|
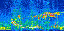
Displayed on this page are scaled, color-modulated, altitude-time images of CALIPSO attenuated backscatter (/km/sr) including:
- 532 nm total (parallel + perpendicular) attenuated backscatter
- 532 nm perpendicular attenuated backscatter
- 1064 nm total attenuated backscatter
The orbit track locations for the entire Level 1 .hdf file are in black and the orbit track locations corresponding to this page are color coded.
For the full scale images:
- the color bars for attenuated backscatter show the colors assigned to ranges of attenuated backscatter, /km/sr
- the horizontal axes are annotated with latitude (deg) and longitude (deg)
- the vertical axes are annotated to indicate altitude in kilometers
- the date and time of the measurements are listed as UTC time
- the names of the CALIPSO data products for the Lidar Level 1 attenuated backscatter granules are included
The scaled images on this page are organized by CALIPSO data product day and night orbit granules.
The maps with a shaded background indicate nightime measurements.
There are a maximum of 4 scaled images per granule.
The orbit tracks plotted on the maps show the measurement locations for each granule.
For each granule, the scaled images are ordered from left to right and their locations along the orbit tracks are color coded as: image one, image two, image three, image four.
Begin |
End | Number Profiles |
|---|---|---|
| 2015/03/28 00:32:00.7200 UTC | 2015/03/28 01:18:27.5723 UTC | 56190 |
|
|
|
|
|
Begin |
End | Number Profiles |
|---|---|---|
| 2015/03/28 01:18:27.6210 UTC | 2015/03/28 02:10:53.0383 UTC | 63420 |
|
|
|
|
|
Begin |
End | Number Profiles |
|---|---|---|
| 2015/03/28 02:10:53.0879 UTC | 2015/03/28 02:57:20.6813 UTC | 56205 |
|
|
|
|
|
Begin |
End | Number Profiles |
|---|---|---|
| 2015/03/28 02:57:20.7310 UTC | 2015/03/28 03:49:47.6353 UTC | 63450 |
|
|
|
|
|
Begin |
End | Number Profiles |
|---|---|---|
| 2015/03/28 03:49:47.6849 UTC | 2015/03/28 04:36:13.0434 UTC | 56160 |
|
|
|
|
|
Begin |
End | Number Profiles |
|---|---|---|
| 2015/03/28 04:36:13.0930 UTC | 2015/03/28 05:28:39.9974 UTC | 63450 |
|
|
|
|
|
Begin |
End | Number Profiles |
|---|---|---|
| 2015/03/28 05:28:40.0470 UTC | 2015/03/28 06:15:07.6374 UTC | 56205 |
|
|
|
|
|
Begin |
End | Number Profiles |
|---|---|---|
| 2015/03/28 06:15:07.6870 UTC | 2015/03/28 07:07:34.5904 UTC | 63450 |
|
|
|
|
|
Begin |
End | Number Profiles |
|---|---|---|
| 2015/03/28 07:07:34.6399 UTC | 2015/03/28 07:53:59.9994 UTC | 56160 |
|
|
|
|
|
Begin |
End | Number Profiles |
|---|---|---|
| 2015/03/28 07:54:00.0480 UTC | 2015/03/28 08:46:27.6954 UTC | 63465 |
|
|
|
|
|
Begin |
End | Number Profiles |
|---|---|---|
| 2015/03/28 08:46:27.7450 UTC | 2015/03/28 09:32:54.5924 UTC | 56190 |
|
|
|
|
|
Begin |
End | Number Profiles |
|---|---|---|
| 2015/03/28 09:32:54.6420 UTC | 2015/03/28 10:25:21.5454 UTC | 63450 |
|
|
|
|
|
Begin |
End | Number Profiles |
|---|---|---|
| 2015/03/28 10:25:21.5950 UTC | 2015/03/28 11:11:47.6964 UTC | 56175 |
|
|
|
|
|
Begin |
End | Number Profiles |
|---|---|---|
| 2015/03/28 11:11:47.7460 UTC | 2015/03/28 12:04:14.6494 UTC | 63450 |
|
|
|
|
|
Begin |
End | Number Profiles |
|---|---|---|
| 2015/03/28 12:04:14.6990 UTC | 2015/03/28 12:50:41.5483 UTC | 56115 |
|
|
|
|
|
Begin |
End | Number Profiles |
|---|---|---|
| 2015/03/28 12:50:41.5979 UTC | 2015/03/28 13:43:08.5053 UTC | 63450 |
|
|
|
|
|
Begin |
End | Number Profiles |
|---|---|---|
| 2015/03/28 13:43:08.5549 UTC | 2015/03/28 14:29:34.6664 UTC | 56175 |
|
|
|
|
|
Begin |
End | Number Profiles |
|---|---|---|
| 2015/03/28 14:29:34.7160 UTC | 2015/03/28 15:22:01.6254 UTC | 63450 |
|
|
|
|
|
Begin |
End | Number Profiles |
|---|---|---|
| 2015/03/28 15:22:01.6750 UTC | 2015/03/28 16:08:27.0384 UTC | 56160 |
|
|
|
|
|
Begin |
End | Number Profiles |
|---|---|---|
| 2015/03/28 16:08:27.0880 UTC | 2015/03/28 17:00:53.9933 UTC | 63450 |
|
|
|
|
|
Begin |
End | Number Profiles |
|---|---|---|
| 2015/03/28 17:00:54.0429 UTC | 2015/03/28 17:47:21.6354 UTC | 56205 |
|
|
|
|
|
Begin |
End | Number Profiles |
|---|---|---|
| 2015/03/28 17:47:21.6850 UTC | 2015/03/28 18:39:48.5913 UTC | 63450 |
|
|
|
|
|
Begin |
End | Number Profiles |
|---|---|---|
| 2015/03/28 18:39:48.6409 UTC | 2015/03/28 19:26:14.0024 UTC | 56160 |
|
|
|
|
|
Begin |
End | Number Profiles |
|---|---|---|
| 2015/03/28 19:26:14.0520 UTC | 2015/03/28 20:18:41.7024 UTC | 63465 |
|
|
|
|
|
Begin |
End | Number Profiles |
|---|---|---|
| 2015/03/28 20:18:41.7520 UTC | 2015/03/28 21:05:08.6024 UTC | 56190 |
|
|
|
|
|
Begin |
End | Number Profiles |
|---|---|---|
| 2015/03/28 21:05:08.6520 UTC | 2015/03/28 21:57:35.5553 UTC | 63450 |
|
|
|
|
|
Begin |
End | Number Profiles |
|---|---|---|
| 2015/03/28 21:57:35.6040 UTC | 2015/03/28 22:44:01.7064 UTC | 56175 |
|
|
|
|
|
Begin |
End | Number Profiles |
|---|---|---|
| 2015/03/28 22:44:01.7560 UTC | 2015/03/28 23:36:28.6574 UTC | 63450 |
|
|
|
|
|
Begin |
End | Number Profiles |
|---|---|---|
| 2015/03/28 23:36:28.7070 UTC | 2015/03/29 00:22:55.5563 UTC | 56190 |
|
|
|
|
|
























































































































