|
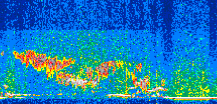
Displayed on this page are scaled, color-modulated, altitude-time images of CALIPSO attenuated backscatter (/km/sr) including:
- 532 nm total (parallel + perpendicular) attenuated backscatter
- 532 nm perpendicular attenuated backscatter
- 1064 nm total attenuated backscatter
The orbit track locations for the entire Level 1 .hdf file are in black and the orbit track locations corresponding to this page are color coded.
For the full scale images:
- the color bars for attenuated backscatter show the colors assigned to ranges of attenuated backscatter, /km/sr
- the horizontal axes are annotated with latitude (deg) and longitude (deg)
- the vertical axes are annotated to indicate altitude in kilometers
- the date and time of the measurements are listed as UTC time
- the names of the CALIPSO data products for the Lidar Level 1 attenuated backscatter granules are included
The scaled images on this page are organized by CALIPSO data product day and night orbit granules.
The maps with a shaded background indicate nightime measurements.
There are a maximum of 4 scaled images per granule.
The orbit tracks plotted on the maps show the measurement locations for each granule.
For each granule, the scaled images are ordered from left to right and their locations along the orbit tracks are color coded as: image one, image two, image three, image four.
Begin |
End | Number Profiles |
|---|---|---|
| 2018/06/10 00:24:51.3769 UTC | 2018/06/10 01:11:24.1683 UTC | 56310 |
|
|
|
|
|
Begin |
End | Number Profiles |
|---|---|---|
| 2018/06/10 01:11:24.2179 UTC | 2018/06/10 02:03:44.4064 UTC | 63315 |
|
|
|
|
|
Begin |
End | Number Profiles |
|---|---|---|
| 2018/06/10 02:03:44.4560 UTC | 2018/06/10 02:50:17.2463 UTC | 56310 |
|
|
|
|
|
Begin |
End | Number Profiles |
|---|---|---|
| 2018/06/10 02:50:17.2959 UTC | 2018/06/10 03:42:37.4834 UTC | 63315 |
|
|
|
|
|
Begin |
End | Number Profiles |
|---|---|---|
| 2018/06/10 03:42:37.5330 UTC | 2018/06/10 04:29:10.3214 UTC | 56310 |
|
|
|
|
|
Begin |
End | Number Profiles |
|---|---|---|
| 2018/06/10 04:29:10.3709 UTC | 2018/06/10 05:21:30.5584 UTC | 63315 |
|
|
|
|
|
Begin |
End | Number Profiles |
|---|---|---|
| 2018/06/10 05:21:30.6080 UTC | 2018/06/10 06:08:03.3983 UTC | 56310 |
|
|
|
|
|
Begin |
End | Number Profiles |
|---|---|---|
| 2018/06/10 06:08:03.4479 UTC | 2018/06/10 07:00:23.6344 UTC | 63315 |
|
|
|
|
|
Begin |
End | Number Profiles |
|---|---|---|
| 2018/06/10 07:00:23.6840 UTC | 2018/06/10 07:46:56.4724 UTC | 56310 |
|
|
|
|
|
Begin |
End | Number Profiles |
|---|---|---|
| 2018/06/10 07:46:56.5220 UTC | 2018/06/10 08:39:17.4523 UTC | 63330 |
|
|
|
|
|
Begin |
End | Number Profiles |
|---|---|---|
| 2018/06/10 08:39:17.5019 UTC | 2018/06/10 09:25:50.2903 UTC | 56310 |
|
|
|
|
|
Begin |
End | Number Profiles |
|---|---|---|
| 2018/06/10 09:25:50.3399 UTC | 2018/06/10 10:18:10.5263 UTC | 63315 |
|
|
|
|
|
Begin |
End | Number Profiles |
|---|---|---|
| 2018/06/10 10:18:10.5759 UTC | 2018/06/10 11:04:43.3654 UTC | 56310 |
|
|
|
|
|
Begin |
End | Number Profiles |
|---|---|---|
| 2018/06/10 11:04:43.4149 UTC | 2018/06/10 11:57:03.6024 UTC | 63315 |
|
|
|
|
|
Begin |
End | Number Profiles |
|---|---|---|
| 2018/06/10 11:57:03.6520 UTC | 2018/06/10 12:43:36.4423 UTC | 56310 |
|
|
|
|
|
Begin |
End | Number Profiles |
|---|---|---|
| 2018/06/10 12:43:36.4919 UTC | 2018/06/10 13:35:56.6804 UTC | 63315 |
|
|
|
|
|
Begin |
End | Number Profiles |
|---|---|---|
| 2018/06/10 13:35:56.7300 UTC | 2018/06/10 14:22:29.5224 UTC | 56310 |
|
|
|
|
|
Begin |
End | Number Profiles |
|---|---|---|
| 2018/06/10 14:22:29.5720 UTC | 2018/06/10 15:14:49.0164 UTC | 63300 |
|
|
|
|
|
Begin |
End | Number Profiles |
|---|---|---|
| 2018/06/10 15:14:49.0660 UTC | 2018/06/10 16:01:22.6004 UTC | 56325 |
|
|
|
|
|
Begin |
End | Number Profiles |
|---|---|---|
| 2018/06/10 16:01:22.6500 UTC | 2018/06/10 16:53:42.0934 UTC | 63300 |
|
|
|
|
|
Begin |
End | Number Profiles |
|---|---|---|
| 2018/06/10 16:53:42.1430 UTC | 2018/06/10 17:40:15.6744 UTC | 56325 |
|
|
|
|
|
Begin |
End | Number Profiles |
|---|---|---|
| 2018/06/10 17:40:15.7240 UTC | 2018/06/10 18:32:35.1644 UTC | 63300 |
|
|
|
|
|
Begin |
End | Number Profiles |
|---|---|---|
| 2018/06/10 18:32:35.2140 UTC | 2018/06/10 19:19:08.0004 UTC | 56310 |
|
|
|
|
|
Begin |
End | Number Profiles |
|---|---|---|
| 2018/06/10 19:19:08.0500 UTC | 2018/06/10 20:11:28.2343 UTC | 63315 |
|
|
|
|
|
Begin |
End | Number Profiles |
|---|---|---|
| 2018/06/10 20:11:28.2839 UTC | 2018/06/10 20:58:02.5594 UTC | 56340 |
|
|
|
|
|
Begin |
End | Number Profiles |
|---|---|---|
| 2018/06/10 20:58:02.6090 UTC | 2018/06/10 21:50:22.0504 UTC | 63300 |
|
|
|
|
|
Begin |
End | Number Profiles |
|---|---|---|
| 2018/06/10 21:50:22.1000 UTC | 2018/06/10 22:36:55.6314 UTC | 56325 |
|
|
|
|
|
Begin |
End | Number Profiles |
|---|---|---|
| 2018/06/10 22:36:55.6810 UTC | 2018/06/10 23:29:15.1244 UTC | 63300 |
|
|
|
|
|
Begin |
End | Number Profiles |
|---|---|---|
| 2018/06/10 23:29:15.1740 UTC | 2018/06/11 00:15:48.7073 UTC | 56325 |
|
|
|
|
|
























































































































