|
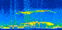
Displayed on this page are scaled, color-modulated, altitude-time images of CALIPSO attenuated backscatter (/km/sr) including:
- 532 nm total (parallel + perpendicular) attenuated backscatter
- 532 nm perpendicular attenuated backscatter
- 1064 nm total attenuated backscatter
The orbit track locations for the entire Level 1 .hdf file are in black and the orbit track locations corresponding to this page are color coded.
For the full scale images:
- the color bars for attenuated backscatter show the colors assigned to ranges of attenuated backscatter, /km/sr
- the horizontal axes are annotated with latitude (deg) and longitude (deg)
- the vertical axes are annotated to indicate altitude in kilometers
- the date and time of the measurements are listed as UTC time
- the names of the CALIPSO data products for the Lidar Level 1 attenuated backscatter granules are included
The scaled images on this page are organized by CALIPSO data product day and night orbit granules.
The maps with a shaded background indicate nightime measurements.
There are a maximum of 4 scaled images per granule.
The orbit tracks plotted on the maps show the measurement locations for each granule.
For each granule, the scaled images are ordered from left to right and their locations along the orbit tracks are color coded as: image one, image two, image three, image four.
Begin |
End | Number Profiles |
|---|---|---|
| 2016/07/03 00:39:38.3149 UTC | 2016/07/03 01:31:56.9943 UTC | 63285 |
|
|
|
|
|
Begin |
End | Number Profiles |
|---|---|---|
| 2016/07/03 01:31:57.0439 UTC | 2016/07/03 02:18:31.3023 UTC | 56340 |
|
|
|
|
|
Begin |
End | Number Profiles |
|---|---|---|
| 2016/07/03 02:18:31.3519 UTC | 2016/07/03 03:10:50.0313 UTC | 63285 |
|
|
|
|
|
Begin |
End | Number Profiles |
|---|---|---|
| 2016/07/03 03:10:50.0809 UTC | 2016/07/03 03:57:24.3394 UTC | 56340 |
|
|
|
|
|
Begin |
End | Number Profiles |
|---|---|---|
| 2016/07/03 03:57:24.3890 UTC | 2016/07/03 04:49:43.0674 UTC | 63285 |
|
|
|
|
|
Begin |
End | Number Profiles |
|---|---|---|
| 2016/07/03 04:49:43.1170 UTC | 2016/07/03 05:36:17.3744 UTC | 56340 |
|
|
|
|
|
Begin |
End | Number Profiles |
|---|---|---|
| 2016/07/03 05:36:17.4240 UTC | 2016/07/03 06:28:35.3563 UTC | 63270 |
|
|
|
|
|
Begin |
End | Number Profiles |
|---|---|---|
| 2016/07/03 06:28:35.4059 UTC | 2016/07/03 07:15:09.6624 UTC | 56340 |
|
|
|
|
|
Begin |
End | Number Profiles |
|---|---|---|
| 2016/07/03 07:15:09.7120 UTC | 2016/07/03 08:07:28.3874 UTC | 63285 |
|
|
|
|
|
Begin |
End | Number Profiles |
|---|---|---|
| 2016/07/03 08:07:28.4370 UTC | 2016/07/03 08:54:02.6934 UTC | 56340 |
|
|
|
|
|
Begin |
End | Number Profiles |
|---|---|---|
| 2016/07/03 08:54:02.7430 UTC | 2016/07/03 09:46:21.4194 UTC | 63285 |
|
|
|
|
|
Begin |
End | Number Profiles |
|---|---|---|
| 2016/07/03 09:46:21.4690 UTC | 2016/07/03 10:32:54.9823 UTC | 56325 |
|
|
|
|
|
Begin |
End | Number Profiles |
|---|---|---|
| 2016/07/03 10:32:55.0319 UTC | 2016/07/03 11:25:14.4554 UTC | 63300 |
|
|
|
|
|
Begin |
End | Number Profiles |
|---|---|---|
| 2016/07/03 11:25:14.5050 UTC | 2016/07/03 12:11:48.0214 UTC | 56325 |
|
|
|
|
|
Begin |
End | Number Profiles |
|---|---|---|
| 2016/07/03 12:11:48.0710 UTC | 2016/07/03 13:04:07.4964 UTC | 63300 |
|
|
|
|
|
Begin |
End | Number Profiles |
|---|---|---|
| 2016/07/03 13:04:07.5460 UTC | 2016/07/03 13:50:41.0634 UTC | 56325 |
|
|
|
|
|
Begin |
End | Number Profiles |
|---|---|---|
| 2016/07/03 13:50:41.1130 UTC | 2016/07/03 14:43:00.5373 UTC | 63300 |
|
|
|
|
|
Begin |
End | Number Profiles |
|---|---|---|
| 2016/07/03 14:43:00.5869 UTC | 2016/07/03 15:29:34.1023 UTC | 56325 |
|
|
|
|
|
Begin |
End | Number Profiles |
|---|---|---|
| 2016/07/03 15:29:34.1519 UTC | 2016/07/03 16:21:52.0864 UTC | 63270 |
|
|
|
|
|
Begin |
End | Number Profiles |
|---|---|---|
| 2016/07/03 16:21:52.1360 UTC | 2016/07/03 17:08:26.3924 UTC | 56340 |
|
|
|
|
|
Begin |
End | Number Profiles |
|---|---|---|
| 2016/07/03 17:08:26.4420 UTC | 2016/07/03 18:00:45.1174 UTC | 63285 |
|
|
|
|
|
Begin |
End | Number Profiles |
|---|---|---|
| 2016/07/03 18:00:45.1670 UTC | 2016/07/03 18:47:19.4224 UTC | 56340 |
|
|
|
|
|
Begin |
End | Number Profiles |
|---|---|---|
| 2016/07/03 18:47:19.4720 UTC | 2016/07/03 19:39:38.1474 UTC | 63285 |
|
|
|
|
|
Begin |
End | Number Profiles |
|---|---|---|
| 2016/07/03 19:39:38.1970 UTC | 2016/07/03 20:26:12.4524 UTC | 56340 |
|
|
|
|
|
Begin |
End | Number Profiles |
|---|---|---|
| 2016/07/03 20:26:12.5020 UTC | 2016/07/03 21:18:31.1784 UTC | 63285 |
|
|
|
|
|
Begin |
End | Number Profiles |
|---|---|---|
| 2016/07/03 21:18:31.2280 UTC | 2016/07/03 22:05:05.4824 UTC | 56340 |
|
|
|
|
|
Begin |
End | Number Profiles |
|---|---|---|
| 2016/07/03 22:05:05.5320 UTC | 2016/07/03 22:57:24.2084 UTC | 63285 |
|
|
|
|
|
Begin |
End | Number Profiles |
|---|---|---|
| 2016/07/03 22:57:24.2580 UTC | 2016/07/03 23:43:58.5153 UTC | 56340 |
|
|
|
|
|
Begin |
End | Number Profiles |
|---|---|---|
| 2016/07/03 23:43:58.5649 UTC | 2016/07/04 00:36:17.2443 UTC | 63285 |
|
|
|
|
|
























































































































