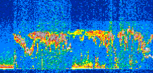
|
Displayed on this page are scaled, color-modulated, altitude-time images of CALIPSO attenuated backscatter (/km/sr) including:
- 532 nm total (parallel + perpendicular) attenuated backscatter
- 532 nm perpendicular attenuated backscatter
- 1064 nm total attenuated backscatter
The orbit track locations for the entire Level 1 .hdf file are in black and the orbit track locations corresponding to this page are color coded.
For the full scale images:
- the color bars for attenuated backscatter show the colors assigned to ranges of attenuated backscatter, /km/sr
- the horizontal axes are annotated with latitude (deg) and longitude (deg)
- the vertical axes are annotated to indicate altitude in kilometers
- the date and time of the measurements are listed as UTC time
- the names of the CALIPSO data products for the Lidar Level 1 attenuated backscatter granules are included
The scaled images on this page are organized by CALIPSO data product day and night orbit granules.
The maps with a shaded background indicate nightime measurements.
There are a maximum of 4 scaled images per granule.
The orbit tracks plotted on the maps show the measurement locations for each granule.
For each granule, the scaled images are ordered from left to right and their locations along the orbit tracks are color coded as: image one, image two, image three, image four.
Begin |
End | Number Profiles |
|---|---|---|
| 2018/06/23 00:40:40.6490 UTC | 2018/06/23 01:32:59.3404 UTC | 63285 |
|
|
|
|
|
Begin |
End | Number Profiles |
|---|---|---|
| 2018/06/23 01:32:59.3900 UTC | 2018/06/23 02:19:33.6604 UTC | 56340 |
|
|
|
|
|
Begin |
End | Number Profiles |
|---|---|---|
| 2018/06/23 02:19:33.7099 UTC | 2018/06/23 03:11:52.4024 UTC | 63285 |
|
|
|
|
|
Begin |
End | Number Profiles |
|---|---|---|
| 2018/06/23 03:11:52.4520 UTC | 2018/06/23 03:58:25.9763 UTC | 56325 |
|
|
|
|
|
Begin |
End | Number Profiles |
|---|---|---|
| 2018/06/23 03:58:26.0259 UTC | 2018/06/23 04:50:45.4624 UTC | 63300 |
|
|
|
|
|
Begin |
End | Number Profiles |
|---|---|---|
| 2018/06/23 04:50:45.5120 UTC | 2018/06/23 05:37:19.0364 UTC | 56325 |
|
|
|
|
|
Begin |
End | Number Profiles |
|---|---|---|
| 2018/06/23 05:37:19.0860 UTC | 2018/06/23 06:29:38.5214 UTC | 63300 |
|
|
|
|
|
Begin |
End | Number Profiles |
|---|---|---|
| 2018/06/23 06:29:38.5710 UTC | 2018/06/23 07:16:12.0954 UTC | 56325 |
|
|
|
|
|
Begin |
End | Number Profiles |
|---|---|---|
| 2018/06/23 07:16:12.1450 UTC | 2018/06/23 08:08:31.5804 UTC | 63300 |
|
|
|
|
|
Begin |
End | Number Profiles |
|---|---|---|
| 2018/06/23 08:08:31.6300 UTC | 2018/06/23 08:55:05.1544 UTC | 56325 |
|
|
|
|
|
Begin |
End | Number Profiles |
|---|---|---|
| 2018/06/23 08:55:05.2040 UTC | 2018/06/23 09:47:24.6403 UTC | 63300 |
|
|
|
|
|
Begin |
End | Number Profiles |
|---|---|---|
| 2018/06/23 09:47:24.6899 UTC | 2018/06/23 10:33:58.2154 UTC | 56325 |
|
|
|
|
|
Begin |
End | Number Profiles |
|---|---|---|
| 2018/06/23 10:33:58.2650 UTC | 2018/06/23 11:26:17.7014 UTC | 63300 |
|
|
|
|
|
Begin |
End | Number Profiles |
|---|---|---|
| 2018/06/23 23:18:06.1319 UTC | 2018/06/23 23:45:02.7043 UTC | 32595 |
|
|
|
|
|
|
Begin |
End | Number Profiles |
|---|---|---|
| 2018/06/23 23:45:02.7539 UTC | 2018/06/24 00:37:22.1913 UTC | 63300 |
|
|
|
|
|




























































