|
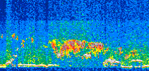
Displayed on this page are scaled, color-modulated, altitude-time images of CALIPSO attenuated backscatter (/km/sr) including:
- 532 nm total (parallel + perpendicular) attenuated backscatter
- 532 nm perpendicular attenuated backscatter
- 1064 nm total attenuated backscatter
The orbit track locations for the entire Level 1 .hdf file are in black and the orbit track locations corresponding to this page are color coded.
For the full scale images:
- the color bars for attenuated backscatter show the colors assigned to ranges of attenuated backscatter, /km/sr
- the horizontal axes are annotated with latitude (deg) and longitude (deg)
- the vertical axes are annotated to indicate altitude in kilometers
- the date and time of the measurements are listed as UTC time
- the names of the CALIPSO data products for the Lidar Level 1 attenuated backscatter granules are included
The scaled images on this page are organized by CALIPSO data product day and night orbit granules.
The maps with a shaded background indicate nightime measurements.
There are a maximum of 4 scaled images per granule.
The orbit tracks plotted on the maps show the measurement locations for each granule.
For each granule, the scaled images are ordered from left to right and their locations along the orbit tracks are color coded as: image one, image two, image three, image four.
Begin |
End | Number Profiles |
|---|---|---|
| 2017/05/20 00:36:07.0879 UTC | 2017/05/20 01:22:38.3984 UTC | 56280 |
|
|
|
|
|
Begin |
End | Number Profiles |
|---|---|---|
| 2017/05/20 01:22:38.4480 UTC | 2017/05/20 02:15:00.1334 UTC | 63345 |
|
|
|
|
|
Begin |
End | Number Profiles |
|---|---|---|
| 2017/05/20 02:15:00.1830 UTC | 2017/05/20 03:01:31.4943 UTC | 56280 |
|
|
|
|
|
Begin |
End | Number Profiles |
|---|---|---|
| 2017/05/20 03:01:31.5439 UTC | 2017/05/20 03:53:53.2304 UTC | 63015 |
|
|
|
|
|
Begin |
End | Number Profiles |
|---|---|---|
| 2017/05/20 03:53:53.2800 UTC | 2017/05/20 04:40:24.5913 UTC | 56280 |
|
|
|
|
|
Begin |
End | Number Profiles |
|---|---|---|
| 2017/05/20 04:40:24.6409 UTC | 2017/05/20 05:32:47.0703 UTC | 63360 |
|
|
|
|
|
Begin |
End | Number Profiles |
|---|---|---|
| 2017/05/20 05:32:47.1199 UTC | 2017/05/20 06:19:18.4314 UTC | 56280 |
|
|
|
|
|
Begin |
End | Number Profiles |
|---|---|---|
| 2017/05/20 06:19:18.4810 UTC | 2017/05/20 07:11:40.1654 UTC | 61365 |
|
|
|
|
|
Begin |
End | Number Profiles |
|---|---|---|
| 2017/05/20 07:11:40.2150 UTC | 2017/05/20 07:58:11.5254 UTC | 56280 |
|
|
|
|
|
Begin |
End | Number Profiles |
|---|---|---|
| 2017/05/20 07:58:11.5750 UTC | 2017/05/20 08:50:33.2584 UTC | 61530 |
|
|
|
|
|
Begin |
End | Number Profiles |
|---|---|---|
| 2017/05/20 08:50:33.3080 UTC | 2017/05/20 09:37:04.6184 UTC | 56280 |
|
|
|
|
|
Begin |
End | Number Profiles |
|---|---|---|
| 2017/05/20 09:37:04.6680 UTC | 2017/05/20 10:29:27.0954 UTC | 63360 |
|
|
|
|
|
Begin |
End | Number Profiles |
|---|---|---|
| 2017/05/20 10:29:27.1450 UTC | 2017/05/20 11:15:58.4563 UTC | 56280 |
|
|
|
|
|
Begin |
End | Number Profiles |
|---|---|---|
| 2017/05/20 11:15:58.5059 UTC | 2017/05/20 12:08:20.1924 UTC | 63345 |
|
|
|
|
|
Begin |
End | Number Profiles |
|---|---|---|
| 2017/05/20 12:08:20.2420 UTC | 2017/05/20 12:54:51.5544 UTC | 56280 |
|
|
|
|
|
Begin |
End | Number Profiles |
|---|---|---|
| 2017/05/20 12:54:51.6040 UTC | 2017/05/20 13:47:13.2904 UTC | 63345 |
|
|
|
|
|
Begin |
End | Number Profiles |
|---|---|---|
| 2017/05/20 13:47:13.3400 UTC | 2017/05/20 14:33:44.6523 UTC | 56280 |
|
|
|
|
|
Begin |
End | Number Profiles |
|---|---|---|
| 2017/05/20 14:33:44.7019 UTC | 2017/05/20 15:26:06.3874 UTC | 63345 |
|
|
|
|
|
Begin |
End | Number Profiles |
|---|---|---|
| 2017/05/20 15:26:06.4370 UTC | 2017/05/20 16:12:37.0044 UTC | 56265 |
|
|
|
|
|
Begin |
End | Number Profiles |
|---|---|---|
| 2017/05/20 16:12:37.0540 UTC | 2017/05/20 17:05:00.2264 UTC | 63375 |
|
|
|
|
|
Begin |
End | Number Profiles |
|---|---|---|
| 2017/05/20 17:05:00.2760 UTC | 2017/05/20 17:51:31.5864 UTC | 56280 |
|
|
|
|
|
Begin |
End | Number Profiles |
|---|---|---|
| 2017/05/20 17:51:31.6360 UTC | 2017/05/20 18:43:53.3194 UTC | 63345 |
|
|
|
|
|
Begin |
End | Number Profiles |
|---|---|---|
| 2017/05/20 18:43:53.3690 UTC | 2017/05/20 19:30:24.6783 UTC | 56280 |
|
|
|
|
|
Begin |
End | Number Profiles |
|---|---|---|
| 2017/05/20 19:30:24.7279 UTC | 2017/05/20 20:22:46.4104 UTC | 61695 |
|
|
|
|
|
Begin |
End | Number Profiles |
|---|---|---|
| 2017/05/20 20:22:46.4600 UTC | 2017/05/20 21:09:17.0224 UTC | 56265 |
|
|
|
|
|
Begin |
End | Number Profiles |
|---|---|---|
| 2017/05/20 21:09:17.0720 UTC | 2017/05/20 22:01:40.2414 UTC | 62055 |
|
|
|
|
|
Begin |
End | Number Profiles |
|---|---|---|
| 2017/05/20 22:01:40.2910 UTC | 2017/05/20 22:48:11.6004 UTC | 56280 |
|
|
|
|
|
Begin |
End | Number Profiles |
|---|---|---|
| 2017/05/20 22:48:11.6500 UTC | 2017/05/20 23:40:33.3334 UTC | 63345 |
|
|
|
|
|
Begin |
End | Number Profiles |
|---|---|---|
| 2017/05/20 23:40:33.3830 UTC | 2017/05/21 00:27:04.6924 UTC | 56280 |
|
|
|
|
|
























































































































