|
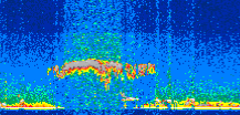
Displayed on this page are scaled, color-modulated, altitude-time images of CALIPSO attenuated backscatter (/km/sr) including:
- 532 nm total (parallel + perpendicular) attenuated backscatter
- 532 nm perpendicular attenuated backscatter
- 1064 nm total attenuated backscatter
The orbit track locations for the entire Level 1 .hdf file are in black and the orbit track locations corresponding to this page are color coded.
For the full scale images:
- the color bars for attenuated backscatter show the colors assigned to ranges of attenuated backscatter, /km/sr
- the horizontal axes are annotated with latitude (deg) and longitude (deg)
- the vertical axes are annotated to indicate altitude in kilometers
- the date and time of the measurements are listed as UTC time
- the names of the CALIPSO data products for the Lidar Level 1 attenuated backscatter granules are included
The scaled images on this page are organized by CALIPSO data product day and night orbit granules.
The maps with a shaded background indicate nightime measurements.
There are a maximum of 4 scaled images per granule.
The orbit tracks plotted on the maps show the measurement locations for each granule.
For each granule, the scaled images are ordered from left to right and their locations along the orbit tracks are color coded as: image one, image two, image three, image four.
Begin |
End | Number Profiles |
|---|---|---|
| 2017/10/12 00:18:21.3490 UTC | 2017/10/12 01:10:57.2444 UTC | 63630 |
|
|
|
|
|
Begin |
End | Number Profiles |
|---|---|---|
| 2017/10/12 01:10:57.2940 UTC | 2017/10/12 01:57:13.0504 UTC | 55965 |
|
|
|
|
|
Begin |
End | Number Profiles |
|---|---|---|
| 2017/10/12 01:57:13.1000 UTC | 2017/10/12 02:49:50.4834 UTC | 63660 |
|
|
|
|
|
Begin |
End | Number Profiles |
|---|---|---|
| 2017/10/12 02:49:50.5330 UTC | 2017/10/12 03:36:06.2893 UTC | 55965 |
|
|
|
|
|
Begin |
End | Number Profiles |
|---|---|---|
| 2017/10/12 03:36:06.3389 UTC | 2017/10/12 04:28:42.2343 UTC | 63630 |
|
|
|
|
|
Begin |
End | Number Profiles |
|---|---|---|
| 2017/10/12 04:28:42.2839 UTC | 2017/10/12 05:14:58.0423 UTC | 55965 |
|
|
|
|
|
Begin |
End | Number Profiles |
|---|---|---|
| 2017/10/12 05:14:58.0919 UTC | 2017/10/12 06:07:35.4763 UTC | 63660 |
|
|
|
|
|
Begin |
End | Number Profiles |
|---|---|---|
| 2017/10/12 06:07:35.5259 UTC | 2017/10/12 06:53:51.2844 UTC | 55965 |
|
|
|
|
|
Begin |
End | Number Profiles |
|---|---|---|
| 2017/10/12 06:53:51.3339 UTC | 2017/10/12 07:46:27.2293 UTC | 63630 |
|
|
|
|
|
Begin |
End | Number Profiles |
|---|---|---|
| 2017/10/12 07:46:27.2789 UTC | 2017/10/12 08:32:43.0364 UTC | 55965 |
|
|
|
|
|
Begin |
End | Number Profiles |
|---|---|---|
| 2017/10/12 08:32:43.0860 UTC | 2017/10/12 09:25:20.4694 UTC | 63660 |
|
|
|
|
|
Begin |
End | Number Profiles |
|---|---|---|
| 2017/10/12 09:25:20.5190 UTC | 2017/10/12 10:11:36.2783 UTC | 55965 |
|
|
|
|
|
Begin |
End | Number Profiles |
|---|---|---|
| 2017/10/12 10:11:36.3279 UTC | 2017/10/12 11:04:12.9674 UTC | 63645 |
|
|
|
|
|
Begin |
End | Number Profiles |
|---|---|---|
| 2017/10/12 11:04:13.0170 UTC | 2017/10/12 11:50:28.0324 UTC | 55950 |
|
|
|
|
|
Begin |
End | Number Profiles |
|---|---|---|
| 2017/10/12 11:50:28.0820 UTC | 2017/10/12 12:43:05.4694 UTC | 63660 |
|
|
|
|
|
Begin |
End | Number Profiles |
|---|---|---|
| 2017/10/12 12:43:05.5190 UTC | 2017/10/12 13:29:21.2804 UTC | 55965 |
|
|
|
|
|
Begin |
End | Number Profiles |
|---|---|---|
| 2017/10/12 13:29:21.3300 UTC | 2017/10/12 14:21:57.9724 UTC | 63645 |
|
|
|
|
|
Begin |
End | Number Profiles |
|---|---|---|
| 2017/10/12 14:21:58.0220 UTC | 2017/10/12 15:08:13.0383 UTC | 55950 |
|
|
|
|
|
Begin |
End | Number Profiles |
|---|---|---|
| 2017/10/12 15:08:13.0879 UTC | 2017/10/12 16:00:50.4723 UTC | 63660 |
|
|
|
|
|
Begin |
End | Number Profiles |
|---|---|---|
| 2017/10/12 16:00:50.5219 UTC | 2017/10/12 16:47:06.2794 UTC | 55965 |
|
|
|
|
|
Begin |
End | Number Profiles |
|---|---|---|
| 2017/10/12 16:47:06.3290 UTC | 2017/10/12 17:39:42.9684 UTC | 63645 |
|
|
|
|
|
Begin |
End | Number Profiles |
|---|---|---|
| 2017/10/12 17:39:43.0180 UTC | 2017/10/12 18:25:58.0303 UTC | 55950 |
|
|
|
|
|
Begin |
End | Number Profiles |
|---|---|---|
| 2017/10/12 18:25:58.0799 UTC | 2017/10/12 19:18:35.4614 UTC | 63660 |
|
|
|
|
|
Begin |
End | Number Profiles |
|---|---|---|
| 2017/10/12 19:18:35.5110 UTC | 2017/10/12 20:04:51.2674 UTC | 55965 |
|
|
|
|
|
Begin |
End | Number Profiles |
|---|---|---|
| 2017/10/12 20:04:51.3170 UTC | 2017/10/12 20:57:28.6983 UTC | 63660 |
|
|
|
|
|
Begin |
End | Number Profiles |
|---|---|---|
| 2017/10/12 20:57:28.7479 UTC | 2017/10/12 21:43:43.0164 UTC | 55935 |
|
|
|
|
|
Begin |
End | Number Profiles |
|---|---|---|
| 2017/10/12 21:43:43.0660 UTC | 2017/10/12 22:36:20.4474 UTC | 63660 |
|
|
|
|
|
Begin |
End | Number Profiles |
|---|---|---|
| 2017/10/12 22:36:20.4970 UTC | 2017/10/12 23:22:36.2544 UTC | 55965 |
|
|
|
|
|
Begin |
End | Number Profiles |
|---|---|---|
| 2017/10/12 23:22:36.3040 UTC | 2017/10/13 00:15:13.6893 UTC | 63660 |
|
|
|
|
|
























































































































