|
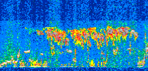
Displayed on this page are scaled, color-modulated, altitude-time images of CALIPSO attenuated backscatter (/km/sr) including:
- 532 nm total (parallel + perpendicular) attenuated backscatter
- 532 nm perpendicular attenuated backscatter
- 1064 nm total attenuated backscatter
The orbit track locations for the entire Level 1 .hdf file are in black and the orbit track locations corresponding to this page are color coded.
For the full scale images:
- the color bars for attenuated backscatter show the colors assigned to ranges of attenuated backscatter, /km/sr
- the horizontal axes are annotated with latitude (deg) and longitude (deg)
- the vertical axes are annotated to indicate altitude in kilometers
- the date and time of the measurements are listed as UTC time
- the names of the CALIPSO data products for the Lidar Level 1 attenuated backscatter granules are included
The scaled images on this page are organized by CALIPSO data product day and night orbit granules.
The maps with a shaded background indicate nightime measurements.
There are a maximum of 4 scaled images per granule.
The orbit tracks plotted on the maps show the measurement locations for each granule.
For each granule, the scaled images are ordered from left to right and their locations along the orbit tracks are color coded as: image one, image two, image three, image four.
Begin |
End | Number Profiles |
|---|---|---|
| 2015/07/17 00:39:48.7090 UTC | 2015/07/17 01:32:07.3863 UTC | 63285 |
|
|
|
|
|
Begin |
End | Number Profiles |
|---|---|---|
| 2015/07/17 01:32:07.4359 UTC | 2015/07/17 02:18:40.2053 UTC | 56310 |
|
|
|
|
|
Begin |
End | Number Profiles |
|---|---|---|
| 2015/07/17 02:18:40.2540 UTC | 2015/07/17 03:10:59.6764 UTC | 63300 |
|
|
|
|
|
Begin |
End | Number Profiles |
|---|---|---|
| 2015/07/17 03:10:59.7260 UTC | 2015/07/17 03:57:33.2384 UTC | 56325 |
|
|
|
|
|
Begin |
End | Number Profiles |
|---|---|---|
| 2015/07/17 03:57:33.2880 UTC | 2015/07/17 04:49:51.9664 UTC | 63285 |
|
|
|
|
|
Begin |
End | Number Profiles |
|---|---|---|
| 2015/07/17 04:49:52.0160 UTC | 2015/07/17 05:36:26.2714 UTC | 56340 |
|
|
|
|
|
Begin |
End | Number Profiles |
|---|---|---|
| 2015/07/17 05:36:26.3210 UTC | 2015/07/17 06:28:44.9974 UTC | 63285 |
|
|
|
|
|
Begin |
End | Number Profiles |
|---|---|---|
| 2015/07/17 06:28:45.0470 UTC | 2015/07/17 07:15:18.5594 UTC | 56325 |
|
|
|
|
|
Begin |
End | Number Profiles |
|---|---|---|
| 2015/07/17 07:15:18.6090 UTC | 2015/07/17 08:07:38.0284 UTC | 63300 |
|
|
|
|
|
Begin |
End | Number Profiles |
|---|---|---|
| 2015/07/17 08:07:38.0780 UTC | 2015/07/17 08:54:11.5894 UTC | 56325 |
|
|
|
|
|
Begin |
End | Number Profiles |
|---|---|---|
| 2015/07/17 08:54:11.6390 UTC | 2015/07/17 09:46:30.3143 UTC | 63285 |
|
|
|
|
|
Begin |
End | Number Profiles |
|---|---|---|
| 2015/07/17 09:46:30.3639 UTC | 2015/07/17 10:33:04.6204 UTC | 56340 |
|
|
|
|
|
Begin |
End | Number Profiles |
|---|---|---|
| 2015/07/17 10:33:04.6700 UTC | 2015/07/17 11:25:23.3453 UTC | 63285 |
|
|
|
|
|
Begin |
End | Number Profiles |
|---|---|---|
| 2015/07/17 11:25:23.3949 UTC | 2015/07/17 12:11:57.6514 UTC | 56340 |
|
|
|
|
|
Begin |
End | Number Profiles |
|---|---|---|
| 2015/07/17 12:11:57.7010 UTC | 2015/07/17 13:04:16.3794 UTC | 63285 |
|
|
|
|
|
Begin |
End | Number Profiles |
|---|---|---|
| 2015/07/17 13:04:16.4290 UTC | 2015/07/17 13:50:49.2004 UTC | 56310 |
|
|
|
|
|
Begin |
End | Number Profiles |
|---|---|---|
| 2015/07/17 13:50:49.2500 UTC | 2015/07/17 14:43:08.6724 UTC | 63300 |
|
|
|
|
|
Begin |
End | Number Profiles |
|---|---|---|
| 2015/07/17 14:43:08.7220 UTC | 2015/07/17 15:29:42.2364 UTC | 56325 |
|
|
|
|
|
Begin |
End | Number Profiles |
|---|---|---|
| 2015/07/17 15:29:42.2860 UTC | 2015/07/17 16:22:01.7063 UTC | 63300 |
|
|
|
|
|
Begin |
End | Number Profiles |
|---|---|---|
| 2015/07/17 16:22:01.7559 UTC | 2015/07/17 17:08:34.5224 UTC | 56310 |
|
|
|
|
|
Begin |
End | Number Profiles |
|---|---|---|
| 2015/07/17 17:08:34.5720 UTC | 2015/07/17 18:00:53.9913 UTC | 63300 |
|
|
|
|
|
Begin |
End | Number Profiles |
|---|---|---|
| 2015/07/17 18:00:54.0409 UTC | 2015/07/17 18:47:27.5503 UTC | 56325 |
|
|
|
|
|
Begin |
End | Number Profiles |
|---|---|---|
| 2015/07/17 18:47:27.5999 UTC | 2015/07/17 19:39:46.2733 UTC | 63285 |
|
|
|
|
|
Begin |
End | Number Profiles |
|---|---|---|
| 2015/07/17 19:39:46.3229 UTC | 2015/07/17 20:26:20.5764 UTC | 56340 |
|
|
|
|
|
Begin |
End | Number Profiles |
|---|---|---|
| 2015/07/17 20:26:20.6260 UTC | 2015/07/17 21:18:39.2984 UTC | 63285 |
|
|
|
|
|
Begin |
End | Number Profiles |
|---|---|---|
| 2015/07/17 21:18:39.3480 UTC | 2015/07/17 22:05:13.6004 UTC | 56340 |
|
|
|
|
|
Begin |
End | Number Profiles |
|---|---|---|
| 2015/07/17 22:05:13.6500 UTC | 2015/07/17 22:57:32.3224 UTC | 63285 |
|
|
|
|
|
Begin |
End | Number Profiles |
|---|---|---|
| 2015/07/17 22:57:32.3720 UTC | 2015/07/17 23:44:05.1383 UTC | 56310 |
|
|
|
|
|
Begin |
End | Number Profiles |
|---|---|---|
| 2015/07/17 23:44:05.1879 UTC | 2015/07/18 00:36:25.3493 UTC | 63315 |
|
|
|
|
|
























































































































