|
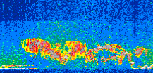
Displayed on this page are scaled, color-modulated, altitude-time images of CALIPSO attenuated backscatter (/km/sr) including:
- 532 nm total (parallel + perpendicular) attenuated backscatter
- 532 nm perpendicular attenuated backscatter
- 1064 nm total attenuated backscatter
The orbit track locations for the entire Level 1 .hdf file are in black and the orbit track locations corresponding to this page are color coded.
For the full scale images:
- the color bars for attenuated backscatter show the colors assigned to ranges of attenuated backscatter, /km/sr
- the horizontal axes are annotated with latitude (deg) and longitude (deg)
- the vertical axes are annotated to indicate altitude in kilometers
- the date and time of the measurements are listed as UTC time
- the names of the CALIPSO data products for the Lidar Level 1 attenuated backscatter granules are included
The scaled images on this page are organized by CALIPSO data product day and night orbit granules.
The maps with a shaded background indicate nightime measurements.
There are a maximum of 4 scaled images per granule.
The orbit tracks plotted on the maps show the measurement locations for each granule.
For each granule, the scaled images are ordered from left to right and their locations along the orbit tracks are color coded as: image one, image two, image three, image four.
Begin |
End | Number Profiles |
|---|---|---|
| 2015/05/17 00:24:09.6350 UTC | 2015/05/17 01:10:39.4504 UTC | 56250 |
|
|
|
|
|
Begin |
End | Number Profiles |
|---|---|---|
| 2015/05/17 01:10:39.4990 UTC | 2015/05/17 02:03:02.6634 UTC | 63375 |
|
|
|
|
|
Begin |
End | Number Profiles |
|---|---|---|
| 2015/05/17 02:03:02.7130 UTC | 2015/05/17 02:49:32.5263 UTC | 56250 |
|
|
|
|
|
Begin |
End | Number Profiles |
|---|---|---|
| 2015/05/17 02:49:32.5750 UTC | 2015/05/17 03:41:54.9963 UTC | 63360 |
|
|
|
|
|
Begin |
End | Number Profiles |
|---|---|---|
| 2015/05/17 03:41:55.0450 UTC | 2015/05/17 04:28:25.6033 UTC | 56265 |
|
|
|
|
|
Begin |
End | Number Profiles |
|---|---|---|
| 2015/05/17 04:28:25.6530 UTC | 2015/05/17 05:20:48.0734 UTC | 63360 |
|
|
|
|
|
Begin |
End | Number Profiles |
|---|---|---|
| 2015/05/17 05:20:48.1230 UTC | 2015/05/17 06:07:18.6794 UTC | 56265 |
|
|
|
|
|
Begin |
End | Number Profiles |
|---|---|---|
| 2015/05/17 06:07:18.7279 UTC | 2015/05/17 06:59:41.1464 UTC | 63360 |
|
|
|
|
|
Begin |
End | Number Profiles |
|---|---|---|
| 2015/05/17 06:59:41.1949 UTC | 2015/05/17 07:46:11.0054 UTC | 56250 |
|
|
|
|
|
Begin |
End | Number Profiles |
|---|---|---|
| 2015/05/17 07:46:11.0550 UTC | 2015/05/17 08:38:34.2163 UTC | 63375 |
|
|
|
|
|
Begin |
End | Number Profiles |
|---|---|---|
| 2015/05/17 08:38:34.2660 UTC | 2015/05/17 09:25:05.5644 UTC | 56280 |
|
|
|
|
|
Begin |
End | Number Profiles |
|---|---|---|
| 2015/05/17 09:25:05.6140 UTC | 2015/05/17 10:17:28.0324 UTC | 63360 |
|
|
|
|
|
Begin |
End | Number Profiles |
|---|---|---|
| 2015/05/17 10:17:28.0820 UTC | 2015/05/17 11:03:58.6364 UTC | 56265 |
|
|
|
|
|
Begin |
End | Number Profiles |
|---|---|---|
| 2015/05/17 11:03:58.6860 UTC | 2015/05/17 11:56:21.1044 UTC | 63360 |
|
|
|
|
|
Begin |
End | Number Profiles |
|---|---|---|
| 2015/05/17 11:56:21.1540 UTC | 2015/05/17 12:42:50.9673 UTC | 56250 |
|
|
|
|
|
Begin |
End | Number Profiles |
|---|---|---|
| 2015/05/17 12:42:51.0160 UTC | 2015/05/17 13:35:14.1784 UTC | 63375 |
|
|
|
|
|
Begin |
End | Number Profiles |
|---|---|---|
| 2015/05/17 13:35:14.2280 UTC | 2015/05/17 14:21:44.0404 UTC | 56250 |
|
|
|
|
|
Begin |
End | Number Profiles |
|---|---|---|
| 2015/05/17 14:21:44.0890 UTC | 2015/05/17 15:14:07.2513 UTC | 63375 |
|
|
|
|
|
Begin |
End | Number Profiles |
|---|---|---|
| 2015/05/17 15:14:07.3009 UTC | 2015/05/17 16:00:37.1103 UTC | 56250 |
|
|
|
|
|
Begin |
End | Number Profiles |
|---|---|---|
| 2015/05/17 16:00:37.1599 UTC | 2015/05/17 16:53:00.3184 UTC | 63375 |
|
|
|
|
|
Begin |
End | Number Profiles |
|---|---|---|
| 2015/05/17 16:53:00.3680 UTC | 2015/05/17 17:39:30.1753 UTC | 56250 |
|
|
|
|
|
Begin |
End | Number Profiles |
|---|---|---|
| 2015/05/17 17:39:30.2240 UTC | 2015/05/17 18:31:53.3824 UTC | 63375 |
|
|
|
|
|
Begin |
End | Number Profiles |
|---|---|---|
| 2015/05/17 18:31:53.4320 UTC | 2015/05/17 19:18:23.2364 UTC | 56250 |
|
|
|
|
|
Begin |
End | Number Profiles |
|---|---|---|
| 2015/05/17 19:18:23.2850 UTC | 2015/05/17 20:10:46.4433 UTC | 63375 |
|
|
|
|
|
Begin |
End | Number Profiles |
|---|---|---|
| 2015/05/17 20:10:46.4929 UTC | 2015/05/17 20:57:17.0404 UTC | 56265 |
|
|
|
|
|
Begin |
End | Number Profiles |
|---|---|---|
| 2015/05/17 20:57:17.0900 UTC | 2015/05/17 21:49:39.5044 UTC | 63360 |
|
|
|
|
|
Begin |
End | Number Profiles |
|---|---|---|
| 2015/05/17 21:49:39.5540 UTC | 2015/05/17 22:36:10.1024 UTC | 56265 |
|
|
|
|
|
Begin |
End | Number Profiles |
|---|---|---|
| 2015/05/17 22:36:10.1520 UTC | 2015/05/17 23:28:32.5664 UTC | 63360 |
|
|
|
|
|
Begin |
End | Number Profiles |
|---|---|---|
| 2015/05/17 23:28:32.6160 UTC | 2015/05/18 00:15:03.1634 UTC | 56265 |
|
|
|
|
|
























































































































