|
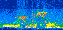
Displayed on this page are scaled, color-modulated, altitude-time images of CALIPSO attenuated backscatter (/km/sr) including:
- 532 nm total (parallel + perpendicular) attenuated backscatter
- 532 nm perpendicular attenuated backscatter
- 1064 nm total attenuated backscatter
The orbit track locations for the entire Level 1 .hdf file are in black and the orbit track locations corresponding to this page are color coded.
For the full scale images:
- the color bars for attenuated backscatter show the colors assigned to ranges of attenuated backscatter, /km/sr
- the horizontal axes are annotated with latitude (deg) and longitude (deg)
- the vertical axes are annotated to indicate altitude in kilometers
- the date and time of the measurements are listed as UTC time
- the names of the CALIPSO data products for the Lidar Level 1 attenuated backscatter granules are included
The scaled images on this page are organized by CALIPSO data product day and night orbit granules.
The maps with a shaded background indicate nightime measurements.
There are a maximum of 4 scaled images per granule.
The orbit tracks plotted on the maps show the measurement locations for each granule.
For each granule, the scaled images are ordered from left to right and their locations along the orbit tracks are color coded as: image one, image two, image three, image four.
Begin |
End | Number Profiles |
|---|---|---|
| 2018/06/28 00:12:36.6700 UTC | 2018/06/28 00:59:10.1944 UTC | 56325 |
|
|
|
|
|
Begin |
End | Number Profiles |
|---|---|---|
| 2018/06/28 00:59:10.2440 UTC | 2018/06/28 01:51:29.6784 UTC | 63300 |
|
|
|
|
|
Begin |
End | Number Profiles |
|---|---|---|
| 2018/06/28 01:51:29.7280 UTC | 2018/06/28 02:38:03.2513 UTC | 56325 |
|
|
|
|
|
Begin |
End | Number Profiles |
|---|---|---|
| 2018/06/28 02:38:03.3010 UTC | 2018/06/28 03:30:21.9914 UTC | 63285 |
|
|
|
|
|
Begin |
End | Number Profiles |
|---|---|---|
| 2018/06/28 03:30:22.0410 UTC | 2018/06/28 04:16:56.3084 UTC | 56340 |
|
|
|
|
|
Begin |
End | Number Profiles |
|---|---|---|
| 2018/06/28 04:16:56.3580 UTC | 2018/06/28 05:09:15.0474 UTC | 63285 |
|
|
|
|
|
Begin |
End | Number Profiles |
|---|---|---|
| 2018/06/28 05:09:15.0970 UTC | 2018/06/28 05:55:49.3654 UTC | 56340 |
|
|
|
|
|
Begin |
End | Number Profiles |
|---|---|---|
| 2018/06/28 05:55:49.4150 UTC | 2018/06/28 06:48:08.1044 UTC | 63285 |
|
|
|
|
|
Begin |
End | Number Profiles |
|---|---|---|
| 2018/06/28 06:48:08.1540 UTC | 2018/06/28 07:34:42.4214 UTC | 56340 |
|
|
|
|
|
Begin |
End | Number Profiles |
|---|---|---|
| 2018/06/28 07:34:42.4710 UTC | 2018/06/28 08:27:01.1603 UTC | 63285 |
|
|
|
|
|
Begin |
End | Number Profiles |
|---|---|---|
| 2018/06/28 08:27:01.2099 UTC | 2018/06/28 09:13:35.4773 UTC | 56340 |
|
|
|
|
|
Begin |
End | Number Profiles |
|---|---|---|
| 2018/06/28 09:13:35.5269 UTC | 2018/06/28 10:05:54.2163 UTC | 63285 |
|
|
|
|
|
Begin |
End | Number Profiles |
|---|---|---|
| 2018/06/28 10:05:54.2659 UTC | 2018/06/28 10:52:28.5354 UTC | 56340 |
|
|
|
|
|
Begin |
End | Number Profiles |
|---|---|---|
| 2018/06/28 10:52:28.5850 UTC | 2018/06/28 11:44:47.2744 UTC | 63285 |
|
|
|
|
|
Begin |
End | Number Profiles |
|---|---|---|
| 2018/06/28 11:44:47.3240 UTC | 2018/06/28 12:31:21.5944 UTC | 56340 |
|
|
|
|
|
Begin |
End | Number Profiles |
|---|---|---|
| 2018/06/28 12:31:21.6440 UTC | 2018/06/28 13:23:40.3364 UTC | 63285 |
|
|
|
|
|
Begin |
End | Number Profiles |
|---|---|---|
| 2018/06/28 13:23:40.3860 UTC | 2018/06/28 14:10:14.6573 UTC | 56340 |
|
|
|
|
|
Begin |
End | Number Profiles |
|---|---|---|
| 2018/06/28 14:10:14.7069 UTC | 2018/06/28 15:02:33.3984 UTC | 63285 |
|
|
|
|
|
Begin |
End | Number Profiles |
|---|---|---|
| 2018/06/28 15:02:33.4480 UTC | 2018/06/28 15:49:06.9724 UTC | 56325 |
|
|
|
|
|
Begin |
End | Number Profiles |
|---|---|---|
| 2018/06/28 15:49:07.0220 UTC | 2018/06/28 16:41:26.4543 UTC | 63300 |
|
|
|
|
|
Begin |
End | Number Profiles |
|---|---|---|
| 2018/06/28 16:41:26.5040 UTC | 2018/06/28 17:28:00.0274 UTC | 56325 |
|
|
|
|
|
Begin |
End | Number Profiles |
|---|---|---|
| 2018/06/28 17:28:00.0770 UTC | 2018/06/28 18:20:19.5084 UTC | 63300 |
|
|
|
|
|
Begin |
End | Number Profiles |
|---|---|---|
| 2018/06/28 18:20:19.5580 UTC | 2018/06/28 19:06:53.0794 UTC | 56325 |
|
|
|
|
|
Begin |
End | Number Profiles |
|---|---|---|
| 2018/06/28 19:06:53.1290 UTC | 2018/06/28 19:59:12.5603 UTC | 63300 |
|
|
|
|
|
Begin |
End | Number Profiles |
|---|---|---|
| 2018/06/28 19:59:12.6099 UTC | 2018/06/28 20:45:46.1313 UTC | 56325 |
|
|
|
|
|
Begin |
End | Number Profiles |
|---|---|---|
| 2018/06/28 20:45:46.1809 UTC | 2018/06/28 21:38:05.6123 UTC | 63300 |
|
|
|
|
|
Begin |
End | Number Profiles |
|---|---|---|
| 2018/06/28 21:38:05.6619 UTC | 2018/06/28 22:24:39.1833 UTC | 56325 |
|
|
|
|
|
Begin |
End | Number Profiles |
|---|---|---|
| 2018/06/28 22:24:39.2330 UTC | 2018/06/28 23:16:58.6644 UTC | 63300 |
|
|
|
|
|
Begin |
End | Number Profiles |
|---|---|---|
| 2018/06/28 23:16:58.7140 UTC | 2018/06/29 00:03:32.2374 UTC | 56325 |
|
|
|
|
|
























































































































