|
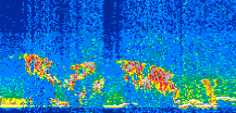
Displayed on this page are scaled, color-modulated, altitude-time images of CALIPSO attenuated backscatter (/km/sr) including:
- 532 nm total (parallel + perpendicular) attenuated backscatter
- 532 nm perpendicular attenuated backscatter
- 1064 nm total attenuated backscatter
The orbit track locations for the entire Level 1 .hdf file are in black and the orbit track locations corresponding to this page are color coded.
For the full scale images:
- the color bars for attenuated backscatter show the colors assigned to ranges of attenuated backscatter, /km/sr
- the horizontal axes are annotated with latitude (deg) and longitude (deg)
- the vertical axes are annotated to indicate altitude in kilometers
- the date and time of the measurements are listed as UTC time
- the names of the CALIPSO data products for the Lidar Level 1 attenuated backscatter granules are included
The scaled images on this page are organized by CALIPSO data product day and night orbit granules.
The maps with a shaded background indicate nightime measurements.
There are a maximum of 4 scaled images per granule.
The orbit tracks plotted on the maps show the measurement locations for each granule.
For each granule, the scaled images are ordered from left to right and their locations along the orbit tracks are color coded as: image one, image two, image three, image four.
Begin |
End | Number Profiles |
|---|---|---|
| 2018/05/10 00:14:40.1099 UTC | 2018/05/10 01:07:04.0403 UTC | 63390 |
|
|
|
|
|
Begin |
End | Number Profiles |
|---|---|---|
| 2018/05/10 01:07:04.0899 UTC | 2018/05/10 01:53:34.6693 UTC | 56265 |
|
|
|
|
|
Begin |
End | Number Profiles |
|---|---|---|
| 2018/05/10 01:53:34.7190 UTC | 2018/05/10 02:45:57.1594 UTC | 63360 |
|
|
|
|
|
Begin |
End | Number Profiles |
|---|---|---|
| 2018/05/10 02:45:57.2090 UTC | 2018/05/10 03:32:27.0434 UTC | 56250 |
|
|
|
|
|
Begin |
End | Number Profiles |
|---|---|---|
| 2018/05/10 03:32:27.0930 UTC | 2018/05/10 04:24:50.2794 UTC | 63375 |
|
|
|
|
|
Begin |
End | Number Profiles |
|---|---|---|
| 2018/05/10 04:24:50.3290 UTC | 2018/05/10 05:11:20.1634 UTC | 56250 |
|
|
|
|
|
Begin |
End | Number Profiles |
|---|---|---|
| 2018/05/10 05:11:20.2130 UTC | 2018/05/10 06:03:44.1424 UTC | 63390 |
|
|
|
|
|
Begin |
End | Number Profiles |
|---|---|---|
| 2018/05/10 06:03:44.1920 UTC | 2018/05/10 06:50:13.2824 UTC | 56235 |
|
|
|
|
|
Begin |
End | Number Profiles |
|---|---|---|
| 2018/05/10 06:50:13.3320 UTC | 2018/05/10 07:42:37.2603 UTC | 63390 |
|
|
|
|
|
Begin |
End | Number Profiles |
|---|---|---|
| 2018/05/10 07:42:37.3099 UTC | 2018/05/10 08:29:07.1443 UTC | 56250 |
|
|
|
|
|
Begin |
End | Number Profiles |
|---|---|---|
| 2018/05/10 08:29:07.1939 UTC | 2018/05/10 09:21:31.1224 UTC | 63390 |
|
|
|
|
|
Begin |
End | Number Profiles |
|---|---|---|
| 2018/05/10 09:21:31.1720 UTC | 2018/05/10 10:08:00.2624 UTC | 56235 |
|
|
|
|
|
Begin |
End | Number Profiles |
|---|---|---|
| 2018/05/10 10:08:00.3120 UTC | 2018/05/10 11:00:24.2424 UTC | 63390 |
|
|
|
|
|
Begin |
End | Number Profiles |
|---|---|---|
| 2018/05/10 11:00:24.2920 UTC | 2018/05/10 11:46:54.1284 UTC | 56250 |
|
|
|
|
|
Begin |
End | Number Profiles |
|---|---|---|
| 2018/05/10 11:46:54.1780 UTC | 2018/05/10 12:39:17.3644 UTC | 63375 |
|
|
|
|
|
Begin |
End | Number Profiles |
|---|---|---|
| 2018/05/10 12:39:17.4140 UTC | 2018/05/10 13:25:47.2504 UTC | 56250 |
|
|
|
|
|
Begin |
End | Number Profiles |
|---|---|---|
| 2018/05/10 13:25:47.3000 UTC | 2018/05/10 14:18:10.4863 UTC | 63375 |
|
|
|
|
|
Begin |
End | Number Profiles |
|---|---|---|
| 2018/05/10 14:18:10.5359 UTC | 2018/05/10 15:04:40.3724 UTC | 56250 |
|
|
|
|
|
Begin |
End | Number Profiles |
|---|---|---|
| 2018/05/10 15:04:40.4220 UTC | 2018/05/10 15:57:04.3524 UTC | 63390 |
|
|
|
|
|
Begin |
End | Number Profiles |
|---|---|---|
| 2018/05/10 15:57:04.4020 UTC | 2018/05/10 16:43:33.4923 UTC | 56235 |
|
|
|
|
|
Begin |
End | Number Profiles |
|---|---|---|
| 2018/05/10 16:43:33.5419 UTC | 2018/05/10 17:35:57.4714 UTC | 63390 |
|
|
|
|
|
Begin |
End | Number Profiles |
|---|---|---|
| 2018/05/10 17:35:57.5210 UTC | 2018/05/10 18:22:27.3563 UTC | 56250 |
|
|
|
|
|
Begin |
End | Number Profiles |
|---|---|---|
| 2018/05/10 18:22:27.4059 UTC | 2018/05/10 19:14:50.5924 UTC | 63375 |
|
|
|
|
|
Begin |
End | Number Profiles |
|---|---|---|
| 2018/05/10 19:14:50.6420 UTC | 2018/05/10 20:01:20.4764 UTC | 56250 |
|
|
|
|
|
Begin |
End | Number Profiles |
|---|---|---|
| 2018/05/10 20:01:20.5260 UTC | 2018/05/10 20:53:44.4544 UTC | 63390 |
|
|
|
|
|
Begin |
End | Number Profiles |
|---|---|---|
| 2018/05/10 20:53:44.5040 UTC | 2018/05/10 21:40:13.5943 UTC | 56235 |
|
|
|
|
|
Begin |
End | Number Profiles |
|---|---|---|
| 2018/05/10 21:40:13.6439 UTC | 2018/05/10 22:32:37.5734 UTC | 63390 |
|
|
|
|
|
Begin |
End | Number Profiles |
|---|---|---|
| 2018/05/10 22:32:37.6220 UTC | 2018/05/10 23:19:07.4574 UTC | 56250 |
|
|
|
|
|
Begin |
End | Number Profiles |
|---|---|---|
| 2018/05/10 23:19:07.5070 UTC | 2018/05/11 00:11:30.6923 UTC | 63375 |
|
|
|
|
|
























































































































