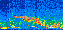
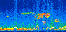
|
Displayed on this page are scaled, color-modulated, altitude-time images of CALIPSO attenuated backscatter (/km/sr) including:
- 532 nm total (parallel + perpendicular) attenuated backscatter
- 532 nm perpendicular attenuated backscatter
- 1064 nm total attenuated backscatter
The orbit track locations for the entire Level 1 .hdf file are in black and the orbit track locations corresponding to this page are color coded.
For the full scale images:
- the color bars for attenuated backscatter show the colors assigned to ranges of attenuated backscatter, /km/sr
- the horizontal axes are annotated with latitude (deg) and longitude (deg)
- the vertical axes are annotated to indicate altitude in kilometers
- the date and time of the measurements are listed as UTC time
- the names of the CALIPSO data products for the Lidar Level 1 attenuated backscatter granules are included
The scaled images on this page are organized by CALIPSO data product day and night orbit granules.
The maps with a shaded background indicate nightime measurements.
There are a maximum of 4 scaled images per granule.
The orbit tracks plotted on the maps show the measurement locations for each granule.
For each granule, the scaled images are ordered from left to right and their locations along the orbit tracks are color coded as: image one, image two, image three, image four.
Begin |
End | Number Profiles |
|---|---|---|
| 2015/05/08 00:29:58.2040 UTC | 2015/05/08 01:16:27.2764 UTC | 56235 |
|
|
|
|
|
Begin |
End | Number Profiles |
|---|---|---|
| 2015/05/08 01:16:27.3260 UTC | 2015/05/08 02:08:51.2383 UTC | 63390 |
|
|
|
|
|
Begin |
End | Number Profiles |
|---|---|---|
| 2015/05/08 02:08:51.2880 UTC | 2015/05/08 02:55:20.3594 UTC | 56235 |
|
|
|
|
|
Begin |
End | Number Profiles |
|---|---|---|
| 2015/05/08 02:55:20.4090 UTC | 2015/05/08 03:47:44.3223 UTC | 63390 |
|
|
|
|
|
Begin |
End | Number Profiles |
|---|---|---|
| 2015/05/08 03:47:44.3720 UTC | 2015/05/08 04:34:14.1894 UTC | 56250 |
|
|
|
|
|
Begin |
End | Number Profiles |
|---|---|---|
| 2015/05/08 04:34:14.2390 UTC | 2015/05/08 05:26:38.1534 UTC | 63390 |
|
|
|
|
|
Begin |
End | Number Profiles |
|---|---|---|
| 2015/05/08 05:26:38.2030 UTC | 2015/05/08 06:13:07.2734 UTC | 56235 |
|
|
|
|
|
Begin |
End | Number Profiles |
|---|---|---|
| 2015/05/08 06:13:07.3230 UTC | 2015/05/08 07:05:31.2354 UTC | 63390 |
|
|
|
|
|
Begin |
End | Number Profiles |
|---|---|---|
| 2015/05/08 07:05:31.2850 UTC | 2015/05/08 07:52:00.3554 UTC | 56235 |
|
|
|
|
|
Begin |
End | Number Profiles |
|---|---|---|
| 2015/05/08 07:52:00.4050 UTC | 2015/05/08 08:44:24.3164 UTC | 63390 |
|
|
|
|
|
Begin |
End | Number Profiles |
|---|---|---|
| 2015/05/08 08:44:24.3660 UTC | 2015/05/08 09:30:54.1844 UTC | 56250 |
|
|
|
|
|
Begin |
End | Number Profiles |
|---|---|---|
| 2015/05/08 09:30:54.2340 UTC | 2015/05/08 10:23:18.1454 UTC | 63390 |
|
|
|
|
|
Begin |
End | Number Profiles |
|---|---|---|
| 2015/05/08 10:23:18.1950 UTC | 2015/05/08 11:09:47.2644 UTC | 56235 |
|
|
|
|
|
Begin |
End | Number Profiles |
|---|---|---|
| 2015/05/08 11:09:47.3140 UTC | 2015/05/08 12:02:11.2254 UTC | 63390 |
|
|
|
|
|
Begin |
End | Number Profiles |
|---|---|---|
| 2015/05/08 12:02:11.2750 UTC | 2015/05/08 12:48:40.3454 UTC | 56235 |
|
|
|
|
|
Begin |
End | Number Profiles |
|---|---|---|
| 2015/05/08 12:48:40.3950 UTC | 2015/05/08 13:41:04.3074 UTC | 63390 |
|
|
|
|
|
Begin |
End | Number Profiles |
|---|---|---|
| 2015/05/08 13:41:04.3570 UTC | 2015/05/08 14:27:34.1714 UTC | 56250 |
|
|
|
|
|
Begin |
End | Number Profiles |
|---|---|---|
| 2015/05/08 14:27:34.2210 UTC | 2015/05/08 15:19:57.3884 UTC | 63375 |
|
|
|
|
|
Begin |
End | Number Profiles |
|---|---|---|
| 2015/05/08 15:19:57.4370 UTC | 2015/05/08 16:06:27.2474 UTC | 56250 |
|
|
|
|
|
Begin |
End | Number Profiles |
|---|---|---|
| 2015/05/08 16:06:27.2970 UTC | 2015/05/08 16:58:51.2054 UTC | 63390 |
|
|
|
|
|
Begin |
End | Number Profiles |
|---|---|---|
| 2015/05/08 16:58:51.2550 UTC | 2015/05/08 17:45:20.3193 UTC | 56235 |
|
|
|
|
|
Begin |
End | Number Profiles |
|---|---|---|
| 2015/05/08 17:45:20.3690 UTC | 2015/05/08 18:37:44.2764 UTC | 63390 |
|
|
|
|
|
Begin |
End | Number Profiles |
|---|---|---|
| 2015/05/08 18:37:44.3260 UTC | 2015/05/08 19:24:13.3913 UTC | 56235 |
|
|
|
|
|
Begin |
End | Number Profiles |
|---|---|---|
| 2015/05/08 19:24:13.4409 UTC | 2015/05/08 20:16:03.8703 UTC | 62715 |
|
|
|
|
|
Begin |
End | Number Profiles |
|---|---|---|
| 2015/05/08 20:48:07.0850 UTC | 2015/05/08 21:03:07.2104 UTC | 18150 |
|
|
|
|
|
|
Begin |
End | Number Profiles |
|---|---|---|
| 2015/05/08 21:03:07.2590 UTC | 2015/05/08 21:55:31.1684 UTC | 63390 |
|
|
|
|
|
Begin |
End | Number Profiles |
|---|---|---|
| 2015/05/08 21:55:31.2180 UTC | 2015/05/08 22:42:00.2863 UTC | 56235 |
|
|
|
|
|
Begin |
End | Number Profiles |
|---|---|---|
| 2015/05/08 22:42:00.3350 UTC | 2015/05/08 23:34:24.2443 UTC | 63390 |
|
|
|
|
|
Begin |
End | Number Profiles |
|---|---|---|
| 2015/05/08 23:34:24.2939 UTC | 2015/05/09 00:20:53.3664 UTC | 56235 |
|
|
|
|
|




















































































































