|
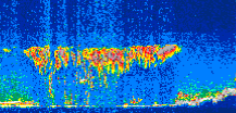
Displayed on this page are scaled, color-modulated, altitude-time images of CALIPSO attenuated backscatter (/km/sr) including:
- 532 nm total (parallel + perpendicular) attenuated backscatter
- 532 nm perpendicular attenuated backscatter
- 1064 nm total attenuated backscatter
The orbit track locations for the entire Level 1 .hdf file are in black and the orbit track locations corresponding to this page are color coded.
For the full scale images:
- the color bars for attenuated backscatter show the colors assigned to ranges of attenuated backscatter, /km/sr
- the horizontal axes are annotated with latitude (deg) and longitude (deg)
- the vertical axes are annotated to indicate altitude in kilometers
- the date and time of the measurements are listed as UTC time
- the names of the CALIPSO data products for the Lidar Level 1 attenuated backscatter granules are included
The scaled images on this page are organized by CALIPSO data product day and night orbit granules.
The maps with a shaded background indicate nightime measurements.
There are a maximum of 4 scaled images per granule.
The orbit tracks plotted on the maps show the measurement locations for each granule.
For each granule, the scaled images are ordered from left to right and their locations along the orbit tracks are color coded as: image one, image two, image three, image four.
Begin |
End | Number Profiles |
|---|---|---|
| 2014/11/29 00:17:36.4410 UTC | 2014/11/29 01:03:50.6924 UTC | 55935 |
|
|
|
|
|
Begin |
End | Number Profiles |
|---|---|---|
| 2014/11/29 01:03:50.7420 UTC | 2014/11/29 01:56:28.1194 UTC | 63660 |
|
|
|
|
|
Begin |
End | Number Profiles |
|---|---|---|
| 2014/11/29 01:56:28.1690 UTC | 2014/11/29 02:42:43.1594 UTC | 55950 |
|
|
|
|
|
Begin |
End | Number Profiles |
|---|---|---|
| 2014/11/29 02:42:43.2090 UTC | 2014/11/29 03:35:21.3303 UTC | 63675 |
|
|
|
|
|
Begin |
End | Number Profiles |
|---|---|---|
| 2014/11/29 03:35:21.3799 UTC | 2014/11/29 04:21:35.6254 UTC | 55935 |
|
|
|
|
|
Begin |
End | Number Profiles |
|---|---|---|
| 2014/11/29 04:21:35.6750 UTC | 2014/11/29 05:14:14.5414 UTC | 63690 |
|
|
|
|
|
Begin |
End | Number Profiles |
|---|---|---|
| 2014/11/29 05:14:14.5910 UTC | 2014/11/29 06:00:28.0944 UTC | 55920 |
|
|
|
|
|
Begin |
End | Number Profiles |
|---|---|---|
| 2014/11/29 06:00:28.1440 UTC | 2014/11/29 06:53:06.2643 UTC | 63675 |
|
|
|
|
|
Begin |
End | Number Profiles |
|---|---|---|
| 2014/11/29 06:53:06.3140 UTC | 2014/11/29 07:39:21.3013 UTC | 55950 |
|
|
|
|
|
Begin |
End | Number Profiles |
|---|---|---|
| 2014/11/29 07:39:21.3510 UTC | 2014/11/29 08:31:59.4724 UTC | 63675 |
|
|
|
|
|
Begin |
End | Number Profiles |
|---|---|---|
| 2014/11/29 08:31:59.5220 UTC | 2014/11/29 09:18:14.5083 UTC | 55950 |
|
|
|
|
|
Begin |
End | Number Profiles |
|---|---|---|
| 2014/11/29 09:18:14.5579 UTC | 2014/11/29 10:10:52.6794 UTC | 63675 |
|
|
|
|
|
Begin |
End | Number Profiles |
|---|---|---|
| 2014/11/29 10:10:52.7290 UTC | 2014/11/29 10:57:06.2284 UTC | 55920 |
|
|
|
|
|
Begin |
End | Number Profiles |
|---|---|---|
| 2014/11/29 10:57:06.2780 UTC | 2014/11/29 11:49:44.3994 UTC | 63675 |
|
|
|
|
|
Begin |
End | Number Profiles |
|---|---|---|
| 2014/11/29 11:49:44.4490 UTC | 2014/11/29 12:35:59.4444 UTC | 55950 |
|
|
|
|
|
Begin |
End | Number Profiles |
|---|---|---|
| 2014/11/29 12:35:59.4940 UTC | 2014/11/29 13:28:37.6193 UTC | 63675 |
|
|
|
|
|
Begin |
End | Number Profiles |
|---|---|---|
| 2014/11/29 13:28:37.6689 UTC | 2014/11/29 14:14:51.1794 UTC | 55920 |
|
|
|
|
|
Begin |
End | Number Profiles |
|---|---|---|
| 2014/11/29 14:14:51.2290 UTC | 2014/11/29 15:07:30.0984 UTC | 63690 |
|
|
|
|
|
Begin |
End | Number Profiles |
|---|---|---|
| 2014/11/29 15:07:30.1480 UTC | 2014/11/29 15:53:44.4014 UTC | 55935 |
|
|
|
|
|
Begin |
End | Number Profiles |
|---|---|---|
| 2014/11/29 15:53:44.4510 UTC | 2014/11/29 16:46:22.5744 UTC | 63675 |
|
|
|
|
|
Begin |
End | Number Profiles |
|---|---|---|
| 2014/11/29 16:46:22.6240 UTC | 2014/11/29 17:32:37.6144 UTC | 55950 |
|
|
|
|
|
Begin |
End | Number Profiles |
|---|---|---|
| 2014/11/29 17:32:37.6640 UTC | 2014/11/29 18:25:15.0424 UTC | 63660 |
|
|
|
|
|
Begin |
End | Number Profiles |
|---|---|---|
| 2014/11/29 18:25:15.0920 UTC | 2014/11/29 19:11:29.3373 UTC | 55935 |
|
|
|
|
|
Begin |
End | Number Profiles |
|---|---|---|
| 2014/11/29 19:11:29.3870 UTC | 2014/11/29 20:04:08.2494 UTC | 63690 |
|
|
|
|
|
Begin |
End | Number Profiles |
|---|---|---|
| 2014/11/29 20:04:08.2990 UTC | 2014/11/29 20:50:22.5413 UTC | 55935 |
|
|
|
|
|
Begin |
End | Number Profiles |
|---|---|---|
| 2014/11/29 20:50:22.5909 UTC | 2014/11/29 21:43:00.7084 UTC | 63675 |
|
|
|
|
|
Begin |
End | Number Profiles |
|---|---|---|
| 2014/11/29 21:43:00.7579 UTC | 2014/11/29 22:29:14.9963 UTC | 55935 |
|
|
|
|
|
Begin |
End | Number Profiles |
|---|---|---|
| 2014/11/29 22:29:15.0459 UTC | 2014/11/29 23:21:53.1644 UTC | 63675 |
|
|
|
|
|
Begin |
End | Number Profiles |
|---|---|---|
| 2014/11/29 23:21:53.2140 UTC | 2014/11/30 00:08:08.2084 UTC | 55950 |
|
|
|
|
|
























































































































