|
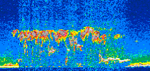
Displayed on this page are scaled, color-modulated, altitude-time images of CALIPSO attenuated backscatter (/km/sr) including:
- 532 nm total (parallel + perpendicular) attenuated backscatter
- 532 nm perpendicular attenuated backscatter
- 1064 nm total attenuated backscatter
The orbit track locations for the entire Level 1 .hdf file are in black and the orbit track locations corresponding to this page are color coded.
For the full scale images:
- the color bars for attenuated backscatter show the colors assigned to ranges of attenuated backscatter, /km/sr
- the horizontal axes are annotated with latitude (deg) and longitude (deg)
- the vertical axes are annotated to indicate altitude in kilometers
- the date and time of the measurements are listed as UTC time
- the names of the CALIPSO data products for the Lidar Level 1 attenuated backscatter granules are included
The scaled images on this page are organized by CALIPSO data product day and night orbit granules.
The maps with a shaded background indicate nightime measurements.
There are a maximum of 4 scaled images per granule.
The orbit tracks plotted on the maps show the measurement locations for each granule.
For each granule, the scaled images are ordered from left to right and their locations along the orbit tracks are color coded as: image one, image two, image three, image four.
Begin |
End | Number Profiles |
|---|---|---|
| 2017/12/20 00:32:30.5360 UTC | 2017/12/20 01:25:04.2114 UTC | 63585 |
|
|
|
|
|
Begin |
End | Number Profiles |
|---|---|---|
| 2017/12/20 01:25:04.2610 UTC | 2017/12/20 02:11:23.0034 UTC | 56025 |
|
|
|
|
|
Begin |
End | Number Profiles |
|---|---|---|
| 2017/12/20 02:11:23.0530 UTC | 2017/12/20 03:03:57.4714 UTC | 63600 |
|
|
|
|
|
Begin |
End | Number Profiles |
|---|---|---|
| 2017/12/20 03:03:57.5210 UTC | 2017/12/20 03:50:16.2634 UTC | 56025 |
|
|
|
|
|
Begin |
End | Number Profiles |
|---|---|---|
| 2017/12/20 03:50:16.3119 UTC | 2017/12/20 04:42:49.9893 UTC | 63585 |
|
|
|
|
|
Begin |
End | Number Profiles |
|---|---|---|
| 2017/12/20 04:42:50.0390 UTC | 2017/12/20 05:29:09.5263 UTC | 56040 |
|
|
|
|
|
Begin |
End | Number Profiles |
|---|---|---|
| 2017/12/20 05:29:09.5759 UTC | 2017/12/20 06:21:43.2514 UTC | 63585 |
|
|
|
|
|
Begin |
End | Number Profiles |
|---|---|---|
| 2017/12/20 06:21:43.3010 UTC | 2017/12/20 07:08:02.0454 UTC | 56025 |
|
|
|
|
|
Begin |
End | Number Profiles |
|---|---|---|
| 2017/12/20 07:08:02.0950 UTC | 2017/12/20 08:00:36.5144 UTC | 63600 |
|
|
|
|
|
Begin |
End | Number Profiles |
|---|---|---|
| 2017/12/20 08:00:36.5640 UTC | 2017/12/20 08:46:55.3073 UTC | 56025 |
|
|
|
|
|
Begin |
End | Number Profiles |
|---|---|---|
| 2017/12/20 08:46:55.3569 UTC | 2017/12/20 09:39:30.5214 UTC | 63615 |
|
|
|
|
|
Begin |
End | Number Profiles |
|---|---|---|
| 2017/12/20 09:39:30.5710 UTC | 2017/12/20 10:25:48.5694 UTC | 56010 |
|
|
|
|
|
Begin |
End | Number Profiles |
|---|---|---|
| 2017/12/20 10:25:48.6190 UTC | 2017/12/20 11:18:23.0364 UTC | 63600 |
|
|
|
|
|
Begin |
End | Number Profiles |
|---|---|---|
| 2017/12/20 11:18:23.0860 UTC | 2017/12/20 12:04:41.0854 UTC | 56010 |
|
|
|
|
|
Begin |
End | Number Profiles |
|---|---|---|
| 2017/12/20 12:04:41.1349 UTC | 2017/12/20 12:57:16.3003 UTC | 63615 |
|
|
|
|
|
Begin |
End | Number Profiles |
|---|---|---|
| 2017/12/20 12:57:16.3499 UTC | 2017/12/20 13:43:34.3513 UTC | 56010 |
|
|
|
|
|
Begin |
End | Number Profiles |
|---|---|---|
| 2017/12/20 13:43:34.4009 UTC | 2017/12/20 14:36:09.5663 UTC | 63615 |
|
|
|
|
|
Begin |
End | Number Profiles |
|---|---|---|
| 2017/12/20 14:36:09.6159 UTC | 2017/12/20 15:22:27.6154 UTC | 56010 |
|
|
|
|
|
Begin |
End | Number Profiles |
|---|---|---|
| 2017/12/20 15:22:27.6650 UTC | 2017/12/20 16:15:02.0843 UTC | 63600 |
|
|
|
|
|
Begin |
End | Number Profiles |
|---|---|---|
| 2017/12/20 16:15:02.1339 UTC | 2017/12/20 17:01:20.1314 UTC | 56010 |
|
|
|
|
|
Begin |
End | Number Profiles |
|---|---|---|
| 2017/12/20 17:01:20.1810 UTC | 2017/12/20 17:53:55.3434 UTC | 63615 |
|
|
|
|
|
Begin |
End | Number Profiles |
|---|---|---|
| 2017/12/20 17:53:55.3930 UTC | 2017/12/20 18:40:13.3904 UTC | 56010 |
|
|
|
|
|
Begin |
End | Number Profiles |
|---|---|---|
| 2017/12/20 18:40:13.4400 UTC | 2017/12/20 19:32:48.6024 UTC | 63615 |
|
|
|
|
|
Begin |
End | Number Profiles |
|---|---|---|
| 2017/12/20 19:32:48.6520 UTC | 2017/12/20 20:19:07.3944 UTC | 56025 |
|
|
|
|
|
Begin |
End | Number Profiles |
|---|---|---|
| 2017/12/20 20:19:07.4440 UTC | 2017/12/20 21:11:41.1193 UTC | 63585 |
|
|
|
|
|
Begin |
End | Number Profiles |
|---|---|---|
| 2017/12/20 21:11:41.1689 UTC | 2017/12/20 21:58:00.6553 UTC | 56040 |
|
|
|
|
|
Begin |
End | Number Profiles |
|---|---|---|
| 2017/12/20 21:58:00.7049 UTC | 2017/12/20 22:50:34.3793 UTC | 63585 |
|
|
|
|
|
Begin |
End | Number Profiles |
|---|---|---|
| 2017/12/20 22:50:34.4289 UTC | 2017/12/20 23:36:53.1714 UTC | 56025 |
|
|
|
|
|
Begin |
End | Number Profiles |
|---|---|---|
| 2017/12/20 23:36:53.2210 UTC | 2017/12/21 00:29:27.6404 UTC | 63600 |
|
|
|
|
|
























































































































