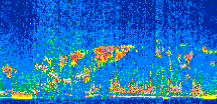
|
Displayed on this page are scaled, color-modulated, altitude-time images of CALIPSO attenuated backscatter (/km/sr) including:
- 532 nm total (parallel + perpendicular) attenuated backscatter
- 532 nm perpendicular attenuated backscatter
- 1064 nm total attenuated backscatter
The orbit track locations for the entire Level 1 .hdf file are in black and the orbit track locations corresponding to this page are color coded.
For the full scale images:
- the color bars for attenuated backscatter show the colors assigned to ranges of attenuated backscatter, /km/sr
- the horizontal axes are annotated with latitude (deg) and longitude (deg)
- the vertical axes are annotated to indicate altitude in kilometers
- the date and time of the measurements are listed as UTC time
- the names of the CALIPSO data products for the Lidar Level 1 attenuated backscatter granules are included
The scaled images on this page are organized by CALIPSO data product day and night orbit granules.
The maps with a shaded background indicate nightime measurements.
There are a maximum of 4 scaled images per granule.
The orbit tracks plotted on the maps show the measurement locations for each granule.
For each granule, the scaled images are ordered from left to right and their locations along the orbit tracks are color coded as: image one, image two, image three, image four.
Begin |
End | Number Profiles |
|---|---|---|
| 2015/03/27 00:35:04.2739 UTC | 2015/03/27 01:27:31.1814 UTC | 63450 |
|
|
|
|
|
Begin |
End | Number Profiles |
|---|---|---|
| 2015/03/27 01:27:31.2310 UTC | 2015/03/27 02:13:58.0823 UTC | 56190 |
|
|
|
|
|
Begin |
End | Number Profiles |
|---|---|---|
| 2015/03/27 02:13:58.1319 UTC | 2015/03/27 03:06:25.0364 UTC | 63450 |
|
|
|
|
|
Begin |
End | Number Profiles |
|---|---|---|
| 2015/03/27 03:06:25.0860 UTC | 2015/03/27 03:52:51.1913 UTC | 56175 |
|
|
|
|
|
Begin |
End | Number Profiles |
|---|---|---|
| 2015/03/27 03:52:51.2409 UTC | 2015/03/27 04:45:18.1474 UTC | 63450 |
|
|
|
|
|
Begin |
End | Number Profiles |
|---|---|---|
| 2015/03/27 04:45:18.1970 UTC | 2015/03/27 05:31:45.0433 UTC | 56190 |
|
|
|
|
|
Begin |
End | Number Profiles |
|---|---|---|
| 2015/03/27 05:31:45.0929 UTC | 2015/03/27 06:24:11.9963 UTC | 63450 |
|
|
|
|
|
Begin |
End | Number Profiles |
|---|---|---|
| 2015/03/27 06:24:12.0459 UTC | 2015/03/27 07:10:38.1484 UTC | 56175 |
|
|
|
|
|
Begin |
End | Number Profiles |
|---|---|---|
| 2015/03/27 07:10:38.1980 UTC | 2015/03/27 08:03:05.1023 UTC | 63450 |
|
|
|
|
|
Begin |
End | Number Profiles |
|---|---|---|
| 2015/03/27 08:03:05.1519 UTC | 2015/03/27 08:49:31.9994 UTC | 56190 |
|
|
|
|
|
Begin |
End | Number Profiles |
|---|---|---|
| 2015/03/27 08:49:32.0490 UTC | 2015/03/27 09:41:59.6974 UTC | 63465 |
|
|
|
|
|
Begin |
End | Number Profiles |
|---|---|---|
| 2015/03/27 09:41:59.7470 UTC | 2015/03/27 10:28:25.1074 UTC | 56160 |
|
|
|
|
|
Begin |
End | Number Profiles |
|---|---|---|
| 2015/03/27 10:28:25.1570 UTC | 2015/03/27 11:20:52.0614 UTC | 63450 |
|
|
|
|
|
Begin |
End | Number Profiles |
|---|---|---|
| 2015/03/27 11:20:52.1110 UTC | 2015/03/27 12:07:18.9583 UTC | 56190 |
|
|
|
|
|
Begin |
End | Number Profiles |
|---|---|---|
| 2015/03/27 12:07:19.0079 UTC | 2015/03/27 12:59:46.6564 UTC | 63465 |
|
|
|
|
|
Begin |
End | Number Profiles |
|---|---|---|
| 2015/03/27 12:59:46.7060 UTC | 2015/03/27 13:46:12.0714 UTC | 56160 |
|
|
|
|
|
Begin |
End | Number Profiles |
|---|---|---|
| 2015/03/27 13:46:12.1210 UTC | 2015/03/27 14:38:39.0294 UTC | 63450 |
|
|
|
|
|
Begin |
End | Number Profiles |
|---|---|---|
| 2015/03/27 14:38:39.0790 UTC | 2015/03/27 15:25:06.6773 UTC | 56205 |
|
|
|
|
|
Begin |
End | Number Profiles |
|---|---|---|
| 2015/03/27 15:25:06.7269 UTC | 2015/03/27 16:17:33.6354 UTC | 63450 |
|
|
|
|
|
Begin |
End | Number Profiles |
|---|---|---|
| 2015/03/27 16:17:33.6850 UTC | 2015/03/27 17:03:59.0503 UTC | 56160 |
|
|
|
|
|
Begin |
End | Number Profiles |
|---|---|---|
| 2015/03/27 17:03:59.0999 UTC | 2015/03/27 17:56:26.0064 UTC | 63450 |
|
|
|
|
|
Begin |
End | Number Profiles |
|---|---|---|
| 2015/03/27 17:56:26.0560 UTC | 2015/03/27 18:42:52.1623 UTC | 56175 |
|
|
|
|
|
Begin |
End | Number Profiles |
|---|---|---|
| 2015/03/27 18:42:52.2120 UTC | 2015/03/27 19:35:19.1193 UTC | 63450 |
|
|
|
|
|
Begin |
End | Number Profiles |
|---|---|---|
| 2015/03/27 19:35:19.1689 UTC | 2015/03/27 20:21:46.0173 UTC | 56190 |
|
|
|
|
|
Begin |
End | Number Profiles |
|---|---|---|
| 2015/03/27 20:21:46.0669 UTC | 2015/03/27 21:14:12.9724 UTC | 63450 |
|
|
|
|
|
Begin |
End | Number Profiles |
|---|---|---|
| 2015/03/27 21:14:13.0220 UTC | 2015/03/27 22:00:40.6144 UTC | 56205 |
|
|
|
|
|
Begin |
End | Number Profiles |
|---|---|---|
| 2015/03/27 22:00:40.6640 UTC | 2015/03/27 22:53:06.0794 UTC | 63420 |
|
|
|
|
|
Begin |
End | Number Profiles |
|---|---|---|
| 2015/03/27 22:53:06.1290 UTC | 2015/03/27 23:39:32.9734 UTC | 56190 |
|
|
|
|
|
Begin |
End | Number Profiles |
|---|---|---|
| 2015/03/27 23:39:33.0230 UTC | 2015/03/28 00:32:00.6704 UTC | 63465 |
|
|
|
|
|
























































































































