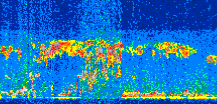
|
Displayed on this page are scaled, color-modulated, altitude-time images of CALIPSO attenuated backscatter (/km/sr) including:
- 532 nm total (parallel + perpendicular) attenuated backscatter
- 532 nm perpendicular attenuated backscatter
- 1064 nm total attenuated backscatter
The orbit track locations for the entire Level 1 .hdf file are in black and the orbit track locations corresponding to this page are color coded.
For the full scale images:
- the color bars for attenuated backscatter show the colors assigned to ranges of attenuated backscatter, /km/sr
- the horizontal axes are annotated with latitude (deg) and longitude (deg)
- the vertical axes are annotated to indicate altitude in kilometers
- the date and time of the measurements are listed as UTC time
- the names of the CALIPSO data products for the Lidar Level 1 attenuated backscatter granules are included
The scaled images on this page are organized by CALIPSO data product day and night orbit granules.
The maps with a shaded background indicate nightime measurements.
There are a maximum of 4 scaled images per granule.
The orbit tracks plotted on the maps show the measurement locations for each granule.
For each granule, the scaled images are ordered from left to right and their locations along the orbit tracks are color coded as: image one, image two, image three, image four.
Begin |
End | Number Profiles |
|---|---|---|
| 2015/06/30 00:49:53.5119 UTC | 2015/06/30 01:36:27.7014 UTC | 56340 |
|
|
|
|
|
Begin |
End | Number Profiles |
|---|---|---|
| 2015/06/30 01:36:27.7499 UTC | 2015/06/30 02:28:46.4024 UTC | 63285 |
|
|
|
|
|
Begin |
End | Number Profiles |
|---|---|---|
| 2015/06/30 02:28:46.4520 UTC | 2015/06/30 03:15:20.6523 UTC | 56340 |
|
|
|
|
|
Begin |
End | Number Profiles |
|---|---|---|
| 2015/06/30 03:15:20.7010 UTC | 2015/06/30 04:07:39.3574 UTC | 63285 |
|
|
|
|
|
Begin |
End | Number Profiles |
|---|---|---|
| 2015/06/30 04:07:39.4070 UTC | 2015/06/30 04:54:13.6184 UTC | 56340 |
|
|
|
|
|
Begin |
End | Number Profiles |
|---|---|---|
| 2015/06/30 04:54:13.6670 UTC | 2015/06/30 05:46:32.3264 UTC | 63285 |
|
|
|
|
|
Begin |
End | Number Profiles |
|---|---|---|
| 2015/06/30 05:46:32.3760 UTC | 2015/06/30 06:33:06.5964 UTC | 56340 |
|
|
|
|
|
Begin |
End | Number Profiles |
|---|---|---|
| 2015/06/30 06:33:06.6450 UTC | 2015/06/30 07:25:25.3064 UTC | 63285 |
|
|
|
|
|
Begin |
End | Number Profiles |
|---|---|---|
| 2015/06/30 07:25:25.3560 UTC | 2015/06/30 08:11:59.5863 UTC | 56340 |
|
|
|
|
|
Begin |
End | Number Profiles |
|---|---|---|
| 2015/06/30 08:11:59.6350 UTC | 2015/06/30 09:04:18.2974 UTC | 63285 |
|
|
|
|
|
Begin |
End | Number Profiles |
|---|---|---|
| 2015/06/30 09:04:18.3469 UTC | 2015/06/30 09:50:52.5823 UTC | 56340 |
|
|
|
|
|
Begin |
End | Number Profiles |
|---|---|---|
| 2015/06/30 09:50:52.6310 UTC | 2015/06/30 10:43:11.2963 UTC | 63285 |
|
|
|
|
|
Begin |
End | Number Profiles |
|---|---|---|
| 2015/06/30 10:43:11.3459 UTC | 2015/06/30 11:29:45.5854 UTC | 56340 |
|
|
|
|
|
Begin |
End | Number Profiles |
|---|---|---|
| 2015/06/30 11:29:45.6339 UTC | 2015/06/30 12:22:04.3034 UTC | 63285 |
|
|
|
|
|
Begin |
End | Number Profiles |
|---|---|---|
| 2015/06/30 12:22:04.3530 UTC | 2015/06/30 13:08:37.1074 UTC | 56310 |
|
|
|
|
|
Begin |
End | Number Profiles |
|---|---|---|
| 2015/06/30 13:08:37.1570 UTC | 2015/06/30 14:00:57.3133 UTC | 63315 |
|
|
|
|
|
Begin |
End | Number Profiles |
|---|---|---|
| 2015/06/30 14:00:57.3629 UTC | 2015/06/30 14:47:30.1244 UTC | 56310 |
|
|
|
|
|
Begin |
End | Number Profiles |
|---|---|---|
| 2015/06/30 14:47:30.1740 UTC | 2015/06/30 15:39:49.5894 UTC | 63300 |
|
|
|
|
|
Begin |
End | Number Profiles |
|---|---|---|
| 2015/06/30 15:39:49.6390 UTC | 2015/06/30 16:26:23.1443 UTC | 56325 |
|
|
|
|
|
Begin |
End | Number Profiles |
|---|---|---|
| 2015/06/30 16:26:23.1939 UTC | 2015/06/30 17:18:42.6063 UTC | 63300 |
|
|
|
|
|
Begin |
End | Number Profiles |
|---|---|---|
| 2015/06/30 17:18:42.6559 UTC | 2015/06/30 18:05:16.1574 UTC | 56325 |
|
|
|
|
|
Begin |
End | Number Profiles |
|---|---|---|
| 2015/06/30 18:05:16.2070 UTC | 2015/06/30 18:57:35.6174 UTC | 63300 |
|
|
|
|
|
Begin |
End | Number Profiles |
|---|---|---|
| 2015/06/30 18:57:35.6670 UTC | 2015/06/30 19:44:09.1703 UTC | 56325 |
|
|
|
|
|
Begin |
End | Number Profiles |
|---|---|---|
| 2015/06/30 19:44:09.2199 UTC | 2015/06/30 20:36:28.6334 UTC | 63300 |
|
|
|
|
|
Begin |
End | Number Profiles |
|---|---|---|
| 2015/06/30 20:36:28.6830 UTC | 2015/06/30 21:23:02.1883 UTC | 56325 |
|
|
|
|
|
Begin |
End | Number Profiles |
|---|---|---|
| 2015/06/30 21:23:02.2379 UTC | 2015/06/30 22:15:21.6524 UTC | 63300 |
|
|
|
|
|
Begin |
End | Number Profiles |
|---|---|---|
| 2015/06/30 22:15:21.7020 UTC | 2015/06/30 23:01:55.2084 UTC | 56325 |
|
|
|
|
|
Begin |
End | Number Profiles |
|---|---|---|
| 2015/06/30 23:01:55.2580 UTC | 2015/06/30 23:54:14.6754 UTC | 63300 |
|
|
|
|
|
Begin |
End | Number Profiles |
|---|---|---|
| 2015/06/30 23:54:14.7249 UTC | 2015/07/01 00:40:47.9823 UTC | 56175 |
|
|
|
|
|
























































































































