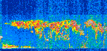
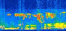
|
Displayed on this page are scaled, color-modulated, altitude-time images of CALIPSO attenuated backscatter (/km/sr) including:
- 532 nm total (parallel + perpendicular) attenuated backscatter
- 532 nm perpendicular attenuated backscatter
- 1064 nm total attenuated backscatter
The orbit track locations for the entire Level 1 .hdf file are in black and the orbit track locations corresponding to this page are color coded.
For the full scale images:
- the color bars for attenuated backscatter show the colors assigned to ranges of attenuated backscatter, /km/sr
- the horizontal axes are annotated with latitude (deg) and longitude (deg)
- the vertical axes are annotated to indicate altitude in kilometers
- the date and time of the measurements are listed as UTC time
- the names of the CALIPSO data products for the Lidar Level 1 attenuated backscatter granules are included
The scaled images on this page are organized by CALIPSO data product day and night orbit granules.
The maps with a shaded background indicate nightime measurements.
There are a maximum of 4 scaled images per granule.
The orbit tracks plotted on the maps show the measurement locations for each granule.
For each granule, the scaled images are ordered from left to right and their locations along the orbit tracks are color coded as: image one, image two, image three, image four.
Begin |
End | Number Profiles |
|---|---|---|
| 2015/07/19 00:27:16.1950 UTC | 2015/07/19 01:19:35.6153 UTC | 63300 |
|
|
|
|
|
Begin |
End | Number Profiles |
|---|---|---|
| 2015/07/19 01:19:35.6649 UTC | 2015/07/19 02:06:08.4353 UTC | 56310 |
|
|
|
|
|
Begin |
End | Number Profiles |
|---|---|---|
| 2015/07/19 02:06:08.4849 UTC | 2015/07/19 02:58:28.6493 UTC | 63315 |
|
|
|
|
|
Begin |
End | Number Profiles |
|---|---|---|
| 2015/07/19 02:58:28.6989 UTC | 2015/07/19 03:45:01.4683 UTC | 56310 |
|
|
|
|
|
Begin |
End | Number Profiles |
|---|---|---|
| 2015/07/19 03:45:01.5180 UTC | 2015/07/19 04:37:20.1934 UTC | 63285 |
|
|
|
|
|
Begin |
End | Number Profiles |
|---|---|---|
| 2015/07/19 04:37:20.2430 UTC | 2015/07/19 05:23:54.4993 UTC | 56340 |
|
|
|
|
|
Begin |
End | Number Profiles |
|---|---|---|
| 2015/07/19 05:23:54.5489 UTC | 2015/07/19 06:16:13.2223 UTC | 63285 |
|
|
|
|
|
Begin |
End | Number Profiles |
|---|---|---|
| 2015/07/19 06:16:13.2719 UTC | 2015/07/19 07:02:46.0394 UTC | 56310 |
|
|
|
|
|
Begin |
End | Number Profiles |
|---|---|---|
| 2015/07/19 07:02:46.0890 UTC | 2015/07/19 07:55:06.2514 UTC | 63315 |
|
|
|
|
|
Begin |
End | Number Profiles |
|---|---|---|
| 2015/07/19 07:55:06.3010 UTC | 2015/07/19 08:41:39.0693 UTC | 56310 |
|
|
|
|
|
Begin |
End | Number Profiles |
|---|---|---|
| 2015/07/19 08:41:39.1189 UTC | 2015/07/19 09:33:58.5384 UTC | 63300 |
|
|
|
|
|
Begin |
End | Number Profiles |
|---|---|---|
| 2015/07/19 09:33:58.5880 UTC | 2015/07/19 10:20:32.1004 UTC | 56325 |
|
|
|
|
|
Begin |
End | Number Profiles |
|---|---|---|
| 2015/07/19 10:20:32.1500 UTC | 2015/07/19 11:12:51.5694 UTC | 63300 |
|
|
|
|
|
Begin |
End | Number Profiles |
|---|---|---|
| 2015/07/19 11:12:51.6190 UTC | 2015/07/19 11:59:25.1344 UTC | 56325 |
|
|
|
|
|
Begin |
End | Number Profiles |
|---|---|---|
| 2015/07/19 11:59:25.1840 UTC | 2015/07/19 12:51:44.6064 UTC | 63300 |
|
|
|
|
|
Begin |
End | Number Profiles |
|---|---|---|
| 2015/07/19 12:51:44.6560 UTC | 2015/07/19 13:38:17.4273 UTC | 56310 |
|
|
|
|
|
Begin |
End | Number Profiles |
|---|---|---|
| 2015/07/19 13:38:17.4769 UTC | 2015/07/19 14:30:36.1563 UTC | 63285 |
|
|
|
|
|
Begin |
End | Number Profiles |
|---|---|---|
| 2015/07/19 14:30:36.2060 UTC | 2015/07/19 15:17:10.4664 UTC | 56340 |
|
|
|
|
|
Begin |
End | Number Profiles |
|---|---|---|
| 2015/07/19 15:17:10.5160 UTC | 2015/07/19 16:09:29.1944 UTC | 63285 |
|
|
|
|
|
Begin |
End | Number Profiles |
|---|---|---|
| 2015/07/19 16:09:29.2440 UTC | 2015/07/19 16:56:02.0133 UTC | 56310 |
|
|
|
|
|
Begin |
End | Number Profiles |
|---|---|---|
| 2015/07/19 16:56:02.0629 UTC | 2015/07/19 17:48:22.2273 UTC | 63315 |
|
|
|
|
|
Begin |
End | Number Profiles |
|---|---|---|
| 2015/07/19 17:48:22.2769 UTC | 2015/07/19 18:34:55.0454 UTC | 56310 |
|
|
|
|
|
Begin |
End | Number Profiles |
|---|---|---|
| 2015/07/19 18:34:55.0950 UTC | 2015/07/19 19:27:14.5153 UTC | 63300 |
|
|
|
|
|
Begin |
End | Number Profiles |
|---|---|---|
| 2015/07/19 19:27:14.5640 UTC | 2015/07/19 20:13:48.0743 UTC | 56325 |
|
|
|
|
|
Begin |
End | Number Profiles |
|---|---|---|
| 2015/07/19 20:13:48.1239 UTC | 2015/07/19 21:06:07.5414 UTC | 63300 |
|
|
|
|
|
Begin |
End | Number Profiles |
|---|---|---|
| 2015/07/19 21:06:07.5910 UTC | 2015/07/19 21:52:41.1004 UTC | 56325 |
|
|
|
|
|
Begin |
End | Number Profiles |
|---|---|---|
| 2015/07/19 21:52:41.1500 UTC | 2015/07/19 22:45:00.5684 UTC | 63300 |
|
|
|
|
|
Begin |
End | Number Profiles |
|---|---|---|
| 2015/07/19 22:45:00.6180 UTC | 2015/07/19 23:31:33.3863 UTC | 56310 |
|
|
|
|
|
Begin |
End | Number Profiles |
|---|---|---|
| 2015/07/19 23:31:33.4359 UTC | 2015/07/20 00:23:52.1123 UTC | 63285 |
|
|
|
|
|
























































































































