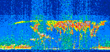
|
Displayed on this page are scaled, color-modulated, altitude-time images of CALIPSO attenuated backscatter (/km/sr) including:
- 532 nm total (parallel + perpendicular) attenuated backscatter
- 532 nm perpendicular attenuated backscatter
- 1064 nm total attenuated backscatter
The orbit track locations for the entire Level 1 .hdf file are in black and the orbit track locations corresponding to this page are color coded.
For the full scale images:
- the color bars for attenuated backscatter show the colors assigned to ranges of attenuated backscatter, /km/sr
- the horizontal axes are annotated with latitude (deg) and longitude (deg)
- the vertical axes are annotated to indicate altitude in kilometers
- the date and time of the measurements are listed as UTC time
- the names of the CALIPSO data products for the Lidar Level 1 attenuated backscatter granules are included
The scaled images on this page are organized by CALIPSO data product day and night orbit granules.
The maps with a shaded background indicate nightime measurements.
There are a maximum of 4 scaled images per granule.
The orbit tracks plotted on the maps show the measurement locations for each granule.
For each granule, the scaled images are ordered from left to right and their locations along the orbit tracks are color coded as: image one, image two, image three, image four.
Begin |
End | Number Profiles |
|---|---|---|
| 2016/08/06 00:25:40.4509 UTC | 2016/08/06 01:18:01.3754 UTC | 63330 |
|
|
|
|
|
Begin |
End | Number Profiles |
|---|---|---|
| 2016/08/06 01:18:01.4250 UTC | 2016/08/06 02:04:33.4633 UTC | 56295 |
|
|
|
|
|
Begin |
End | Number Profiles |
|---|---|---|
| 2016/08/06 02:04:33.5129 UTC | 2016/08/06 02:56:54.4374 UTC | 63330 |
|
|
|
|
|
Begin |
End | Number Profiles |
|---|---|---|
| 2016/08/06 02:56:54.4870 UTC | 2016/08/06 03:43:26.5253 UTC | 56295 |
|
|
|
|
|
Begin |
End | Number Profiles |
|---|---|---|
| 2016/08/06 03:43:26.5749 UTC | 2016/08/06 04:35:46.0114 UTC | 63300 |
|
|
|
|
|
Begin |
End | Number Profiles |
|---|---|---|
| 2016/08/06 04:35:46.0610 UTC | 2016/08/06 05:22:18.1004 UTC | 56295 |
|
|
|
|
|
Begin |
End | Number Profiles |
|---|---|---|
| 2016/08/06 05:22:18.1500 UTC | 2016/08/06 06:14:39.0744 UTC | 63330 |
|
|
|
|
|
Begin |
End | Number Profiles |
|---|---|---|
| 2016/08/06 06:14:39.1240 UTC | 2016/08/06 07:01:11.1624 UTC | 56295 |
|
|
|
|
|
Begin |
End | Number Profiles |
|---|---|---|
| 2016/08/06 07:01:11.2120 UTC | 2016/08/06 07:53:32.1364 UTC | 63330 |
|
|
|
|
|
Begin |
End | Number Profiles |
|---|---|---|
| 2016/08/06 07:53:32.1860 UTC | 2016/08/06 08:40:04.2244 UTC | 56295 |
|
|
|
|
|
Begin |
End | Number Profiles |
|---|---|---|
| 2016/08/06 08:40:04.2740 UTC | 2016/08/06 09:32:25.1993 UTC | 63330 |
|
|
|
|
|
Begin |
End | Number Profiles |
|---|---|---|
| 2016/08/06 09:32:25.2489 UTC | 2016/08/06 10:18:57.2883 UTC | 56295 |
|
|
|
|
|
Begin |
End | Number Profiles |
|---|---|---|
| 2016/08/06 10:18:57.3379 UTC | 2016/08/06 11:11:18.2634 UTC | 63330 |
|
|
|
|
|
Begin |
End | Number Profiles |
|---|---|---|
| 2016/08/06 11:11:18.3130 UTC | 2016/08/06 11:57:50.3533 UTC | 56295 |
|
|
|
|
|
Begin |
End | Number Profiles |
|---|---|---|
| 2016/08/06 11:57:50.4029 UTC | 2016/08/06 12:50:10.5863 UTC | 63315 |
|
|
|
|
|
Begin |
End | Number Profiles |
|---|---|---|
| 2016/08/06 12:50:10.6360 UTC | 2016/08/06 13:36:42.6784 UTC | 56295 |
|
|
|
|
|
Begin |
End | Number Profiles |
|---|---|---|
| 2016/08/06 13:36:42.7280 UTC | 2016/08/06 14:29:03.6544 UTC | 63330 |
|
|
|
|
|
Begin |
End | Number Profiles |
|---|---|---|
| 2016/08/06 14:29:03.7040 UTC | 2016/08/06 15:15:35.0014 UTC | 56280 |
|
|
|
|
|
Begin |
End | Number Profiles |
|---|---|---|
| 2016/08/06 15:15:35.0510 UTC | 2016/08/06 16:07:55.9754 UTC | 63330 |
|
|
|
|
|
Begin |
End | Number Profiles |
|---|---|---|
| 2016/08/06 16:07:56.0250 UTC | 2016/08/06 16:54:28.0624 UTC | 56295 |
|
|
|
|
|
Begin |
End | Number Profiles |
|---|---|---|
| 2016/08/06 16:54:28.1120 UTC | 2016/08/06 17:46:49.0333 UTC | 63330 |
|
|
|
|
|
Begin |
End | Number Profiles |
|---|---|---|
| 2016/08/06 17:46:49.0829 UTC | 2016/08/06 18:33:20.3754 UTC | 56280 |
|
|
|
|
|
Begin |
End | Number Profiles |
|---|---|---|
| 2016/08/06 18:33:20.4250 UTC | 2016/08/06 19:25:41.3474 UTC | 63330 |
|
|
|
|
|
Begin |
End | Number Profiles |
|---|---|---|
| 2016/08/06 19:25:41.3970 UTC | 2016/08/06 20:12:13.4333 UTC | 56295 |
|
|
|
|
|
Begin |
End | Number Profiles |
|---|---|---|
| 2016/08/06 20:12:13.4829 UTC | 2016/08/06 21:04:34.4053 UTC | 63330 |
|
|
|
|
|
Begin |
End | Number Profiles |
|---|---|---|
| 2016/08/06 21:04:34.4549 UTC | 2016/08/06 21:51:06.4924 UTC | 56295 |
|
|
|
|
|
Begin |
End | Number Profiles |
|---|---|---|
| 2016/08/06 21:51:06.5419 UTC | 2016/08/06 22:43:27.4634 UTC | 63330 |
|
|
|
|
|
Begin |
End | Number Profiles |
|---|---|---|
| 2016/08/06 22:43:27.5130 UTC | 2016/08/06 23:29:59.5514 UTC | 56295 |
|
|
|
|
|
Begin |
End | Number Profiles |
|---|---|---|
| 2016/08/06 23:29:59.6010 UTC | 2016/08/07 00:22:20.5254 UTC | 63330 |
|
|
|
|
|
























































































































