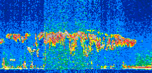
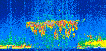
|
Displayed on this page are scaled, color-modulated, altitude-time images of CALIPSO attenuated backscatter (/km/sr) including:
- 532 nm total (parallel + perpendicular) attenuated backscatter
- 532 nm perpendicular attenuated backscatter
- 1064 nm total attenuated backscatter
The orbit track locations for the entire Level 1 .hdf file are in black and the orbit track locations corresponding to this page are color coded.
For the full scale images:
- the color bars for attenuated backscatter show the colors assigned to ranges of attenuated backscatter, /km/sr
- the horizontal axes are annotated with latitude (deg) and longitude (deg)
- the vertical axes are annotated to indicate altitude in kilometers
- the date and time of the measurements are listed as UTC time
- the names of the CALIPSO data products for the Lidar Level 1 attenuated backscatter granules are included
The scaled images on this page are organized by CALIPSO data product day and night orbit granules.
The maps with a shaded background indicate nightime measurements.
There are a maximum of 4 scaled images per granule.
The orbit tracks plotted on the maps show the measurement locations for each granule.
For each granule, the scaled images are ordered from left to right and their locations along the orbit tracks are color coded as: image one, image two, image three, image four.
Begin |
End | Number Profiles |
|---|---|---|
| 2016/05/12 00:17:30.6309 UTC | 2016/05/12 01:04:01.2013 UTC | 56265 |
|
|
|
|
|
Begin |
End | Number Profiles |
|---|---|---|
| 2016/05/12 01:04:01.2509 UTC | 2016/05/12 01:56:24.4263 UTC | 63375 |
|
|
|
|
|
Begin |
End | Number Profiles |
|---|---|---|
| 2016/05/12 01:56:24.4759 UTC | 2016/05/12 02:42:54.3004 UTC | 56250 |
|
|
|
|
|
Begin |
End | Number Profiles |
|---|---|---|
| 2016/05/12 02:42:54.3500 UTC | 2016/05/12 03:35:17.5254 UTC | 63375 |
|
|
|
|
|
Begin |
End | Number Profiles |
|---|---|---|
| 2016/05/12 03:35:17.5750 UTC | 2016/05/12 04:21:47.4004 UTC | 56250 |
|
|
|
|
|
Begin |
End | Number Profiles |
|---|---|---|
| 2016/05/12 04:21:47.4500 UTC | 2016/05/12 05:14:10.6254 UTC | 63375 |
|
|
|
|
|
Begin |
End | Number Profiles |
|---|---|---|
| 2016/05/12 05:14:10.6750 UTC | 2016/05/12 06:00:40.5014 UTC | 56250 |
|
|
|
|
|
Begin |
End | Number Profiles |
|---|---|---|
| 2016/05/12 06:00:40.5510 UTC | 2016/05/12 06:53:04.4704 UTC | 63390 |
|
|
|
|
|
Begin |
End | Number Profiles |
|---|---|---|
| 2016/05/12 06:53:04.5190 UTC | 2016/05/12 07:39:34.3454 UTC | 56250 |
|
|
|
|
|
Begin |
End | Number Profiles |
|---|---|---|
| 2016/05/12 07:39:34.3950 UTC | 2016/05/12 08:31:57.5704 UTC | 63375 |
|
|
|
|
|
Begin |
End | Number Profiles |
|---|---|---|
| 2016/05/12 08:31:57.6200 UTC | 2016/05/12 09:18:27.4464 UTC | 56250 |
|
|
|
|
|
Begin |
End | Number Profiles |
|---|---|---|
| 2016/05/12 09:18:27.4960 UTC | 2016/05/12 10:10:50.6713 UTC | 63375 |
|
|
|
|
|
Begin |
End | Number Profiles |
|---|---|---|
| 2016/05/12 10:10:50.7209 UTC | 2016/05/12 10:57:21.2913 UTC | 56265 |
|
|
|
|
|
Begin |
End | Number Profiles |
|---|---|---|
| 2016/05/12 10:57:21.3409 UTC | 2016/05/12 11:49:44.5174 UTC | 63375 |
|
|
|
|
|
Begin |
End | Number Profiles |
|---|---|---|
| 2016/05/12 11:49:44.5670 UTC | 2016/05/12 12:36:14.3943 UTC | 56250 |
|
|
|
|
|
Begin |
End | Number Profiles |
|---|---|---|
| 2016/05/12 12:36:14.4439 UTC | 2016/05/12 13:28:37.6214 UTC | 63375 |
|
|
|
|
|
Begin |
End | Number Profiles |
|---|---|---|
| 2016/05/12 13:28:37.6710 UTC | 2016/05/12 14:15:07.4973 UTC | 56250 |
|
|
|
|
|
Begin |
End | Number Profiles |
|---|---|---|
| 2016/05/12 14:15:07.5460 UTC | 2016/05/12 15:07:29.9774 UTC | 63360 |
|
|
|
|
|
Begin |
End | Number Profiles |
|---|---|---|
| 2016/05/12 15:07:30.0270 UTC | 2016/05/12 15:54:00.5954 UTC | 56265 |
|
|
|
|
|
Begin |
End | Number Profiles |
|---|---|---|
| 2016/05/12 15:54:00.6450 UTC | 2016/05/12 16:46:24.5624 UTC | 63390 |
|
|
|
|
|
Begin |
End | Number Profiles |
|---|---|---|
| 2016/05/12 16:46:24.6120 UTC | 2016/05/12 17:32:54.4374 UTC | 56250 |
|
|
|
|
|
Begin |
End | Number Profiles |
|---|---|---|
| 2016/05/12 17:32:54.4870 UTC | 2016/05/12 18:25:17.6624 UTC | 63375 |
|
|
|
|
|
Begin |
End | Number Profiles |
|---|---|---|
| 2016/05/12 18:25:17.7120 UTC | 2016/05/12 19:11:47.5383 UTC | 56250 |
|
|
|
|
|
Begin |
End | Number Profiles |
|---|---|---|
| 2016/05/12 19:11:47.5879 UTC | 2016/05/12 20:04:10.0194 UTC | 63360 |
|
|
|
|
|
Begin |
End | Number Profiles |
|---|---|---|
| 2016/05/12 20:04:10.0690 UTC | 2016/05/12 20:50:40.6374 UTC | 56265 |
|
|
|
|
|
Begin |
End | Number Profiles |
|---|---|---|
| 2016/05/12 20:50:40.6870 UTC | 2016/05/12 21:43:04.6044 UTC | 63390 |
|
|
|
|
|
Begin |
End | Number Profiles |
|---|---|---|
| 2016/05/12 21:43:04.6540 UTC | 2016/05/12 22:29:34.4773 UTC | 17310 |
|
|
|
|
|
Begin |
End | Number Profiles |
|---|---|---|
| 2016/05/12 22:29:34.5269 UTC | 2016/05/12 23:21:57.7014 UTC | 63375 |
|
|
|
|
|
Begin |
End | Number Profiles |
|---|---|---|
| 2016/05/12 23:21:57.7510 UTC | 2016/05/13 00:08:27.5743 UTC | 56250 |
|
|
|
|
|
























































































































