|
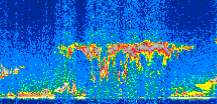
Displayed on this page are scaled, color-modulated, altitude-time images of CALIPSO attenuated backscatter (/km/sr) including:
- 532 nm total (parallel + perpendicular) attenuated backscatter
- 532 nm perpendicular attenuated backscatter
- 1064 nm total attenuated backscatter
The orbit track locations for the entire Level 1 .hdf file are in black and the orbit track locations corresponding to this page are color coded.
For the full scale images:
- the color bars for attenuated backscatter show the colors assigned to ranges of attenuated backscatter, /km/sr
- the horizontal axes are annotated with latitude (deg) and longitude (deg)
- the vertical axes are annotated to indicate altitude in kilometers
- the date and time of the measurements are listed as UTC time
- the names of the CALIPSO data products for the Lidar Level 1 attenuated backscatter granules are included
The scaled images on this page are organized by CALIPSO data product day and night orbit granules.
The maps with a shaded background indicate nightime measurements.
There are a maximum of 4 scaled images per granule.
The orbit tracks plotted on the maps show the measurement locations for each granule.
For each granule, the scaled images are ordered from left to right and their locations along the orbit tracks are color coded as: image one, image two, image three, image four.
Begin |
End | Number Profiles |
|---|---|---|
| 2015/04/23 00:19:33.3370 UTC | 2015/04/23 01:11:59.4934 UTC | 63435 |
|
|
|
|
|
Begin |
End | Number Profiles |
|---|---|---|
| 2015/04/23 01:11:59.5430 UTC | 2015/04/23 01:58:27.1374 UTC | 56205 |
|
|
|
|
|
Begin |
End | Number Profiles |
|---|---|---|
| 2015/04/23 01:58:27.1870 UTC | 2015/04/23 02:50:52.5984 UTC | 63420 |
|
|
|
|
|
Begin |
End | Number Profiles |
|---|---|---|
| 2015/04/23 02:50:52.6480 UTC | 2015/04/23 03:37:20.2434 UTC | 56205 |
|
|
|
|
|
Begin |
End | Number Profiles |
|---|---|---|
| 2015/04/23 03:37:20.2930 UTC | 2015/04/23 04:29:46.4483 UTC | 63435 |
|
|
|
|
|
Begin |
End | Number Profiles |
|---|---|---|
| 2015/04/23 04:29:46.4980 UTC | 2015/04/23 05:16:14.0904 UTC | 56205 |
|
|
|
|
|
Begin |
End | Number Profiles |
|---|---|---|
| 2015/04/23 05:16:14.1400 UTC | 2015/04/23 06:08:39.5494 UTC | 63420 |
|
|
|
|
|
Begin |
End | Number Profiles |
|---|---|---|
| 2015/04/23 06:08:39.5990 UTC | 2015/04/23 06:55:07.1914 UTC | 56205 |
|
|
|
|
|
Begin |
End | Number Profiles |
|---|---|---|
| 2015/04/23 06:55:07.2410 UTC | 2015/04/23 07:47:33.3943 UTC | 63435 |
|
|
|
|
|
Begin |
End | Number Profiles |
|---|---|---|
| 2015/04/23 07:47:33.4439 UTC | 2015/04/23 08:34:01.0373 UTC | 56205 |
|
|
|
|
|
Begin |
End | Number Profiles |
|---|---|---|
| 2015/04/23 08:34:01.0870 UTC | 2015/04/23 09:26:26.4974 UTC | 63420 |
|
|
|
|
|
Begin |
End | Number Profiles |
|---|---|---|
| 2015/04/23 09:26:26.5469 UTC | 2015/04/23 10:12:54.1394 UTC | 56205 |
|
|
|
|
|
Begin |
End | Number Profiles |
|---|---|---|
| 2015/04/23 10:12:54.1890 UTC | 2015/04/23 11:05:20.3434 UTC | 63435 |
|
|
|
|
|
Begin |
End | Number Profiles |
|---|---|---|
| 2015/04/23 11:05:20.3930 UTC | 2015/04/23 11:51:47.9844 UTC | 56205 |
|
|
|
|
|
Begin |
End | Number Profiles |
|---|---|---|
| 2015/04/23 11:51:48.0340 UTC | 2015/04/23 12:44:13.4423 UTC | 63420 |
|
|
|
|
|
Begin |
End | Number Profiles |
|---|---|---|
| 2015/04/23 12:44:13.4919 UTC | 2015/04/23 13:30:41.0804 UTC | 56205 |
|
|
|
|
|
Begin |
End | Number Profiles |
|---|---|---|
| 2015/04/23 13:30:41.1300 UTC | 2015/04/23 14:23:07.2813 UTC | 63435 |
|
|
|
|
|
Begin |
End | Number Profiles |
|---|---|---|
| 2015/04/23 14:23:07.3309 UTC | 2015/04/23 15:09:35.6654 UTC | 56220 |
|
|
|
|
|
Begin |
End | Number Profiles |
|---|---|---|
| 2015/04/23 15:09:35.7150 UTC | 2015/04/23 16:02:00.3764 UTC | 63405 |
|
|
|
|
|
Begin |
End | Number Profiles |
|---|---|---|
| 2015/04/23 16:02:00.4260 UTC | 2015/04/23 16:48:28.0144 UTC | 56205 |
|
|
|
|
|
Begin |
End | Number Profiles |
|---|---|---|
| 2015/04/23 16:48:28.0640 UTC | 2015/04/23 17:40:54.2133 UTC | 63435 |
|
|
|
|
|
Begin |
End | Number Profiles |
|---|---|---|
| 2015/04/23 17:40:54.2629 UTC | 2015/04/23 18:27:22.5944 UTC | 56220 |
|
|
|
|
|
Begin |
End | Number Profiles |
|---|---|---|
| 2015/04/23 18:27:22.6440 UTC | 2015/04/23 19:19:47.3064 UTC | 63405 |
|
|
|
|
|
Begin |
End | Number Profiles |
|---|---|---|
| 2015/04/23 19:19:47.3560 UTC | 2015/04/23 20:06:15.6873 UTC | 56220 |
|
|
|
|
|
Begin |
End | Number Profiles |
|---|---|---|
| 2015/04/23 20:06:15.7360 UTC | 2015/04/23 20:58:41.1424 UTC | 63420 |
|
|
|
|
|
Begin |
End | Number Profiles |
|---|---|---|
| 2015/04/23 20:58:41.1920 UTC | 2015/04/23 21:45:09.5203 UTC | 56220 |
|
|
|
|
|
Begin |
End | Number Profiles |
|---|---|---|
| 2015/04/23 21:45:09.5699 UTC | 2015/04/23 22:37:34.2333 UTC | 63405 |
|
|
|
|
|
Begin |
End | Number Profiles |
|---|---|---|
| 2015/04/23 22:37:34.2829 UTC | 2015/04/23 23:24:02.6133 UTC | 56220 |
|
|
|
|
|
Begin |
End | Number Profiles |
|---|---|---|
| 2015/04/23 23:24:02.6629 UTC | 2015/04/24 00:16:28.0704 UTC | 47250 |
|
|
|
|
|
























































































































