|
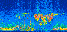
Displayed on this page are scaled, color-modulated, altitude-time images of CALIPSO attenuated backscatter (/km/sr) including:
- 532 nm total (parallel + perpendicular) attenuated backscatter
- 532 nm perpendicular attenuated backscatter
- 1064 nm total attenuated backscatter
The orbit track locations for the entire Level 1 .hdf file are in black and the orbit track locations corresponding to this page are color coded.
For the full scale images:
- the color bars for attenuated backscatter show the colors assigned to ranges of attenuated backscatter, /km/sr
- the horizontal axes are annotated with latitude (deg) and longitude (deg)
- the vertical axes are annotated to indicate altitude in kilometers
- the date and time of the measurements are listed as UTC time
- the names of the CALIPSO data products for the Lidar Level 1 attenuated backscatter granules are included
The scaled images on this page are organized by CALIPSO data product day and night orbit granules.
The maps with a shaded background indicate nightime measurements.
There are a maximum of 4 scaled images per granule.
The orbit tracks plotted on the maps show the measurement locations for each granule.
For each granule, the scaled images are ordered from left to right and their locations along the orbit tracks are color coded as: image one, image two, image three, image four.
Begin |
End | Number Profiles |
|---|---|---|
| 2015/04/25 00:07:24.3330 UTC | 2015/04/25 00:59:50.4884 UTC | 63435 |
|
|
|
|
|
Begin |
End | Number Profiles |
|---|---|---|
| 2015/04/25 00:59:50.5380 UTC | 2015/04/25 01:46:18.1314 UTC | 56205 |
|
|
|
|
|
Begin |
End | Number Profiles |
|---|---|---|
| 2015/04/25 01:46:18.1810 UTC | 2015/04/25 02:38:43.5904 UTC | 63420 |
|
|
|
|
|
Begin |
End | Number Profiles |
|---|---|---|
| 2015/04/25 02:38:43.6400 UTC | 2015/04/25 03:25:11.2324 UTC | 56205 |
|
|
|
|
|
Begin |
End | Number Profiles |
|---|---|---|
| 2015/04/25 03:25:11.2820 UTC | 2015/04/25 04:17:37.4364 UTC | 63435 |
|
|
|
|
|
Begin |
End | Number Profiles |
|---|---|---|
| 2015/04/25 04:17:37.4860 UTC | 2015/04/25 05:04:05.0774 UTC | 56205 |
|
|
|
|
|
Begin |
End | Number Profiles |
|---|---|---|
| 2015/04/25 05:04:05.1270 UTC | 2015/04/25 05:56:30.5364 UTC | 63420 |
|
|
|
|
|
Begin |
End | Number Profiles |
|---|---|---|
| 2015/04/25 05:56:30.5860 UTC | 2015/04/25 06:42:58.1774 UTC | 56205 |
|
|
|
|
|
Begin |
End | Number Profiles |
|---|---|---|
| 2015/04/25 06:42:58.2270 UTC | 2015/04/25 07:35:24.3804 UTC | 63435 |
|
|
|
|
|
Begin |
End | Number Profiles |
|---|---|---|
| 2015/04/25 07:35:24.4299 UTC | 2015/04/25 08:21:52.0224 UTC | 56205 |
|
|
|
|
|
Begin |
End | Number Profiles |
|---|---|---|
| 2015/04/25 08:21:52.0710 UTC | 2015/04/25 09:14:17.4814 UTC | 63420 |
|
|
|
|
|
Begin |
End | Number Profiles |
|---|---|---|
| 2015/04/25 09:14:17.5310 UTC | 2015/04/25 10:00:45.1233 UTC | 56205 |
|
|
|
|
|
Begin |
End | Number Profiles |
|---|---|---|
| 2015/04/25 10:00:45.1720 UTC | 2015/04/25 10:53:11.3274 UTC | 63435 |
|
|
|
|
|
Begin |
End | Number Profiles |
|---|---|---|
| 2015/04/25 10:53:11.3770 UTC | 2015/04/25 11:39:38.9694 UTC | 56205 |
|
|
|
|
|
Begin |
End | Number Profiles |
|---|---|---|
| 2015/04/25 11:39:39.0189 UTC | 2015/04/25 12:32:04.4273 UTC | 63420 |
|
|
|
|
|
Begin |
End | Number Profiles |
|---|---|---|
| 2015/04/25 12:32:04.4770 UTC | 2015/04/25 13:18:32.0674 UTC | 56205 |
|
|
|
|
|
Begin |
End | Number Profiles |
|---|---|---|
| 2015/04/25 13:18:32.1170 UTC | 2015/04/25 14:10:57.5264 UTC | 63420 |
|
|
|
|
|
Begin |
End | Number Profiles |
|---|---|---|
| 2015/04/25 14:10:57.5760 UTC | 2015/04/25 14:57:26.6563 UTC | 56235 |
|
|
|
|
|
Begin |
End | Number Profiles |
|---|---|---|
| 2015/04/25 14:57:26.7059 UTC | 2015/04/25 15:49:51.3704 UTC | 63405 |
|
|
|
|
|
Begin |
End | Number Profiles |
|---|---|---|
| 2015/04/25 15:49:51.4199 UTC | 2015/04/25 16:36:19.0073 UTC | 56205 |
|
|
|
|
|
Begin |
End | Number Profiles |
|---|---|---|
| 2015/04/25 16:36:19.0569 UTC | 2015/04/25 17:28:44.4624 UTC | 63420 |
|
|
|
|
|
Begin |
End | Number Profiles |
|---|---|---|
| 2015/04/25 17:28:44.5120 UTC | 2015/04/25 18:15:12.0973 UTC | 56205 |
|
|
|
|
|
Begin |
End | Number Profiles |
|---|---|---|
| 2015/04/25 18:15:12.1469 UTC | 2015/04/25 19:07:38.2974 UTC | 63435 |
|
|
|
|
|
Begin |
End | Number Profiles |
|---|---|---|
| 2015/04/25 19:07:38.3470 UTC | 2015/04/25 19:54:06.6784 UTC | 56220 |
|
|
|
|
|
Begin |
End | Number Profiles |
|---|---|---|
| 2015/04/25 19:54:06.7280 UTC | 2015/04/25 20:46:31.3904 UTC | 63405 |
|
|
|
|
|
Begin |
End | Number Profiles |
|---|---|---|
| 2015/04/25 20:46:31.4400 UTC | 2015/04/25 21:32:59.0284 UTC | 56205 |
|
|
|
|
|
Begin |
End | Number Profiles |
|---|---|---|
| 2015/04/25 21:32:59.0780 UTC | 2015/04/25 22:25:25.2283 UTC | 63435 |
|
|
|
|
|
Begin |
End | Number Profiles |
|---|---|---|
| 2015/04/25 22:25:25.2779 UTC | 2015/04/25 23:11:53.6083 UTC | 56220 |
|
|
|
|
|
Begin |
End | Number Profiles |
|---|---|---|
| 2015/04/25 23:11:53.6579 UTC | 2015/04/26 00:04:18.3204 UTC | 63405 |
|
|
|
|
|
























































































































