|
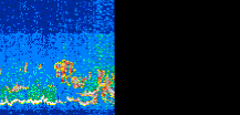
Displayed on this page are scaled, color-modulated, altitude-time images of CALIPSO attenuated backscatter (/km/sr) including:
- 532 nm total (parallel + perpendicular) attenuated backscatter
- 532 nm perpendicular attenuated backscatter
- 1064 nm total attenuated backscatter
The orbit track locations for the entire Level 1 .hdf file are in black and the orbit track locations corresponding to this page are color coded.
For the full scale images:
- the color bars for attenuated backscatter show the colors assigned to ranges of attenuated backscatter, /km/sr
- the horizontal axes are annotated with latitude (deg) and longitude (deg)
- the vertical axes are annotated to indicate altitude in kilometers
- the date and time of the measurements are listed as UTC time
- the names of the CALIPSO data products for the Lidar Level 1 attenuated backscatter granules are included
The scaled images on this page are organized by CALIPSO data product day and night orbit granules.
The maps with a shaded background indicate nightime measurements.
There are a maximum of 4 scaled images per granule.
The orbit tracks plotted on the maps show the measurement locations for each granule.
For each granule, the scaled images are ordered from left to right and their locations along the orbit tracks are color coded as: image one, image two, image three, image four.
Begin |
End | Number Profiles |
|---|---|---|
| 2016/07/05 00:27:10.3560 UTC | 2016/07/05 01:19:29.0354 UTC | 63285 |
|
|
|
|
|
Begin |
End | Number Profiles |
|---|---|---|
| 2016/07/05 01:19:29.0850 UTC | 2016/07/05 02:06:03.3424 UTC | 56340 |
|
|
|
|
|
Begin |
End | Number Profiles |
|---|---|---|
| 2016/07/05 02:06:03.3920 UTC | 2016/07/05 02:58:21.3264 UTC | 63270 |
|
|
|
|
|
Begin |
End | Number Profiles |
|---|---|---|
| 2016/07/05 02:58:21.3760 UTC | 2016/07/05 03:44:55.6334 UTC | 56340 |
|
|
|
|
|
Begin |
End | Number Profiles |
|---|---|---|
| 2016/07/05 03:44:55.6830 UTC | 2016/07/05 04:37:14.3613 UTC | 63285 |
|
|
|
|
|
Begin |
End | Number Profiles |
|---|---|---|
| 2016/07/05 04:37:14.4110 UTC | 2016/07/05 05:23:48.6663 UTC | 56340 |
|
|
|
|
|
Begin |
End | Number Profiles |
|---|---|---|
| 2016/07/05 05:23:48.7159 UTC | 2016/07/05 06:16:07.3944 UTC | 63285 |
|
|
|
|
|
Begin |
End | Number Profiles |
|---|---|---|
| 2016/07/05 06:16:07.4440 UTC | 2016/07/05 07:02:41.6994 UTC | 56340 |
|
|
|
|
|
Begin |
End | Number Profiles |
|---|---|---|
| 2016/07/05 07:02:41.7490 UTC | 2016/07/05 07:55:00.4263 UTC | 63285 |
|
|
|
|
|
Begin |
End | Number Profiles |
|---|---|---|
| 2016/07/05 07:55:00.4759 UTC | 2016/07/05 08:41:33.9883 UTC | 56325 |
|
|
|
|
|
Begin |
End | Number Profiles |
|---|---|---|
| 2016/07/05 08:41:34.0370 UTC | 2016/07/05 09:33:53.4593 UTC | 63300 |
|
|
|
|
|
Begin |
End | Number Profiles |
|---|---|---|
| 2016/07/05 09:33:53.5089 UTC | 2016/07/05 10:20:27.0234 UTC | 56325 |
|
|
|
|
|
Begin |
End | Number Profiles |
|---|---|---|
| 2016/07/05 10:20:27.0720 UTC | 2016/07/05 11:12:46.4954 UTC | 63300 |
|
|
|
|
|
Begin |
End | Number Profiles |
|---|---|---|
| 2016/07/05 11:12:46.5450 UTC | 2016/07/05 11:59:20.0594 UTC | 56325 |
|
|
|
|
|
Begin |
End | Number Profiles |
|---|---|---|
| 2016/07/05 11:59:20.1090 UTC | 2016/07/05 12:51:38.0444 UTC | 63270 |
|
|
|
|
|
Begin |
End | Number Profiles |
|---|---|---|
| 2016/07/05 12:51:38.0940 UTC | 2016/07/05 13:38:12.3534 UTC | 56340 |
|
|
|
|
|
Begin |
End | Number Profiles |
|---|---|---|
| 2016/07/05 13:38:12.4030 UTC | 2016/07/05 14:30:31.0834 UTC | 63285 |
|
|
|
|
|
Begin |
End | Number Profiles |
|---|---|---|
| 2016/07/05 14:30:31.1330 UTC | 2016/07/05 15:17:05.3914 UTC | 56340 |
|
|
|
|
|
Begin |
End | Number Profiles |
|---|---|---|
| 2016/07/05 15:17:05.4410 UTC | 2016/07/05 16:09:24.1194 UTC | 63285 |
|
|
|
|
|
Begin |
End | Number Profiles |
|---|---|---|
| 2016/07/05 16:09:24.1690 UTC | 2016/07/05 16:55:58.4254 UTC | 56340 |
|
|
|
|
|
Begin |
End | Number Profiles |
|---|---|---|
| 2016/07/05 16:55:58.4750 UTC | 2016/07/05 17:48:17.1514 UTC | 63285 |
|
|
|
|
|
Begin |
End | Number Profiles |
|---|---|---|
| 2016/07/05 17:48:17.2010 UTC | 2016/07/05 18:34:51.4564 UTC | 56340 |
|
|
|
|
|
Begin |
End | Number Profiles |
|---|---|---|
| 2016/07/05 18:34:51.5060 UTC | 2016/07/05 19:27:09.4373 UTC | 63270 |
|
|
|
|
|
Begin |
End | Number Profiles |
|---|---|---|
| 2016/07/05 19:27:09.4869 UTC | 2016/07/05 20:13:44.4854 UTC | 56355 |
|
|
|
|
|
Begin |
End | Number Profiles |
|---|---|---|
| 2016/07/05 20:13:44.5350 UTC | 2016/07/05 20:47:09.4224 UTC | 40425 |
|
|
|
|
|
Begin |
End | Number Profiles |
|---|---|---|
| 2016/07/05 23:31:29.1090 UTC | 2016/07/06 00:23:48.5314 UTC | 62895 |
|
|
|
|
|












































































































