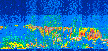
|
Displayed on this page are scaled, color-modulated, altitude-time images of CALIPSO attenuated backscatter (/km/sr) including:
- 532 nm total (parallel + perpendicular) attenuated backscatter
- 532 nm perpendicular attenuated backscatter
- 1064 nm total attenuated backscatter
The orbit track locations for the entire Level 1 .hdf file are in black and the orbit track locations corresponding to this page are color coded.
For the full scale images:
- the color bars for attenuated backscatter show the colors assigned to ranges of attenuated backscatter, /km/sr
- the horizontal axes are annotated with latitude (deg) and longitude (deg)
- the vertical axes are annotated to indicate altitude in kilometers
- the date and time of the measurements are listed as UTC time
- the names of the CALIPSO data products for the Lidar Level 1 attenuated backscatter granules are included
The scaled images on this page are organized by CALIPSO data product day and night orbit granules.
The maps with a shaded background indicate nightime measurements.
There are a maximum of 4 scaled images per granule.
The orbit tracks plotted on the maps show the measurement locations for each granule.
For each granule, the scaled images are ordered from left to right and their locations along the orbit tracks are color coded as: image one, image two, image three, image four.
Begin |
End | Number Profiles |
|---|---|---|
| 2017/07/10 00:14:41.0629 UTC | 2017/07/10 01:07:00.4864 UTC | 63300 |
|
|
|
|
|
Begin |
End | Number Profiles |
|---|---|---|
| 2017/07/10 01:07:00.5360 UTC | 2017/07/10 01:53:34.0514 UTC | 56325 |
|
|
|
|
|
Begin |
End | Number Profiles |
|---|---|---|
| 2017/07/10 01:53:34.1010 UTC | 2017/07/10 02:45:53.5254 UTC | 63300 |
|
|
|
|
|
Begin |
End | Number Profiles |
|---|---|---|
| 2017/07/10 02:45:53.5749 UTC | 2017/07/10 03:32:27.0894 UTC | 56325 |
|
|
|
|
|
Begin |
End | Number Profiles |
|---|---|---|
| 2017/07/10 03:32:27.1390 UTC | 2017/07/10 04:24:46.5624 UTC | 63300 |
|
|
|
|
|
Begin |
End | Number Profiles |
|---|---|---|
| 2017/07/10 04:24:46.6120 UTC | 2017/07/10 05:11:20.1254 UTC | 56325 |
|
|
|
|
|
Begin |
End | Number Profiles |
|---|---|---|
| 2017/07/10 05:11:20.1750 UTC | 2017/07/10 06:03:39.5983 UTC | 63300 |
|
|
|
|
|
Begin |
End | Number Profiles |
|---|---|---|
| 2017/07/10 06:03:39.6479 UTC | 2017/07/10 06:50:12.4183 UTC | 56310 |
|
|
|
|
|
Begin |
End | Number Profiles |
|---|---|---|
| 2017/07/10 06:50:12.4679 UTC | 2017/07/10 07:42:31.1464 UTC | 63285 |
|
|
|
|
|
Begin |
End | Number Profiles |
|---|---|---|
| 2017/07/10 07:42:31.1960 UTC | 2017/07/10 08:29:05.4543 UTC | 56340 |
|
|
|
|
|
Begin |
End | Number Profiles |
|---|---|---|
| 2017/07/10 08:29:05.5040 UTC | 2017/07/10 09:21:24.1834 UTC | 63285 |
|
|
|
|
|
Begin |
End | Number Profiles |
|---|---|---|
| 2017/07/10 09:21:24.2330 UTC | 2017/07/10 10:07:58.4913 UTC | 56340 |
|
|
|
|
|
Begin |
End | Number Profiles |
|---|---|---|
| 2017/07/10 10:07:58.5409 UTC | 2017/07/10 11:00:17.2234 UTC | 63285 |
|
|
|
|
|
Begin |
End | Number Profiles |
|---|---|---|
| 2017/07/10 11:00:17.2730 UTC | 2017/07/10 11:46:51.5343 UTC | 56340 |
|
|
|
|
|
Begin |
End | Number Profiles |
|---|---|---|
| 2017/07/10 11:46:51.5839 UTC | 2017/07/10 12:39:10.2673 UTC | 63285 |
|
|
|
|
|
Begin |
End | Number Profiles |
|---|---|---|
| 2017/07/10 12:39:10.3169 UTC | 2017/07/10 13:25:44.5804 UTC | 56340 |
|
|
|
|
|
Begin |
End | Number Profiles |
|---|---|---|
| 2017/07/10 13:25:44.6300 UTC | 2017/07/10 14:18:03.3154 UTC | 63285 |
|
|
|
|
|
Begin |
End | Number Profiles |
|---|---|---|
| 2017/07/10 14:18:03.3650 UTC | 2017/07/10 15:04:37.6284 UTC | 56340 |
|
|
|
|
|
Begin |
End | Number Profiles |
|---|---|---|
| 2017/07/10 15:04:37.6780 UTC | 2017/07/10 15:56:56.3614 UTC | 63285 |
|
|
|
|
|
Begin |
End | Number Profiles |
|---|---|---|
| 2017/07/10 15:56:56.4110 UTC | 2017/07/10 16:43:29.1834 UTC | 56310 |
|
|
|
|
|
Begin |
End | Number Profiles |
|---|---|---|
| 2017/07/10 16:43:29.2330 UTC | 2017/07/10 17:35:48.6573 UTC | 63300 |
|
|
|
|
|
Begin |
End | Number Profiles |
|---|---|---|
| 2017/07/10 17:35:48.7069 UTC | 2017/07/10 18:22:22.2193 UTC | 56325 |
|
|
|
|
|
Begin |
End | Number Profiles |
|---|---|---|
| 2017/07/10 18:22:22.2689 UTC | 2017/07/10 19:14:41.6914 UTC | 63300 |
|
|
|
|
|
Begin |
End | Number Profiles |
|---|---|---|
| 2017/07/10 19:14:41.7410 UTC | 2017/07/10 20:01:15.2523 UTC | 56325 |
|
|
|
|
|
Begin |
End | Number Profiles |
|---|---|---|
| 2017/07/10 20:01:15.3019 UTC | 2017/07/10 20:53:33.9804 UTC | 63285 |
|
|
|
|
|
Begin |
End | Number Profiles |
|---|---|---|
| 2017/07/10 20:53:34.0300 UTC | 2017/07/10 21:40:08.2854 UTC | 56340 |
|
|
|
|
|
Begin |
End | Number Profiles |
|---|---|---|
| 2017/07/10 21:40:08.3350 UTC | 2017/07/10 22:32:27.0123 UTC | 63285 |
|
|
|
|
|
Begin |
End | Number Profiles |
|---|---|---|
| 2017/07/10 22:32:27.0619 UTC | 2017/07/10 23:19:01.3194 UTC | 56340 |
|
|
|
|
|
Begin |
End | Number Profiles |
|---|---|---|
| 2017/07/10 23:19:01.3690 UTC | 2017/07/11 00:11:20.0493 UTC | 63285 |
|
|
|
|
|
























































































































