|
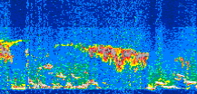
Displayed on this page are scaled, color-modulated, altitude-time images of CALIPSO attenuated backscatter (/km/sr) including:
- 532 nm total (parallel + perpendicular) attenuated backscatter
- 532 nm perpendicular attenuated backscatter
- 1064 nm total attenuated backscatter
The orbit track locations for the entire Level 1 .hdf file are in black and the orbit track locations corresponding to this page are color coded.
For the full scale images:
- the color bars for attenuated backscatter show the colors assigned to ranges of attenuated backscatter, /km/sr
- the horizontal axes are annotated with latitude (deg) and longitude (deg)
- the vertical axes are annotated to indicate altitude in kilometers
- the date and time of the measurements are listed as UTC time
- the names of the CALIPSO data products for the Lidar Level 1 attenuated backscatter granules are included
The scaled images on this page are organized by CALIPSO data product day and night orbit granules.
The maps with a shaded background indicate nightime measurements.
There are a maximum of 4 scaled images per granule.
The orbit tracks plotted on the maps show the measurement locations for each granule.
For each granule, the scaled images are ordered from left to right and their locations along the orbit tracks are color coded as: image one, image two, image three, image four.
Begin |
End | Number Profiles |
|---|---|---|
| 2017/08/06 00:46:59.3680 UTC | 2017/08/06 01:33:31.4123 UTC | 56295 |
|
|
|
|
|
Begin |
End | Number Profiles |
|---|---|---|
| 2017/08/06 01:33:31.4619 UTC | 2017/08/06 02:25:52.3904 UTC | 63330 |
|
|
|
|
|
Begin |
End | Number Profiles |
|---|---|---|
| 2017/08/06 02:25:52.4400 UTC | 2017/08/06 03:12:24.4833 UTC | 56295 |
|
|
|
|
|
Begin |
End | Number Profiles |
|---|---|---|
| 2017/08/06 03:12:24.5329 UTC | 2017/08/06 04:04:45.4614 UTC | 63330 |
|
|
|
|
|
Begin |
End | Number Profiles |
|---|---|---|
| 2017/08/06 04:04:45.5110 UTC | 2017/08/06 04:51:16.0663 UTC | 56265 |
|
|
|
|
|
Begin |
End | Number Profiles |
|---|---|---|
| 2017/08/06 04:51:16.1160 UTC | 2017/08/06 05:43:37.0453 UTC | 63330 |
|
|
|
|
|
Begin |
End | Number Profiles |
|---|---|---|
| 2017/08/06 05:43:37.0949 UTC | 2017/08/06 06:30:09.1374 UTC | 56295 |
|
|
|
|
|
Begin |
End | Number Profiles |
|---|---|---|
| 2017/08/06 06:30:09.1870 UTC | 2017/08/06 07:22:30.1164 UTC | 63330 |
|
|
|
|
|
Begin |
End | Number Profiles |
|---|---|---|
| 2017/08/06 07:22:30.1660 UTC | 2017/08/06 08:09:02.2093 UTC | 56295 |
|
|
|
|
|
Begin |
End | Number Profiles |
|---|---|---|
| 2017/08/06 08:09:02.2589 UTC | 2017/08/06 09:01:23.1874 UTC | 63330 |
|
|
|
|
|
Begin |
End | Number Profiles |
|---|---|---|
| 2017/08/06 09:01:23.2370 UTC | 2017/08/06 09:47:55.2804 UTC | 56295 |
|
|
|
|
|
Begin |
End | Number Profiles |
|---|---|---|
| 2017/08/06 09:47:55.3300 UTC | 2017/08/06 10:40:16.2593 UTC | 63330 |
|
|
|
|
|
Begin |
End | Number Profiles |
|---|---|---|
| 2017/08/06 10:40:16.3090 UTC | 2017/08/06 11:26:48.3544 UTC | 56295 |
|
|
|
|
|
Begin |
End | Number Profiles |
|---|---|---|
| 2017/08/06 11:26:48.4040 UTC | 2017/08/06 12:19:09.3354 UTC | 63330 |
|
|
|
|
|
Begin |
End | Number Profiles |
|---|---|---|
| 2017/08/06 12:19:09.3850 UTC | 2017/08/06 13:05:41.4314 UTC | 56295 |
|
|
|
|
|
Begin |
End | Number Profiles |
|---|---|---|
| 2017/08/06 13:05:41.4810 UTC | 2017/08/06 13:58:01.6704 UTC | 63315 |
|
|
|
|
|
Begin |
End | Number Profiles |
|---|---|---|
| 2017/08/06 13:58:01.7200 UTC | 2017/08/06 14:44:33.0214 UTC | 56280 |
|
|
|
|
|
Begin |
End | Number Profiles |
|---|---|---|
| 2017/08/06 14:44:33.0710 UTC | 2017/08/06 15:36:54.0013 UTC | 63330 |
|
|
|
|
|
Begin |
End | Number Profiles |
|---|---|---|
| 2017/08/06 15:36:54.0509 UTC | 2017/08/06 16:23:26.0943 UTC | 56295 |
|
|
|
|
|
Begin |
End | Number Profiles |
|---|---|---|
| 2017/08/06 16:23:26.1439 UTC | 2017/08/06 17:15:47.0724 UTC | 63330 |
|
|
|
|
|
Begin |
End | Number Profiles |
|---|---|---|
| 2017/08/06 17:15:47.1220 UTC | 2017/08/06 18:02:19.1644 UTC | 56295 |
|
|
|
|
|
Begin |
End | Number Profiles |
|---|---|---|
| 2017/08/06 18:02:19.2140 UTC | 2017/08/06 18:54:40.1424 UTC | 63330 |
|
|
|
|
|
Begin |
End | Number Profiles |
|---|---|---|
| 2017/08/06 18:54:40.1920 UTC | 2017/08/06 19:41:11.4904 UTC | 56280 |
|
|
|
|
|
Begin |
End | Number Profiles |
|---|---|---|
| 2017/08/06 19:41:11.5400 UTC | 2017/08/06 20:33:32.4694 UTC | 63330 |
|
|
|
|
|
Begin |
End | Number Profiles |
|---|---|---|
| 2017/08/06 20:33:32.5190 UTC | 2017/08/06 21:20:04.5614 UTC | 56295 |
|
|
|
|
|
Begin |
End | Number Profiles |
|---|---|---|
| 2017/08/06 21:20:04.6110 UTC | 2017/08/06 22:12:25.5394 UTC | 63330 |
|
|
|
|
|
Begin |
End | Number Profiles |
|---|---|---|
| 2017/08/06 22:12:25.5890 UTC | 2017/08/06 22:58:57.6334 UTC | 56295 |
|
|
|
|
|
Begin |
End | Number Profiles |
|---|---|---|
| 2017/08/06 22:58:57.6830 UTC | 2017/08/06 23:51:18.6124 UTC | 63330 |
|
|
|
|
|
Begin |
End | Number Profiles |
|---|---|---|
| 2017/08/06 23:51:18.6620 UTC | 2017/08/07 00:37:50.7074 UTC | 56295 |
|
|
|
|
|
























































































































