|
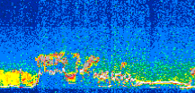
Displayed on this page are scaled, color-modulated, altitude-time images of CALIPSO attenuated backscatter (/km/sr) including:
- 532 nm total (parallel + perpendicular) attenuated backscatter
- 532 nm perpendicular attenuated backscatter
- 1064 nm total attenuated backscatter
The orbit track locations for the entire Level 1 .hdf file are in black and the orbit track locations corresponding to this page are color coded.
For the full scale images:
- the color bars for attenuated backscatter show the colors assigned to ranges of attenuated backscatter, /km/sr
- the horizontal axes are annotated with latitude (deg) and longitude (deg)
- the vertical axes are annotated to indicate altitude in kilometers
- the date and time of the measurements are listed as UTC time
- the names of the CALIPSO data products for the Lidar Level 1 attenuated backscatter granules are included
The scaled images on this page are organized by CALIPSO data product day and night orbit granules.
The maps with a shaded background indicate nightime measurements.
There are a maximum of 4 scaled images per granule.
The orbit tracks plotted on the maps show the measurement locations for each granule.
For each granule, the scaled images are ordered from left to right and their locations along the orbit tracks are color coded as: image one, image two, image three, image four.
Begin |
End | Number Profiles |
|---|---|---|
| 2017/04/22 00:09:01.3099 UTC | 2017/04/22 00:55:29.6634 UTC | 56220 |
|
|
|
|
|
Begin |
End | Number Profiles |
|---|---|---|
| 2017/04/22 00:55:29.7130 UTC | 2017/04/22 01:47:54.3913 UTC | 63405 |
|
|
|
|
|
Begin |
End | Number Profiles |
|---|---|---|
| 2017/04/22 01:47:54.4409 UTC | 2017/04/22 02:34:23.5374 UTC | 56235 |
|
|
|
|
|
Begin |
End | Number Profiles |
|---|---|---|
| 2017/04/22 02:34:23.5870 UTC | 2017/04/22 03:26:48.2653 UTC | 63405 |
|
|
|
|
|
Begin |
End | Number Profiles |
|---|---|---|
| 2017/04/22 03:26:48.3149 UTC | 2017/04/22 04:13:16.6684 UTC | 56220 |
|
|
|
|
|
Begin |
End | Number Profiles |
|---|---|---|
| 2017/04/22 04:13:16.7180 UTC | 2017/04/22 05:05:41.3974 UTC | 63405 |
|
|
|
|
|
Begin |
End | Number Profiles |
|---|---|---|
| 2017/04/22 05:05:41.4470 UTC | 2017/04/22 05:52:09.0554 UTC | 56205 |
|
|
|
|
|
Begin |
End | Number Profiles |
|---|---|---|
| 2017/04/22 05:52:09.1050 UTC | 2017/04/22 06:44:35.2724 UTC | 63435 |
|
|
|
|
|
Begin |
End | Number Profiles |
|---|---|---|
| 2017/04/22 06:44:35.3220 UTC | 2017/04/22 07:31:03.6744 UTC | 56220 |
|
|
|
|
|
Begin |
End | Number Profiles |
|---|---|---|
| 2017/04/22 07:31:03.7240 UTC | 2017/04/22 08:23:28.4034 UTC | 61590 |
|
|
|
|
|
Begin |
End | Number Profiles |
|---|---|---|
| 2017/04/22 08:23:28.4530 UTC | 2017/04/22 09:09:57.5484 UTC | 56235 |
|
|
|
|
|
Begin |
End | Number Profiles |
|---|---|---|
| 2017/04/22 09:09:57.5980 UTC | 2017/04/22 10:02:22.2794 UTC | 61755 |
|
|
|
|
|
Begin |
End | Number Profiles |
|---|---|---|
| 2017/04/22 10:02:22.3290 UTC | 2017/04/22 10:48:50.6824 UTC | 56220 |
|
|
|
|
|
Begin |
End | Number Profiles |
|---|---|---|
| 2017/04/22 10:48:50.7320 UTC | 2017/04/22 11:41:15.4134 UTC | 63405 |
|
|
|
|
|
Begin |
End | Number Profiles |
|---|---|---|
| 2017/04/22 11:41:15.4630 UTC | 2017/04/22 12:27:44.5603 UTC | 56235 |
|
|
|
|
|
Begin |
End | Number Profiles |
|---|---|---|
| 2017/04/22 12:27:44.6099 UTC | 2017/04/22 13:20:09.2914 UTC | 63405 |
|
|
|
|
|
Begin |
End | Number Profiles |
|---|---|---|
| 2017/04/22 13:20:09.3410 UTC | 2017/04/22 14:06:37.6934 UTC | 56220 |
|
|
|
|
|
Begin |
End | Number Profiles |
|---|---|---|
| 2017/04/22 14:06:37.7430 UTC | 2017/04/22 14:59:02.4224 UTC | 63405 |
|
|
|
|
|
Begin |
End | Number Profiles |
|---|---|---|
| 2017/04/22 14:59:02.4720 UTC | 2017/04/22 15:45:30.0784 UTC | 56205 |
|
|
|
|
|
Begin |
End | Number Profiles |
|---|---|---|
| 2017/04/22 15:45:30.1280 UTC | 2017/04/22 16:37:56.2943 UTC | 63435 |
|
|
|
|
|
Begin |
End | Number Profiles |
|---|---|---|
| 2017/04/22 16:37:56.3439 UTC | 2017/04/22 17:24:24.6954 UTC | 56220 |
|
|
|
|
|
Begin |
End | Number Profiles |
|---|---|---|
| 2017/04/22 17:24:24.7450 UTC | 2017/04/22 18:16:49.4234 UTC | 63405 |
|
|
|
|
|
Begin |
End | Number Profiles |
|---|---|---|
| 2017/04/22 18:16:49.4730 UTC | 2017/04/22 19:03:17.0744 UTC | 56205 |
|
|
|
|
|
Begin |
End | Number Profiles |
|---|---|---|
| 2017/04/22 19:03:17.1240 UTC | 2017/04/22 19:55:43.2914 UTC | 63435 |
|
|
|
|
|
Begin |
End | Number Profiles |
|---|---|---|
| 2017/04/22 19:55:43.3410 UTC | 2017/04/22 20:42:11.6934 UTC | 56220 |
|
|
|
|
|
Begin |
End | Number Profiles |
|---|---|---|
| 2017/04/22 20:42:11.7430 UTC | 2017/04/22 21:34:36.4213 UTC | 63405 |
|
|
|
|
|
Begin |
End | Number Profiles |
|---|---|---|
| 2017/04/22 21:34:36.4709 UTC | 2017/04/22 22:21:05.5653 UTC | 56235 |
|
|
|
|
|
Begin |
End | Number Profiles |
|---|---|---|
| 2017/04/22 22:21:05.6150 UTC | 2017/04/22 23:13:30.2934 UTC | 63405 |
|
|
|
|
|
Begin |
End | Number Profiles |
|---|---|---|
| 2017/04/22 23:13:30.3430 UTC | 2017/04/22 23:59:58.6954 UTC | 56220 |
|
|
|
|
|
























































































































