|
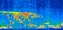
Displayed on this page are scaled, color-modulated, altitude-time images of CALIPSO attenuated backscatter (/km/sr) including:
- 532 nm total (parallel + perpendicular) attenuated backscatter
- 532 nm perpendicular attenuated backscatter
- 1064 nm total attenuated backscatter
The orbit track locations for the entire Level 1 .hdf file are in black and the orbit track locations corresponding to this page are color coded.
For the full scale images:
- the color bars for attenuated backscatter show the colors assigned to ranges of attenuated backscatter, /km/sr
- the horizontal axes are annotated with latitude (deg) and longitude (deg)
- the vertical axes are annotated to indicate altitude in kilometers
- the date and time of the measurements are listed as UTC time
- the names of the CALIPSO data products for the Lidar Level 1 attenuated backscatter granules are included
The scaled images on this page are organized by CALIPSO data product day and night orbit granules.
The maps with a shaded background indicate nightime measurements.
There are a maximum of 4 scaled images per granule.
The orbit tracks plotted on the maps show the measurement locations for each granule.
For each granule, the scaled images are ordered from left to right and their locations along the orbit tracks are color coded as: image one, image two, image three, image four.
Begin |
End | Number Profiles |
|---|---|---|
| 2018/01/04 00:41:58.1310 UTC | 2018/01/04 01:28:19.0943 UTC | 56070 |
|
|
|
|
|
Begin |
End | Number Profiles |
|---|---|---|
| 2018/01/04 01:28:19.1439 UTC | 2018/01/04 02:20:51.3203 UTC | 63555 |
|
|
|
|
|
Begin |
End | Number Profiles |
|---|---|---|
| 2018/01/04 02:20:51.3700 UTC | 2018/01/04 03:07:13.0774 UTC | 56085 |
|
|
|
|
|
Begin |
End | Number Profiles |
|---|---|---|
| 2018/01/04 03:07:13.1270 UTC | 2018/01/04 03:59:44.5604 UTC | 63540 |
|
|
|
|
|
Begin |
End | Number Profiles |
|---|---|---|
| 2018/01/04 03:59:44.6100 UTC | 2018/01/04 04:46:06.3174 UTC | 56085 |
|
|
|
|
|
Begin |
End | Number Profiles |
|---|---|---|
| 2018/01/04 04:46:06.3670 UTC | 2018/01/04 05:38:37.0554 UTC | 63525 |
|
|
|
|
|
Begin |
End | Number Profiles |
|---|---|---|
| 2018/01/04 05:38:37.1050 UTC | 2018/01/04 06:24:59.5564 UTC | 56100 |
|
|
|
|
|
Begin |
End | Number Profiles |
|---|---|---|
| 2018/01/04 06:24:59.6060 UTC | 2018/01/04 07:17:30.2944 UTC | 63525 |
|
|
|
|
|
Begin |
End | Number Profiles |
|---|---|---|
| 2018/01/04 07:17:30.3440 UTC | 2018/01/04 08:03:52.0503 UTC | 56085 |
|
|
|
|
|
Begin |
End | Number Profiles |
|---|---|---|
| 2018/01/04 08:03:52.0999 UTC | 2018/01/04 08:56:24.2763 UTC | 63555 |
|
|
|
|
|
Begin |
End | Number Profiles |
|---|---|---|
| 2018/01/04 08:56:24.3259 UTC | 2018/01/04 09:42:45.2904 UTC | 56070 |
|
|
|
|
|
Begin |
End | Number Profiles |
|---|---|---|
| 2018/01/04 09:42:45.3400 UTC | 2018/01/04 10:35:17.5174 UTC | 63555 |
|
|
|
|
|
Begin |
End | Number Profiles |
|---|---|---|
| 2018/01/04 10:35:17.5670 UTC | 2018/01/04 11:21:38.5334 UTC | 56070 |
|
|
|
|
|
Begin |
End | Number Profiles |
|---|---|---|
| 2018/01/04 11:21:38.5820 UTC | 2018/01/04 12:14:10.0174 UTC | 63540 |
|
|
|
|
|
Begin |
End | Number Profiles |
|---|---|---|
| 2018/01/04 12:14:10.0670 UTC | 2018/01/04 13:00:32.5214 UTC | 56100 |
|
|
|
|
|
Begin |
End | Number Profiles |
|---|---|---|
| 2018/01/04 13:00:32.5710 UTC | 2018/01/04 13:53:03.2624 UTC | 63525 |
|
|
|
|
|
Begin |
End | Number Profiles |
|---|---|---|
| 2018/01/04 13:53:03.3120 UTC | 2018/01/04 14:39:25.0234 UTC | 56085 |
|
|
|
|
|
Begin |
End | Number Profiles |
|---|---|---|
| 2018/01/04 14:39:25.0720 UTC | 2018/01/04 15:31:56.5074 UTC | 63540 |
|
|
|
|
|
Begin |
End | Number Profiles |
|---|---|---|
| 2018/01/04 15:31:56.5570 UTC | 2018/01/04 16:18:18.2663 UTC | 56085 |
|
|
|
|
|
Begin |
End | Number Profiles |
|---|---|---|
| 2018/01/04 16:18:18.3150 UTC | 2018/01/04 17:10:49.0054 UTC | 63525 |
|
|
|
|
|
Begin |
End | Number Profiles |
|---|---|---|
| 2018/01/04 17:10:49.0550 UTC | 2018/01/04 17:57:11.5073 UTC | 56100 |
|
|
|
|
|
Begin |
End | Number Profiles |
|---|---|---|
| 2018/01/04 17:57:11.5569 UTC | 2018/01/04 18:49:42.2453 UTC | 63525 |
|
|
|
|
|
Begin |
End | Number Profiles |
|---|---|---|
| 2018/01/04 18:49:42.2950 UTC | 2018/01/04 19:36:04.0024 UTC | 56085 |
|
|
|
|
|
Begin |
End | Number Profiles |
|---|---|---|
| 2018/01/04 19:36:04.0520 UTC | 2018/01/04 20:28:36.2254 UTC | 63555 |
|
|
|
|
|
Begin |
End | Number Profiles |
|---|---|---|
| 2018/01/04 20:28:36.2750 UTC | 2018/01/04 21:14:57.2374 UTC | 56070 |
|
|
|
|
|
Begin |
End | Number Profiles |
|---|---|---|
| 2018/01/04 21:14:57.2870 UTC | 2018/01/04 22:07:29.4604 UTC | 63555 |
|
|
|
|
|
Begin |
End | Number Profiles |
|---|---|---|
| 2018/01/04 22:07:29.5100 UTC | 2018/01/04 22:53:51.2164 UTC | 56085 |
|
|
|
|
|
Begin |
End | Number Profiles |
|---|---|---|
| 2018/01/04 22:53:51.2660 UTC | 2018/01/04 23:46:22.6974 UTC | 63465 |
|
|
|
|
|
Begin |
End | Number Profiles |
|---|---|---|
| 2018/01/04 23:46:22.7470 UTC | 2018/01/05 00:32:44.4534 UTC | 56085 |
|
|
|
|
|
























































































































