|
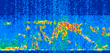
Displayed on this page are scaled, color-modulated, altitude-time images of CALIPSO attenuated backscatter (/km/sr) including:
- 532 nm total (parallel + perpendicular) attenuated backscatter
- 532 nm perpendicular attenuated backscatter
- 1064 nm total attenuated backscatter
The orbit track locations for the entire Level 1 .hdf file are in black and the orbit track locations corresponding to this page are color coded.
For the full scale images:
- the color bars for attenuated backscatter show the colors assigned to ranges of attenuated backscatter, /km/sr
- the horizontal axes are annotated with latitude (deg) and longitude (deg)
- the vertical axes are annotated to indicate altitude in kilometers
- the date and time of the measurements are listed as UTC time
- the names of the CALIPSO data products for the Lidar Level 1 attenuated backscatter granules are included
The scaled images on this page are organized by CALIPSO data product day and night orbit granules.
The maps with a shaded background indicate nightime measurements.
There are a maximum of 4 scaled images per granule.
The orbit tracks plotted on the maps show the measurement locations for each granule.
For each granule, the scaled images are ordered from left to right and their locations along the orbit tracks are color coded as: image one, image two, image three, image four.
Begin |
End | Number Profiles |
|---|---|---|
| 2018/06/17 00:31:09.0539 UTC | 2018/06/17 01:17:43.3264 UTC | 56340 |
|
|
|
|
|
Begin |
End | Number Profiles |
|---|---|---|
| 2018/06/17 01:17:43.3760 UTC | 2018/06/17 02:10:02.0704 UTC | 63285 |
|
|
|
|
|
Begin |
End | Number Profiles |
|---|---|---|
| 2018/06/17 02:10:02.1200 UTC | 2018/06/17 02:56:36.3904 UTC | 56340 |
|
|
|
|
|
Begin |
End | Number Profiles |
|---|---|---|
| 2018/06/17 02:56:36.4400 UTC | 2018/06/17 03:48:55.1334 UTC | 63285 |
|
|
|
|
|
Begin |
End | Number Profiles |
|---|---|---|
| 2018/06/17 03:48:55.1830 UTC | 2018/06/17 04:35:29.4543 UTC | 56340 |
|
|
|
|
|
Begin |
End | Number Profiles |
|---|---|---|
| 2018/06/17 04:35:29.5039 UTC | 2018/06/17 05:27:48.1984 UTC | 63285 |
|
|
|
|
|
Begin |
End | Number Profiles |
|---|---|---|
| 2018/06/17 05:27:48.2480 UTC | 2018/06/17 06:14:22.5193 UTC | 56340 |
|
|
|
|
|
Begin |
End | Number Profiles |
|---|---|---|
| 2018/06/17 06:14:22.5690 UTC | 2018/06/17 07:06:42.0073 UTC | 63300 |
|
|
|
|
|
Begin |
End | Number Profiles |
|---|---|---|
| 2018/06/17 07:06:42.0569 UTC | 2018/06/17 07:53:15.5844 UTC | 56325 |
|
|
|
|
|
Begin |
End | Number Profiles |
|---|---|---|
| 2018/06/17 07:53:15.6340 UTC | 2018/06/17 08:45:35.0734 UTC | 63300 |
|
|
|
|
|
Begin |
End | Number Profiles |
|---|---|---|
| 2018/06/17 08:45:35.1230 UTC | 2018/06/17 09:32:08.6503 UTC | 56325 |
|
|
|
|
|
Begin |
End | Number Profiles |
|---|---|---|
| 2018/06/17 09:32:08.6999 UTC | 2018/06/17 10:24:28.1384 UTC | 63300 |
|
|
|
|
|
Begin |
End | Number Profiles |
|---|---|---|
| 2018/06/17 10:24:28.1880 UTC | 2018/06/17 11:11:00.9723 UTC | 56310 |
|
|
|
|
|
Begin |
End | Number Profiles |
|---|---|---|
| 2018/06/17 11:11:01.0219 UTC | 2018/06/17 12:03:21.2034 UTC | 63315 |
|
|
|
|
|
Begin |
End | Number Profiles |
|---|---|---|
| 2018/06/17 12:03:21.2530 UTC | 2018/06/17 12:49:54.0373 UTC | 56310 |
|
|
|
|
|
Begin |
End | Number Profiles |
|---|---|---|
| 2018/06/17 12:49:54.0870 UTC | 2018/06/17 13:42:14.2704 UTC | 63315 |
|
|
|
|
|
Begin |
End | Number Profiles |
|---|---|---|
| 2018/06/17 13:42:14.3200 UTC | 2018/06/17 14:28:47.1054 UTC | 56310 |
|
|
|
|
|
Begin |
End | Number Profiles |
|---|---|---|
| 2018/06/17 14:28:47.1550 UTC | 2018/06/17 15:21:07.3384 UTC | 63315 |
|
|
|
|
|
Begin |
End | Number Profiles |
|---|---|---|
| 2018/06/17 15:21:07.3880 UTC | 2018/06/17 16:07:40.1724 UTC | 56310 |
|
|
|
|
|
Begin |
End | Number Profiles |
|---|---|---|
| 2018/06/17 16:07:40.2220 UTC | 2018/06/17 17:00:00.4034 UTC | 63315 |
|
|
|
|
|
Begin |
End | Number Profiles |
|---|---|---|
| 2018/06/17 17:00:00.4530 UTC | 2018/06/17 17:46:33.2354 UTC | 56310 |
|
|
|
|
|
Begin |
End | Number Profiles |
|---|---|---|
| 2018/06/17 17:46:33.2850 UTC | 2018/06/17 18:38:53.4654 UTC | 63315 |
|
|
|
|
|
Begin |
End | Number Profiles |
|---|---|---|
| 2018/06/17 18:38:53.5150 UTC | 2018/06/17 19:25:27.0414 UTC | 56325 |
|
|
|
|
|
Begin |
End | Number Profiles |
|---|---|---|
| 2018/06/17 19:25:27.0909 UTC | 2018/06/17 20:17:46.5274 UTC | 63300 |
|
|
|
|
|
Begin |
End | Number Profiles |
|---|---|---|
| 2018/06/17 20:17:46.5770 UTC | 2018/06/17 21:04:20.1034 UTC | 56325 |
|
|
|
|
|
Begin |
End | Number Profiles |
|---|---|---|
| 2018/06/17 21:04:20.1529 UTC | 2018/06/17 21:56:39.5903 UTC | 63300 |
|
|
|
|
|
Begin |
End | Number Profiles |
|---|---|---|
| 2018/06/17 21:56:39.6399 UTC | 2018/06/17 22:43:13.1674 UTC | 56325 |
|
|
|
|
|
Begin |
End | Number Profiles |
|---|---|---|
| 2018/06/17 22:43:13.2170 UTC | 2018/06/17 23:35:33.3984 UTC | 63315 |
|
|
|
|
|
Begin |
End | Number Profiles |
|---|---|---|
| 2018/06/17 23:35:33.4479 UTC | 2018/06/18 00:22:06.2324 UTC | 56310 |
|
|
|
|
|
























































































































