|
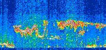
Displayed on this page are scaled, color-modulated, altitude-time images of CALIPSO attenuated backscatter (/km/sr) including:
- 532 nm total (parallel + perpendicular) attenuated backscatter
- 532 nm perpendicular attenuated backscatter
- 1064 nm total attenuated backscatter
The orbit track locations for the entire Level 1 .hdf file are in black and the orbit track locations corresponding to this page are color coded.
For the full scale images:
- the color bars for attenuated backscatter show the colors assigned to ranges of attenuated backscatter, /km/sr
- the horizontal axes are annotated with latitude (deg) and longitude (deg)
- the vertical axes are annotated to indicate altitude in kilometers
- the date and time of the measurements are listed as UTC time
- the names of the CALIPSO data products for the Lidar Level 1 attenuated backscatter granules are included
The scaled images on this page are organized by CALIPSO data product day and night orbit granules.
The maps with a shaded background indicate nightime measurements.
There are a maximum of 4 scaled images per granule.
The orbit tracks plotted on the maps show the measurement locations for each granule.
For each granule, the scaled images are ordered from left to right and their locations along the orbit tracks are color coded as: image one, image two, image three, image four.
Begin |
End | Number Profiles |
|---|---|---|
| 2015/03/21 00:25:03.1450 UTC | 2015/03/21 01:11:29.2554 UTC | 56175 |
|
|
|
|
|
Begin |
End | Number Profiles |
|---|---|---|
| 2015/03/21 01:11:29.3040 UTC | 2015/03/21 02:03:56.2093 UTC | 63450 |
|
|
|
|
|
Begin |
End | Number Profiles |
|---|---|---|
| 2015/03/21 02:03:56.2589 UTC | 2015/03/21 02:50:23.1103 UTC | 56190 |
|
|
|
|
|
Begin |
End | Number Profiles |
|---|---|---|
| 2015/03/21 02:50:23.1600 UTC | 2015/03/21 03:42:50.0664 UTC | 63450 |
|
|
|
|
|
Begin |
End | Number Profiles |
|---|---|---|
| 2015/03/21 03:42:50.1160 UTC | 2015/03/21 04:29:16.2214 UTC | 56175 |
|
|
|
|
|
Begin |
End | Number Profiles |
|---|---|---|
| 2015/03/21 04:29:16.2710 UTC | 2015/03/21 05:21:43.1793 UTC | 63450 |
|
|
|
|
|
Begin |
End | Number Profiles |
|---|---|---|
| 2015/03/21 05:21:43.2289 UTC | 2015/03/21 06:08:10.0764 UTC | 56190 |
|
|
|
|
|
Begin |
End | Number Profiles |
|---|---|---|
| 2015/03/21 06:08:10.1260 UTC | 2015/03/21 07:00:37.0294 UTC | 63450 |
|
|
|
|
|
Begin |
End | Number Profiles |
|---|---|---|
| 2015/03/21 07:00:37.0790 UTC | 2015/03/21 07:47:03.1834 UTC | 56175 |
|
|
|
|
|
Begin |
End | Number Profiles |
|---|---|---|
| 2015/03/21 07:47:03.2330 UTC | 2015/03/21 08:39:30.1373 UTC | 63450 |
|
|
|
|
|
Begin |
End | Number Profiles |
|---|---|---|
| 2015/03/21 08:39:30.1869 UTC | 2015/03/21 09:25:57.0374 UTC | 56190 |
|
|
|
|
|
Begin |
End | Number Profiles |
|---|---|---|
| 2015/03/21 09:25:57.0870 UTC | 2015/03/21 10:18:23.9934 UTC | 63450 |
|
|
|
|
|
Begin |
End | Number Profiles |
|---|---|---|
| 2015/03/21 10:18:24.0430 UTC | 2015/03/21 11:04:50.1483 UTC | 56175 |
|
|
|
|
|
Begin |
End | Number Profiles |
|---|---|---|
| 2015/03/21 11:04:50.1979 UTC | 2015/03/21 11:57:18.5923 UTC | 63480 |
|
|
|
|
|
Begin |
End | Number Profiles |
|---|---|---|
| 2015/03/21 11:57:18.6420 UTC | 2015/03/21 12:43:44.0024 UTC | 56160 |
|
|
|
|
|
Begin |
End | Number Profiles |
|---|---|---|
| 2015/03/21 12:43:44.0520 UTC | 2015/03/21 13:36:11.7023 UTC | 63405 |
|
|
|
|
|
Begin |
End | Number Profiles |
|---|---|---|
| 2015/03/21 13:36:11.7510 UTC | 2015/03/21 14:22:37.1144 UTC | 56160 |
|
|
|
|
|
Begin |
End | Number Profiles |
|---|---|---|
| 2015/03/21 14:22:37.1640 UTC | 2015/03/21 15:15:05.5584 UTC | 63480 |
|
|
|
|
|
Begin |
End | Number Profiles |
|---|---|---|
| 2015/03/21 15:15:05.6080 UTC | 2015/03/21 16:01:30.9694 UTC | 56160 |
|
|
|
|
|
Begin |
End | Number Profiles |
|---|---|---|
| 2015/03/21 16:01:31.0190 UTC | 2015/03/21 16:53:58.6693 UTC | 63465 |
|
|
|
|
|
Begin |
End | Number Profiles |
|---|---|---|
| 2015/03/21 16:53:58.7189 UTC | 2015/03/21 17:40:24.0804 UTC | 56160 |
|
|
|
|
|
Begin |
End | Number Profiles |
|---|---|---|
| 2015/03/21 17:40:24.1300 UTC | 2015/03/21 18:32:52.5254 UTC | 63480 |
|
|
|
|
|
Begin |
End | Number Profiles |
|---|---|---|
| 2015/03/21 18:32:52.5750 UTC | 2015/03/21 19:19:18.6823 UTC | 56175 |
|
|
|
|
|
Begin |
End | Number Profiles |
|---|---|---|
| 2015/03/21 19:19:18.7320 UTC | 2015/03/21 20:11:45.6404 UTC | 63450 |
|
|
|
|
|
Begin |
End | Number Profiles |
|---|---|---|
| 2015/03/21 20:11:45.6900 UTC | 2015/03/21 20:58:12.5443 UTC | 56190 |
|
|
|
|
|
Begin |
End | Number Profiles |
|---|---|---|
| 2015/03/21 20:58:12.5939 UTC | 2015/03/21 21:50:39.5024 UTC | 63450 |
|
|
|
|
|
Begin |
End | Number Profiles |
|---|---|---|
| 2015/03/21 21:50:39.5520 UTC | 2015/03/21 22:37:05.6574 UTC | 56175 |
|
|
|
|
|
Begin |
End | Number Profiles |
|---|---|---|
| 2015/03/21 22:37:05.7070 UTC | 2015/03/21 23:29:32.6123 UTC | 63450 |
|
|
|
|
|
Begin |
End | Number Profiles |
|---|---|---|
| 2015/03/21 23:29:32.6620 UTC | 2015/03/22 00:15:59.5143 UTC | 56190 |
|
|
|
|
|
























































































































