the date and time of the measurements are listed as UTC time
- the names of the CALIPSO data products for the Lidar Level 1 attenuated backscatter granules are included
The scaled images on this page are organized by CALIPSO data product day and night orbit granules.
The maps with a shaded background indicate nightime measurements.
There are a maximum of 4 scaled images per granule.
The orbit tracks plotted on the maps show the measurement locations for each granule.
For each granule, the scaled images are ordered from left to right and their locations along the orbit tracks are color coded as: image one, image two, image three, image four.
Begin |
End | Number Profiles |
|---|---|---|
| 2014/07/09 00:21:33.6689 UTC | 2014/07/09 01:13:52.3344 UTC | 63285 |
|
|
|
|
|
Begin |
End | Number Profiles |
|---|---|---|
| 2014/07/09 01:13:52.3840 UTC | 2014/07/09 02:00:26.6213 UTC | 56340 |
|
|
|
|
|
Begin |
End | Number Profiles |
|---|---|---|
| 2014/07/09 02:00:26.6709 UTC | 2014/07/09 02:52:45.3374 UTC | 63285 |
|
|
|
|
|
Begin |
End | Number Profiles |
|---|---|---|
| 2014/07/09 02:52:45.3870 UTC | 2014/07/09 03:39:19.6273 UTC | 56340 |
|
|
|
|
|
Begin |
End | Number Profiles |
|---|---|---|
| 2014/07/09 05:16:05.4720 UTC | 2014/07/09 05:18:12.6334 UTC | 2565 |
|
|
|
|
|
|
Begin |
End | Number Profiles |
|---|---|---|
| 2014/07/09 05:18:12.6830 UTC | 2014/07/09 06:10:31.3493 UTC | 63285 |
|
|
|
|
|
Begin |
End | Number Profiles |
|---|---|---|
| 2014/07/09 06:10:31.3989 UTC | 2014/07/09 06:57:04.1504 UTC | 56310 |
|
|
|
|
|
Begin |
End | Number Profiles |
|---|---|---|
| 2014/07/09 06:57:04.2000 UTC | 2014/07/09 07:49:24.3543 UTC | 63315 |
|
|
|
|
|
Begin |
End | Number Profiles |
|---|---|---|
| 2014/07/09 07:49:24.4039 UTC | 2014/07/09 08:35:57.1574 UTC | 56310 |
|
|
|
|
|
Begin |
End | Number Profiles |
|---|---|---|
| 2014/07/09 08:35:57.2070 UTC | 2014/07/09 09:28:17.3624 UTC | 63315 |
|
|
|
|
|
Begin |
End | Number Profiles |
|---|---|---|
| 2014/07/09 09:28:17.4120 UTC | 2014/07/09 10:14:50.1663 UTC | 56310 |
|
|
|
|
|
Begin |
End | Number Profiles |
|---|---|---|
| 2014/07/09 10:14:50.2159 UTC | 2014/07/09 11:07:09.6284 UTC | 63300 |
|
|
|
|
|
Begin |
End | Number Profiles |
|---|---|---|
| 2014/07/09 11:07:09.6780 UTC | 2014/07/09 11:53:43.1774 UTC | 56325 |
|
|
|
|
|
Begin |
End | Number Profiles |
|---|---|---|
| 2014/07/09 11:53:43.2270 UTC | 2014/07/09 12:46:02.6414 UTC | 63300 |
|
|
|
|
|
Begin |
End | Number Profiles |
|---|---|---|
| 2014/07/09 12:46:02.6910 UTC | 2014/07/09 13:32:36.1924 UTC | 56325 |
|
|
|
|
|
Begin |
End | Number Profiles |
|---|---|---|
| 2014/07/09 13:32:36.2420 UTC | 2014/07/09 14:24:55.6544 UTC | 63300 |
|
|
|
|
|
Begin |
End | Number Profiles |
|---|---|---|
| 2014/07/09 14:24:55.7040 UTC | 2014/07/09 15:11:29.2054 UTC | 56325 |
|
|
|
|
|
Begin |
End | Number Profiles |
|---|---|---|
| 2014/07/09 15:11:29.2550 UTC | 2014/07/09 16:03:48.6673 UTC | 63300 |
|
|
|
|
|
Begin |
End | Number Profiles |
|---|---|---|
| 2014/07/09 16:03:48.7169 UTC | 2014/07/09 16:50:22.2154 UTC | 56325 |
|
|
|
|
|
Begin |
End | Number Profiles |
|---|---|---|
| 2014/07/09 16:50:22.2650 UTC | 2014/07/09 17:42:41.6744 UTC | 63300 |
|
|
|
|
|
Begin |
End | Number Profiles |
|---|---|---|
| 2014/07/09 17:42:41.7240 UTC | 2014/07/09 18:29:14.4734 UTC | 56310 |
|
|
|
|
|
Begin |
End | Number Profiles |
|---|---|---|
| 2014/07/09 18:29:14.5229 UTC | 2014/07/09 19:21:33.1874 UTC | 63285 |
|
|
|
|
|
Begin |
End | Number Profiles |
|---|---|---|
| 2014/07/09 19:21:33.2370 UTC | 2014/07/09 20:08:07.4714 UTC | 56340 |
|
|
|
|
|
Begin |
End | Number Profiles |
|---|---|---|
| 2014/07/09 20:08:07.5210 UTC | 2014/07/09 21:00:26.1853 UTC | 63285 |
|
|
|
|
|
Begin |
End | Number Profiles |
|---|---|---|
| 2014/07/09 21:00:26.2349 UTC | 2014/07/09 21:47:00.4734 UTC | 56340 |
|
|
|
|
|
Begin |
End | Number Profiles |
|---|---|---|
| 2014/07/09 21:47:00.5230 UTC | 2014/07/09 22:39:19.1864 UTC | 63285 |
|
|
|
|
|
Begin |
End | Number Profiles |
|---|---|---|
| 2014/07/09 22:39:19.2360 UTC | 2014/07/09 23:25:53.4724 UTC | 56340 |
|
|
|
|
|
Begin |
End | Number Profiles |
|---|---|---|
| 2014/07/09 23:25:53.5220 UTC | 2014/07/10 00:18:12.1874 UTC | 63285 |
|
|
|
|
|
















































































































