|
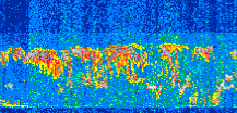
Displayed on this page are scaled, color-modulated, altitude-time images of CALIPSO attenuated backscatter (/km/sr) including:
- 532 nm total (parallel + perpendicular) attenuated backscatter
- 532 nm perpendicular attenuated backscatter
- 1064 nm total attenuated backscatter
The orbit track locations for the entire Level 1 .hdf file are in black and the orbit track locations corresponding to this page are color coded.
For the full scale images:
- the color bars for attenuated backscatter show the colors assigned to ranges of attenuated backscatter, /km/sr
- the horizontal axes are annotated with latitude (deg) and longitude (deg)
- the vertical axes are annotated to indicate altitude in kilometers
- the date and time of the measurements are listed as UTC time
- the names of the CALIPSO data products for the Lidar Level 1 attenuated backscatter granules are included
The scaled images on this page are organized by CALIPSO data product day and night orbit granules.
The maps with a shaded background indicate nightime measurements.
There are a maximum of 4 scaled images per granule.
The orbit tracks plotted on the maps show the measurement locations for each granule.
For each granule, the scaled images are ordered from left to right and their locations along the orbit tracks are color coded as: image one, image two, image three, image four.
Begin |
End | Number Profiles |
|---|---|---|
| 2016/06/17 00:40:13.6629 UTC | 2016/06/17 01:32:33.0914 UTC | 63300 |
|
|
|
|
|
Begin |
End | Number Profiles |
|---|---|---|
| 2016/06/17 01:32:33.1409 UTC | 2016/06/17 02:19:06.6593 UTC | 56325 |
|
|
|
|
|
Begin |
End | Number Profiles |
|---|---|---|
| 2016/06/17 02:19:06.7089 UTC | 2016/06/17 03:11:26.1364 UTC | 63300 |
|
|
|
|
|
Begin |
End | Number Profiles |
|---|---|---|
| 2016/06/17 03:11:26.1860 UTC | 2016/06/17 03:57:59.7044 UTC | 56325 |
|
|
|
|
|
Begin |
End | Number Profiles |
|---|---|---|
| 2016/06/17 03:57:59.7530 UTC | 2016/06/17 04:50:19.1814 UTC | 63300 |
|
|
|
|
|
Begin |
End | Number Profiles |
|---|---|---|
| 2016/06/17 04:50:19.2310 UTC | 2016/06/17 05:36:52.0054 UTC | 56310 |
|
|
|
|
|
Begin |
End | Number Profiles |
|---|---|---|
| 2016/06/17 05:36:52.0550 UTC | 2016/06/17 06:29:12.2263 UTC | 63315 |
|
|
|
|
|
Begin |
End | Number Profiles |
|---|---|---|
| 2016/06/17 06:29:12.2759 UTC | 2016/06/17 07:15:45.0484 UTC | 56310 |
|
|
|
|
|
Begin |
End | Number Profiles |
|---|---|---|
| 2016/06/17 07:15:45.0980 UTC | 2016/06/17 08:08:05.2684 UTC | 63315 |
|
|
|
|
|
Begin |
End | Number Profiles |
|---|---|---|
| 2016/06/17 08:08:05.3180 UTC | 2016/06/17 08:54:38.0934 UTC | 56310 |
|
|
|
|
|
Begin |
End | Number Profiles |
|---|---|---|
| 2016/06/17 08:54:38.1430 UTC | 2016/06/17 09:46:58.3144 UTC | 63315 |
|
|
|
|
|
Begin |
End | Number Profiles |
|---|---|---|
| 2016/06/17 09:46:58.3640 UTC | 2016/06/17 10:33:31.1394 UTC | 56310 |
|
|
|
|
|
Begin |
End | Number Profiles |
|---|---|---|
| 2016/06/17 10:33:31.1890 UTC | 2016/06/17 11:25:51.3623 UTC | 63315 |
|
|
|
|
|
Begin |
End | Number Profiles |
|---|---|---|
| 2016/06/17 11:25:51.4119 UTC | 2016/06/17 12:12:24.1884 UTC | 56310 |
|
|
|
|
|
Begin |
End | Number Profiles |
|---|---|---|
| 2016/06/17 12:12:24.2380 UTC | 2016/06/17 13:04:44.4113 UTC | 63315 |
|
|
|
|
|
Begin |
End | Number Profiles |
|---|---|---|
| 2016/06/17 13:04:44.4609 UTC | 2016/06/17 13:51:17.2373 UTC | 56310 |
|
|
|
|
|
Begin |
End | Number Profiles |
|---|---|---|
| 2016/06/17 13:51:17.2869 UTC | 2016/06/17 14:43:37.4603 UTC | 63315 |
|
|
|
|
|
Begin |
End | Number Profiles |
|---|---|---|
| 2016/06/17 14:43:37.5100 UTC | 2016/06/17 15:30:10.2854 UTC | 56310 |
|
|
|
|
|
Begin |
End | Number Profiles |
|---|---|---|
| 2016/06/17 15:30:10.3350 UTC | 2016/06/17 16:22:30.5064 UTC | 63315 |
|
|
|
|
|
Begin |
End | Number Profiles |
|---|---|---|
| 2016/06/17 16:22:30.5560 UTC | 2016/06/17 17:09:03.3304 UTC | 56310 |
|
|
|
|
|
Begin |
End | Number Profiles |
|---|---|---|
| 2016/06/17 17:09:03.3800 UTC | 2016/06/17 18:01:22.0623 UTC | 63285 |
|
|
|
|
|
Begin |
End | Number Profiles |
|---|---|---|
| 2016/06/17 18:01:22.1119 UTC | 2016/06/17 18:47:56.3734 UTC | 56340 |
|
|
|
|
|
Begin |
End | Number Profiles |
|---|---|---|
| 2016/06/17 18:47:56.4230 UTC | 2016/06/17 19:40:15.1053 UTC | 63285 |
|
|
|
|
|
Begin |
End | Number Profiles |
|---|---|---|
| 2016/06/17 19:40:15.1549 UTC | 2016/06/17 20:26:49.4154 UTC | 56340 |
|
|
|
|
|
Begin |
End | Number Profiles |
|---|---|---|
| 2016/06/17 20:26:49.4650 UTC | 2016/06/17 21:19:08.1453 UTC | 63285 |
|
|
|
|
|
Begin |
End | Number Profiles |
|---|---|---|
| 2016/06/17 21:19:08.1949 UTC | 2016/06/17 22:05:42.4544 UTC | 56340 |
|
|
|
|
|
Begin |
End | Number Profiles |
|---|---|---|
| 2016/06/17 22:05:42.5040 UTC | 2016/06/17 22:58:01.1844 UTC | 63285 |
|
|
|
|
|
Begin |
End | Number Profiles |
|---|---|---|
| 2016/06/17 22:58:01.2340 UTC | 2016/06/17 23:44:35.4953 UTC | 56340 |
|
|
|
|
|
Begin |
End | Number Profiles |
|---|---|---|
| 2016/06/17 23:44:35.5450 UTC | 2016/06/18 00:36:54.2274 UTC | 63285 |
|
|
|
|
|
























































































































