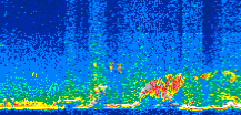
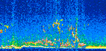
|
Displayed on this page are scaled, color-modulated, altitude-time images of CALIPSO attenuated backscatter (/km/sr) including:
- 532 nm total (parallel + perpendicular) attenuated backscatter
- 532 nm perpendicular attenuated backscatter
- 1064 nm total attenuated backscatter
The orbit track locations for the entire Level 1 .hdf file are in black and the orbit track locations corresponding to this page are color coded.
For the full scale images:
- the color bars for attenuated backscatter show the colors assigned to ranges of attenuated backscatter, /km/sr
- the horizontal axes are annotated with latitude (deg) and longitude (deg)
- the vertical axes are annotated to indicate altitude in kilometers
- the date and time of the measurements are listed as UTC time
- the names of the CALIPSO data products for the Lidar Level 1 attenuated backscatter granules are included
The scaled images on this page are organized by CALIPSO data product day and night orbit granules.
The maps with a shaded background indicate nightime measurements.
There are a maximum of 4 scaled images per granule.
The orbit tracks plotted on the maps show the measurement locations for each granule.
For each granule, the scaled images are ordered from left to right and their locations along the orbit tracks are color coded as: image one, image two, image three, image four.
Begin |
End | Number Profiles |
|---|---|---|
| 2016/04/09 00:17:17.5630 UTC | 2016/04/09 01:09:42.9904 UTC | 63420 |
|
|
|
|
|
Begin |
End | Number Profiles |
|---|---|---|
| 2016/04/09 01:09:43.0400 UTC | 2016/04/09 01:56:10.6514 UTC | 56205 |
|
|
|
|
|
Begin |
End | Number Profiles |
|---|---|---|
| 2016/04/09 01:56:10.7010 UTC | 2016/04/09 02:48:36.1264 UTC | 63420 |
|
|
|
|
|
Begin |
End | Number Profiles |
|---|---|---|
| 2016/04/09 02:48:36.1760 UTC | 2016/04/09 03:35:04.5323 UTC | 56220 |
|
|
|
|
|
Begin |
End | Number Profiles |
|---|---|---|
| 2016/04/09 03:35:04.5810 UTC | 2016/04/09 04:27:30.0084 UTC | 63420 |
|
|
|
|
|
Begin |
End | Number Profiles |
|---|---|---|
| 2016/04/09 04:27:30.0580 UTC | 2016/04/09 05:13:57.6694 UTC | 56205 |
|
|
|
|
|
Begin |
End | Number Profiles |
|---|---|---|
| 2016/04/09 05:13:57.7190 UTC | 2016/04/09 06:06:24.6344 UTC | 63450 |
|
|
|
|
|
Begin |
End | Number Profiles |
|---|---|---|
| 2016/04/09 06:06:24.6840 UTC | 2016/04/09 06:52:51.5524 UTC | 56190 |
|
|
|
|
|
Begin |
End | Number Profiles |
|---|---|---|
| 2016/04/09 06:52:51.6020 UTC | 2016/04/09 07:45:17.0284 UTC | 63420 |
|
|
|
|
|
Begin |
End | Number Profiles |
|---|---|---|
| 2016/04/09 07:45:17.0779 UTC | 2016/04/09 08:31:45.4344 UTC | 56220 |
|
|
|
|
|
Begin |
End | Number Profiles |
|---|---|---|
| 2016/04/09 08:31:45.4840 UTC | 2016/04/09 09:24:11.6544 UTC | 63435 |
|
|
|
|
|
Begin |
End | Number Profiles |
|---|---|---|
| 2016/04/09 09:24:11.7040 UTC | 2016/04/09 10:10:38.5703 UTC | 56190 |
|
|
|
|
|
Begin |
End | Number Profiles |
|---|---|---|
| 2016/04/09 10:10:38.6199 UTC | 2016/04/09 11:03:05.5324 UTC | 63450 |
|
|
|
|
|
Begin |
End | Number Profiles |
|---|---|---|
| 2016/04/09 11:03:05.5820 UTC | 2016/04/09 11:49:32.4484 UTC | 56190 |
|
|
|
|
|
Begin |
End | Number Profiles |
|---|---|---|
| 2016/04/09 11:49:32.4980 UTC | 2016/04/09 12:41:58.6684 UTC | 63435 |
|
|
|
|
|
Begin |
End | Number Profiles |
|---|---|---|
| 2016/04/09 12:41:58.7179 UTC | 2016/04/09 13:28:25.5853 UTC | 56190 |
|
|
|
|
|
Begin |
End | Number Profiles |
|---|---|---|
| 2016/04/09 13:28:25.6349 UTC | 2016/04/09 14:20:52.5504 UTC | 63450 |
|
|
|
|
|
Begin |
End | Number Profiles |
|---|---|---|
| 2016/04/09 14:20:52.6000 UTC | 2016/04/09 15:07:19.4683 UTC | 56190 |
|
|
|
|
|
Begin |
End | Number Profiles |
|---|---|---|
| 2016/04/09 15:07:19.5179 UTC | 2016/04/09 15:59:45.6894 UTC | 63435 |
|
|
|
|
|
Begin |
End | Number Profiles |
|---|---|---|
| 2016/04/09 15:59:45.7390 UTC | 2016/04/09 16:46:13.3504 UTC | 56205 |
|
|
|
|
|
Begin |
End | Number Profiles |
|---|---|---|
| 2016/04/09 16:46:13.4000 UTC | 2016/04/09 17:38:39.5704 UTC | 63435 |
|
|
|
|
|
Begin |
End | Number Profiles |
|---|---|---|
| 2016/04/09 17:38:39.6200 UTC | 2016/04/09 18:25:06.4864 UTC | 56190 |
|
|
|
|
|
Begin |
End | Number Profiles |
|---|---|---|
| 2016/04/09 18:25:06.5360 UTC | 2016/04/09 19:17:32.7054 UTC | 63435 |
|
|
|
|
|
Begin |
End | Number Profiles |
|---|---|---|
| 2016/04/09 19:17:32.7550 UTC | 2016/04/09 20:04:00.3664 UTC | 56205 |
|
|
|
|
|
Begin |
End | Number Profiles |
|---|---|---|
| 2016/04/09 20:04:00.4160 UTC | 2016/04/09 20:56:26.5854 UTC | 63435 |
|
|
|
|
|
Begin |
End | Number Profiles |
|---|---|---|
| 2016/04/09 20:56:26.6350 UTC | 2016/04/09 21:42:54.2453 UTC | 56205 |
|
|
|
|
|
Begin |
End | Number Profiles |
|---|---|---|
| 2016/04/09 21:42:54.2949 UTC | 2016/04/09 22:35:20.4644 UTC | 63435 |
|
|
|
|
|
Begin |
End | Number Profiles |
|---|---|---|
| 2016/04/09 22:35:20.5140 UTC | 2016/04/09 23:21:47.3803 UTC | 56190 |
|
|
|
|
|
Begin |
End | Number Profiles |
|---|---|---|
| 2016/04/09 23:21:47.4299 UTC | 2016/04/10 00:14:13.6003 UTC | 63435 |
|
|
|
|
|
























































































































