|
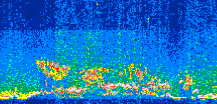
Displayed on this page are scaled, color-modulated, altitude-time images of CALIPSO attenuated backscatter (/km/sr) including:
- 532 nm total (parallel + perpendicular) attenuated backscatter
- 532 nm perpendicular attenuated backscatter
- 1064 nm total attenuated backscatter
The orbit track locations for the entire Level 1 .hdf file are in black and the orbit track locations corresponding to this page are color coded.
For the full scale images:
- the color bars for attenuated backscatter show the colors assigned to ranges of attenuated backscatter, /km/sr
- the horizontal axes are annotated with latitude (deg) and longitude (deg)
- the vertical axes are annotated to indicate altitude in kilometers
- the date and time of the measurements are listed as UTC time
- the names of the CALIPSO data products for the Lidar Level 1 attenuated backscatter granules are included
The scaled images on this page are organized by CALIPSO data product day and night orbit granules.
The maps with a shaded background indicate nightime measurements.
There are a maximum of 4 scaled images per granule.
The orbit tracks plotted on the maps show the measurement locations for each granule.
For each granule, the scaled images are ordered from left to right and their locations along the orbit tracks are color coded as: image one, image two, image three, image four.
Begin |
End | Number Profiles |
|---|---|---|
| 2016/06/13 00:18:27.0549 UTC | 2016/06/13 01:05:00.5744 UTC | 56325 |
|
|
|
|
|
Begin |
End | Number Profiles |
|---|---|---|
| 2016/06/13 01:05:00.6240 UTC | 2016/06/13 01:57:20.0534 UTC | 63300 |
|
|
|
|
|
Begin |
End | Number Profiles |
|---|---|---|
| 2016/06/13 01:57:20.1030 UTC | 2016/06/13 02:43:53.6224 UTC | 56325 |
|
|
|
|
|
Begin |
End | Number Profiles |
|---|---|---|
| 2016/06/13 02:43:53.6720 UTC | 2016/06/13 03:36:13.1004 UTC | 63300 |
|
|
|
|
|
Begin |
End | Number Profiles |
|---|---|---|
| 2016/06/13 03:36:13.1500 UTC | 2016/06/13 04:22:46.6704 UTC | 56325 |
|
|
|
|
|
Begin |
End | Number Profiles |
|---|---|---|
| 2016/06/13 04:22:46.7200 UTC | 2016/06/13 05:15:06.1503 UTC | 63300 |
|
|
|
|
|
Begin |
End | Number Profiles |
|---|---|---|
| 2016/06/13 05:15:06.1999 UTC | 2016/06/13 06:01:38.9763 UTC | 56310 |
|
|
|
|
|
Begin |
End | Number Profiles |
|---|---|---|
| 2016/06/13 06:01:39.0259 UTC | 2016/06/13 06:53:59.1993 UTC | 63315 |
|
|
|
|
|
Begin |
End | Number Profiles |
|---|---|---|
| 2016/06/13 06:53:59.2490 UTC | 2016/06/13 07:40:32.0244 UTC | 56310 |
|
|
|
|
|
Begin |
End | Number Profiles |
|---|---|---|
| 2016/06/13 07:40:32.0740 UTC | 2016/06/13 08:32:52.2463 UTC | 63315 |
|
|
|
|
|
Begin |
End | Number Profiles |
|---|---|---|
| 2016/06/13 08:32:52.2959 UTC | 2016/06/13 09:19:25.0724 UTC | 56310 |
|
|
|
|
|
Begin |
End | Number Profiles |
|---|---|---|
| 2016/06/13 09:19:25.1220 UTC | 2016/06/13 10:11:45.2944 UTC | 63315 |
|
|
|
|
|
Begin |
End | Number Profiles |
|---|---|---|
| 2016/06/13 10:11:45.3440 UTC | 2016/06/13 10:58:18.1213 UTC | 56310 |
|
|
|
|
|
Begin |
End | Number Profiles |
|---|---|---|
| 2016/06/13 10:58:18.1709 UTC | 2016/06/13 11:50:38.3443 UTC | 63315 |
|
|
|
|
|
Begin |
End | Number Profiles |
|---|---|---|
| 2016/06/13 11:50:38.3940 UTC | 2016/06/13 12:37:11.1714 UTC | 56310 |
|
|
|
|
|
Begin |
End | Number Profiles |
|---|---|---|
| 2016/06/13 12:37:11.2210 UTC | 2016/06/13 13:29:31.3973 UTC | 63315 |
|
|
|
|
|
Begin |
End | Number Profiles |
|---|---|---|
| 2016/06/13 13:29:31.4469 UTC | 2016/06/13 14:16:04.2254 UTC | 56310 |
|
|
|
|
|
Begin |
End | Number Profiles |
|---|---|---|
| 2016/06/13 14:16:04.2750 UTC | 2016/06/13 15:08:24.4514 UTC | 63315 |
|
|
|
|
|
Begin |
End | Number Profiles |
|---|---|---|
| 2016/06/13 15:08:24.5010 UTC | 2016/06/13 15:54:57.2783 UTC | 56310 |
|
|
|
|
|
Begin |
End | Number Profiles |
|---|---|---|
| 2016/06/13 15:54:57.3279 UTC | 2016/06/13 16:47:17.5014 UTC | 63315 |
|
|
|
|
|
Begin |
End | Number Profiles |
|---|---|---|
| 2016/06/13 16:47:17.5510 UTC | 2016/06/13 17:33:50.3264 UTC | 56310 |
|
|
|
|
|
Begin |
End | Number Profiles |
|---|---|---|
| 2016/06/13 17:33:50.3760 UTC | 2016/06/13 18:26:10.5474 UTC | 63315 |
|
|
|
|
|
Begin |
End | Number Profiles |
|---|---|---|
| 2016/06/13 18:26:10.5970 UTC | 2016/06/13 19:12:43.3704 UTC | 56310 |
|
|
|
|
|
Begin |
End | Number Profiles |
|---|---|---|
| 2016/06/13 19:12:43.4200 UTC | 2016/06/13 20:05:03.5904 UTC | 63315 |
|
|
|
|
|
Begin |
End | Number Profiles |
|---|---|---|
| 2016/06/13 20:05:03.6400 UTC | 2016/06/13 20:51:36.4124 UTC | 56310 |
|
|
|
|
|
Begin |
End | Number Profiles |
|---|---|---|
| 2016/06/13 20:51:36.4620 UTC | 2016/06/13 21:43:56.6324 UTC | 63315 |
|
|
|
|
|
Begin |
End | Number Profiles |
|---|---|---|
| 2016/06/13 21:43:56.6820 UTC | 2016/06/13 22:30:29.4564 UTC | 56310 |
|
|
|
|
|
Begin |
End | Number Profiles |
|---|---|---|
| 2016/06/13 22:30:29.5060 UTC | 2016/06/13 23:22:49.6774 UTC | 63315 |
|
|
|
|
|
Begin |
End | Number Profiles |
|---|---|---|
| 2016/06/13 23:22:49.7270 UTC | 2016/06/14 00:09:22.5024 UTC | 56310 |
|
|
|
|
|
























































































































