|
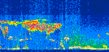
Displayed on this page are scaled, color-modulated, altitude-time images of CALIPSO attenuated backscatter (/km/sr) including:
- 532 nm total (parallel + perpendicular) attenuated backscatter
- 532 nm perpendicular attenuated backscatter
- 1064 nm total attenuated backscatter
The orbit track locations for the entire Level 1 .hdf file are in black and the orbit track locations corresponding to this page are color coded.
For the full scale images:
- the color bars for attenuated backscatter show the colors assigned to ranges of attenuated backscatter, /km/sr
- the horizontal axes are annotated with latitude (deg) and longitude (deg)
- the vertical axes are annotated to indicate altitude in kilometers
- the date and time of the measurements are listed as UTC time
- the names of the CALIPSO data products for the Lidar Level 1 attenuated backscatter granules are included
The scaled images on this page are organized by CALIPSO data product day and night orbit granules.
The maps with a shaded background indicate nightime measurements.
There are a maximum of 4 scaled images per granule.
The orbit tracks plotted on the maps show the measurement locations for each granule.
For each granule, the scaled images are ordered from left to right and their locations along the orbit tracks are color coded as: image one, image two, image three, image four.
Begin |
End | Number Profiles |
|---|---|---|
| 2014/09/26 00:23:51.5519 UTC | 2014/09/26 01:10:10.2124 UTC | 56025 |
|
|
|
|
|
Begin |
End | Number Profiles |
|---|---|---|
| 2014/09/26 01:10:10.2620 UTC | 2014/09/26 02:02:43.1323 UTC | 63570 |
|
|
|
|
|
Begin |
End | Number Profiles |
|---|---|---|
| 2014/09/26 02:02:43.1819 UTC | 2014/09/26 02:49:03.3274 UTC | 56055 |
|
|
|
|
|
Begin |
End | Number Profiles |
|---|---|---|
| 2014/09/26 02:49:03.3770 UTC | 2014/09/26 03:41:36.2464 UTC | 63570 |
|
|
|
|
|
Begin |
End | Number Profiles |
|---|---|---|
| 2014/09/26 03:41:36.2960 UTC | 2014/09/26 04:27:55.6954 UTC | 56040 |
|
|
|
|
|
Begin |
End | Number Profiles |
|---|---|---|
| 2014/09/26 04:27:55.7450 UTC | 2014/09/26 05:20:28.6154 UTC | 63570 |
|
|
|
|
|
Begin |
End | Number Profiles |
|---|---|---|
| 2014/09/26 05:20:28.6650 UTC | 2014/09/26 06:06:48.0634 UTC | 56040 |
|
|
|
|
|
Begin |
End | Number Profiles |
|---|---|---|
| 2014/09/26 06:06:48.1130 UTC | 2014/09/26 06:59:20.9824 UTC | 63570 |
|
|
|
|
|
Begin |
End | Number Profiles |
|---|---|---|
| 2014/09/26 06:59:21.0320 UTC | 2014/09/26 07:45:40.4334 UTC | 56040 |
|
|
|
|
|
Begin |
End | Number Profiles |
|---|---|---|
| 2014/09/26 07:45:40.4830 UTC | 2014/09/26 08:38:13.3524 UTC | 63570 |
|
|
|
|
|
Begin |
End | Number Profiles |
|---|---|---|
| 2014/09/26 08:38:13.4020 UTC | 2014/09/26 09:24:33.5494 UTC | 56055 |
|
|
|
|
|
Begin |
End | Number Profiles |
|---|---|---|
| 2014/09/26 09:24:33.5990 UTC | 2014/09/26 10:17:06.4714 UTC | 63570 |
|
|
|
|
|
Begin |
End | Number Profiles |
|---|---|---|
| 2014/09/26 10:17:06.5210 UTC | 2014/09/26 11:03:26.6693 UTC | 56055 |
|
|
|
|
|
Begin |
End | Number Profiles |
|---|---|---|
| 2014/09/26 11:03:26.7189 UTC | 2014/09/26 11:55:59.5924 UTC | 63570 |
|
|
|
|
|
Begin |
End | Number Profiles |
|---|---|---|
| 2014/09/26 11:55:59.6420 UTC | 2014/09/26 12:42:18.3084 UTC | 56025 |
|
|
|
|
|
Begin |
End | Number Profiles |
|---|---|---|
| 2014/09/26 12:42:18.3580 UTC | 2014/09/26 13:34:51.2343 UTC | 63570 |
|
|
|
|
|
Begin |
End | Number Profiles |
|---|---|---|
| 2014/09/26 13:34:51.2839 UTC | 2014/09/26 14:21:11.4403 UTC | 56055 |
|
|
|
|
|
Begin |
End | Number Profiles |
|---|---|---|
| 2014/09/26 14:21:11.4900 UTC | 2014/09/26 15:13:44.3674 UTC | 63570 |
|
|
|
|
|
Begin |
End | Number Profiles |
|---|---|---|
| 2014/09/26 15:13:44.4170 UTC | 2014/09/26 16:00:03.0844 UTC | 56025 |
|
|
|
|
|
Begin |
End | Number Profiles |
|---|---|---|
| 2014/09/26 16:00:03.1339 UTC | 2014/09/26 16:52:36.0083 UTC | 63570 |
|
|
|
|
|
Begin |
End | Number Profiles |
|---|---|---|
| 2014/09/26 16:52:36.0580 UTC | 2014/09/26 17:38:56.2083 UTC | 56055 |
|
|
|
|
|
Begin |
End | Number Profiles |
|---|---|---|
| 2014/09/26 17:38:56.2580 UTC | 2014/09/26 18:31:29.1294 UTC | 63570 |
|
|
|
|
|
Begin |
End | Number Profiles |
|---|---|---|
| 2014/09/26 18:31:29.1790 UTC | 2014/09/26 19:17:48.5813 UTC | 56040 |
|
|
|
|
|
Begin |
End | Number Profiles |
|---|---|---|
| 2014/09/26 19:17:48.6300 UTC | 2014/09/26 20:10:21.5024 UTC | 63570 |
|
|
|
|
|
Begin |
End | Number Profiles |
|---|---|---|
| 2014/09/26 20:10:21.5520 UTC | 2014/09/26 20:56:41.7014 UTC | 56055 |
|
|
|
|
|
Begin |
End | Number Profiles |
|---|---|---|
| 2014/09/26 20:56:41.7499 UTC | 2014/09/26 21:49:14.6234 UTC | 63570 |
|
|
|
|
|
Begin |
End | Number Profiles |
|---|---|---|
| 2014/09/26 21:49:14.6730 UTC | 2014/09/26 22:35:33.3403 UTC | 56025 |
|
|
|
|
|
Begin |
End | Number Profiles |
|---|---|---|
| 2014/09/26 22:35:33.3899 UTC | 2014/09/26 23:28:06.2634 UTC | 63570 |
|
|
|
|
|
Begin |
End | Number Profiles |
|---|---|---|
| 2014/09/26 23:28:06.3130 UTC | 2014/09/27 00:14:26.4644 UTC | 56055 |
|
|
|
|
|
























































































































