|
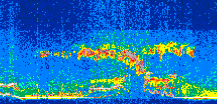
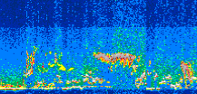
Displayed on this page are scaled, color-modulated, altitude-time images of CALIPSO attenuated backscatter (/km/sr) including:
- 532 nm total (parallel + perpendicular) attenuated backscatter
- 532 nm perpendicular attenuated backscatter
- 1064 nm total attenuated backscatter
The orbit track locations for the entire Level 1 .hdf file are in black and the orbit track locations corresponding to this page are color coded.
For the full scale images:
- the color bars for attenuated backscatter show the colors assigned to ranges of attenuated backscatter, /km/sr
- the horizontal axes are annotated with latitude (deg) and longitude (deg)
- the vertical axes are annotated to indicate altitude in kilometers
- the date and time of the measurements are listed as UTC time
- the names of the CALIPSO data products for the Lidar Level 1 attenuated backscatter granules are included
The scaled images on this page are organized by CALIPSO data product day and night orbit granules.
The maps with a shaded background indicate nightime measurements.
There are a maximum of 4 scaled images per granule.
The orbit tracks plotted on the maps show the measurement locations for each granule.
For each granule, the scaled images are ordered from left to right and their locations along the orbit tracks are color coded as: image one, image two, image three, image four.
Begin |
End | Number Profiles |
|---|---|---|
| 2014/07/21 00:45:30.2610 UTC | 2014/07/21 01:37:50.4184 UTC | 63315 |
|
|
|
|
|
Begin |
End | Number Profiles |
|---|---|---|
| 2014/07/21 01:37:50.4680 UTC | 2014/07/21 02:24:23.2224 UTC | 56310 |
|
|
|
|
|
Begin |
End | Number Profiles |
|---|---|---|
| 2014/07/21 02:24:23.2720 UTC | 2014/07/21 03:16:42.6844 UTC | 63300 |
|
|
|
|
|
Begin |
End | Number Profiles |
|---|---|---|
| 2014/07/21 03:16:42.7340 UTC | 2014/07/21 04:03:16.2314 UTC | 56325 |
|
|
|
|
|
Begin |
End | Number Profiles |
|---|---|---|
| 2014/07/21 04:03:16.2810 UTC | 2014/07/21 04:55:35.6944 UTC | 63255 |
|
|
|
|
|
Begin |
End | Number Profiles |
|---|---|---|
| 2014/07/21 04:55:35.7440 UTC | 2014/07/21 05:42:08.5013 UTC | 56310 |
|
|
|
|
|
Begin |
End | Number Profiles |
|---|---|---|
| 2014/07/21 05:42:08.5500 UTC | 2014/07/21 06:34:27.9643 UTC | 63300 |
|
|
|
|
|
Begin |
End | Number Profiles |
|---|---|---|
| 2014/07/21 06:34:28.0139 UTC | 2014/07/21 07:21:01.5133 UTC | 56325 |
|
|
|
|
|
Begin |
End | Number Profiles |
|---|---|---|
| 2014/07/21 07:21:01.5620 UTC | 2014/07/21 08:13:20.9753 UTC | 63300 |
|
|
|
|
|
Begin |
End | Number Profiles |
|---|---|---|
| 2014/07/21 08:13:21.0250 UTC | 2014/07/21 08:59:54.5253 UTC | 56325 |
|
|
|
|
|
Begin |
End | Number Profiles |
|---|---|---|
| 2014/07/21 08:59:54.5740 UTC | 2014/07/21 09:52:13.2464 UTC | 63285 |
|
|
|
|
|
Begin |
End | Number Profiles |
|---|---|---|
| 2014/07/21 09:52:13.2960 UTC | 2014/07/21 10:38:47.5404 UTC | 56340 |
|
|
|
|
|
Begin |
End | Number Profiles |
|---|---|---|
| 2014/07/21 10:38:47.5890 UTC | 2014/07/21 11:31:06.2604 UTC | 63285 |
|
|
|
|
|
Begin |
End | Number Profiles |
|---|---|---|
| 2014/07/21 11:31:06.3100 UTC | 2014/07/21 12:17:40.5524 UTC | 56340 |
|
|
|
|
|
Begin |
End | Number Profiles |
|---|---|---|
| 2014/07/21 12:17:40.6009 UTC | 2014/07/21 13:09:59.2724 UTC | 63285 |
|
|
|
|
|
Begin |
End | Number Profiles |
|---|---|---|
| 2014/07/21 13:09:59.3220 UTC | 2014/07/21 13:56:32.0783 UTC | 56310 |
|
|
|
|
|
Begin |
End | Number Profiles |
|---|---|---|
| 2014/07/21 13:56:32.1279 UTC | 2014/07/21 14:48:52.2844 UTC | 63315 |
|
|
|
|
|
Begin |
End | Number Profiles |
|---|---|---|
| 2014/07/21 14:48:52.3340 UTC | 2014/07/21 15:35:25.0893 UTC | 56310 |
|
|
|
|
|
Begin |
End | Number Profiles |
|---|---|---|
| 2014/07/21 15:35:25.1390 UTC | 2014/07/21 16:27:44.5504 UTC | 63300 |
|
|
|
|
|
Begin |
End | Number Profiles |
|---|---|---|
| 2014/07/21 16:27:44.6000 UTC | 2014/07/21 17:14:17.3504 UTC | 56310 |
|
|
|
|
|
Begin |
End | Number Profiles |
|---|---|---|
| 2014/07/21 17:14:17.4000 UTC | 2014/07/21 18:06:37.5534 UTC | 63315 |
|
|
|
|
|
Begin |
End | Number Profiles |
|---|---|---|
| 2014/07/21 18:06:37.6030 UTC | 2014/07/21 18:53:10.3494 UTC | 56310 |
|
|
|
|
|
Begin |
End | Number Profiles |
|---|---|---|
| 2014/07/21 18:53:10.3990 UTC | 2014/07/21 19:45:30.5514 UTC | 63315 |
|
|
|
|
|
Begin |
End | Number Profiles |
|---|---|---|
| 2014/07/21 19:45:30.6010 UTC | 2014/07/21 20:32:03.3473 UTC | 56310 |
|
|
|
|
|
Begin |
End | Number Profiles |
|---|---|---|
| 2014/07/21 20:32:03.3969 UTC | 2014/07/21 21:24:22.0624 UTC | 63285 |
|
|
|
|
|
Begin |
End | Number Profiles |
|---|---|---|
| 2014/07/21 21:24:22.1120 UTC | 2014/07/21 22:10:56.3484 UTC | 56340 |
|
|
|
|
|
Begin |
End | Number Profiles |
|---|---|---|
| 2014/07/21 22:10:56.3980 UTC | 2014/07/21 23:03:15.0633 UTC | 63285 |
|
|
|
|
|
Begin |
End | Number Profiles |
|---|---|---|
| 2014/07/21 23:03:15.1129 UTC | 2014/07/21 23:49:49.3504 UTC | 56340 |
|
|
|
|
|
Begin |
End | Number Profiles |
|---|---|---|
| 2014/07/21 23:49:49.4000 UTC | 2014/07/22 00:42:08.0664 UTC | 63285 |
|
|
|
|
|
























































































































