|
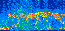
Displayed on this page are scaled, color-modulated, altitude-time images of CALIPSO attenuated backscatter (/km/sr) including:
- 532 nm total (parallel + perpendicular) attenuated backscatter
- 532 nm perpendicular attenuated backscatter
- 1064 nm total attenuated backscatter
The orbit track locations for the entire Level 1 .hdf file are in black and the orbit track locations corresponding to this page are color coded.
For the full scale images:
- the color bars for attenuated backscatter show the colors assigned to ranges of attenuated backscatter, /km/sr
- the horizontal axes are annotated with latitude (deg) and longitude (deg)
- the vertical axes are annotated to indicate altitude in kilometers
- the date and time of the measurements are listed as UTC time
- the names of the CALIPSO data products for the Lidar Level 1 attenuated backscatter granules are included
The scaled images on this page are organized by CALIPSO data product day and night orbit granules.
The maps with a shaded background indicate nightime measurements.
There are a maximum of 4 scaled images per granule.
The orbit tracks plotted on the maps show the measurement locations for each granule.
For each granule, the scaled images are ordered from left to right and their locations along the orbit tracks are color coded as: image one, image two, image three, image four.
Begin |
End | Number Profiles |
|---|---|---|
| 2018/07/09 00:40:22.3540 UTC | 2018/07/09 01:32:41.0424 UTC | 63285 |
|
|
|
|
|
Begin |
End | Number Profiles |
|---|---|---|
| 2018/07/09 01:32:41.0920 UTC | 2018/07/09 02:19:15.3594 UTC | 56340 |
|
|
|
|
|
Begin |
End | Number Profiles |
|---|---|---|
| 2018/07/09 02:19:15.4090 UTC | 2018/07/09 03:11:34.0973 UTC | 63285 |
|
|
|
|
|
Begin |
End | Number Profiles |
|---|---|---|
| 2018/07/09 03:11:34.1469 UTC | 2018/07/09 03:58:08.4124 UTC | 56340 |
|
|
|
|
|
Begin |
End | Number Profiles |
|---|---|---|
| 2018/07/09 03:58:08.4620 UTC | 2018/07/09 04:50:27.1504 UTC | 63285 |
|
|
|
|
|
Begin |
End | Number Profiles |
|---|---|---|
| 2018/07/09 04:50:27.2000 UTC | 2018/07/09 05:37:01.4674 UTC | 56340 |
|
|
|
|
|
Begin |
End | Number Profiles |
|---|---|---|
| 2018/07/09 05:37:01.5170 UTC | 2018/07/09 06:29:20.2044 UTC | 63285 |
|
|
|
|
|
Begin |
End | Number Profiles |
|---|---|---|
| 2018/07/09 06:29:20.2540 UTC | 2018/07/09 07:15:54.5214 UTC | 56340 |
|
|
|
|
|
Begin |
End | Number Profiles |
|---|---|---|
| 2018/07/09 07:15:54.5710 UTC | 2018/07/09 08:08:13.2573 UTC | 63285 |
|
|
|
|
|
Begin |
End | Number Profiles |
|---|---|---|
| 2018/07/09 08:08:13.3070 UTC | 2018/07/09 08:54:47.5734 UTC | 56340 |
|
|
|
|
|
Begin |
End | Number Profiles |
|---|---|---|
| 2018/07/09 08:54:47.6230 UTC | 2018/07/09 09:47:06.3114 UTC | 63285 |
|
|
|
|
|
Begin |
End | Number Profiles |
|---|---|---|
| 2018/07/09 09:47:06.3610 UTC | 2018/07/09 10:33:40.6284 UTC | 56340 |
|
|
|
|
|
Begin |
End | Number Profiles |
|---|---|---|
| 2018/07/09 10:33:40.6780 UTC | 2018/07/09 11:25:59.3663 UTC | 63285 |
|
|
|
|
|
Begin |
End | Number Profiles |
|---|---|---|
| 2018/07/09 11:25:59.4159 UTC | 2018/07/09 12:12:33.6844 UTC | 56340 |
|
|
|
|
|
Begin |
End | Number Profiles |
|---|---|---|
| 2018/07/09 12:12:33.7340 UTC | 2018/07/09 13:04:52.4254 UTC | 63285 |
|
|
|
|
|
Begin |
End | Number Profiles |
|---|---|---|
| 2018/07/09 13:04:52.4749 UTC | 2018/07/09 13:51:26.0004 UTC | 56325 |
|
|
|
|
|
Begin |
End | Number Profiles |
|---|---|---|
| 2018/07/09 13:51:26.0500 UTC | 2018/07/09 14:43:43.9964 UTC | 63270 |
|
|
|
|
|
Begin |
End | Number Profiles |
|---|---|---|
| 2018/07/09 14:43:44.0460 UTC | 2018/07/09 15:30:18.3123 UTC | 56340 |
|
|
|
|
|
Begin |
End | Number Profiles |
|---|---|---|
| 2018/07/09 15:30:18.3619 UTC | 2018/07/09 16:22:37.0494 UTC | 63285 |
|
|
|
|
|
Begin |
End | Number Profiles |
|---|---|---|
| 2018/07/09 16:22:37.0990 UTC | 2018/07/09 17:09:11.3644 UTC | 56340 |
|
|
|
|
|
Begin |
End | Number Profiles |
|---|---|---|
| 2018/07/09 17:09:11.4140 UTC | 2018/07/09 18:01:30.0994 UTC | 63285 |
|
|
|
|
|
Begin |
End | Number Profiles |
|---|---|---|
| 2018/07/09 18:01:30.1490 UTC | 2018/07/09 18:48:04.4124 UTC | 56340 |
|
|
|
|
|
Begin |
End | Number Profiles |
|---|---|---|
| 2018/07/09 18:48:04.4620 UTC | 2018/07/09 19:40:23.1474 UTC | 63285 |
|
|
|
|
|
Begin |
End | Number Profiles |
|---|---|---|
| 2018/07/09 19:40:23.1969 UTC | 2018/07/09 20:26:57.4603 UTC | 56340 |
|
|
|
|
|
Begin |
End | Number Profiles |
|---|---|---|
| 2018/07/09 20:26:57.5099 UTC | 2018/07/09 21:19:16.1933 UTC | 63285 |
|
|
|
|
|
Begin |
End | Number Profiles |
|---|---|---|
| 2018/07/09 21:19:16.2429 UTC | 2018/07/09 22:05:50.5044 UTC | 56340 |
|
|
|
|
|
Begin |
End | Number Profiles |
|---|---|---|
| 2018/07/09 22:05:50.5539 UTC | 2018/07/09 22:58:09.2374 UTC | 63285 |
|
|
|
|
|
Begin |
End | Number Profiles |
|---|---|---|
| 2018/07/09 22:58:09.2870 UTC | 2018/07/09 23:44:43.5514 UTC | 56340 |
|
|
|
|
|
Begin |
End | Number Profiles |
|---|---|---|
| 2018/07/09 23:44:43.6010 UTC | 2018/07/10 00:37:02.2883 UTC | 63285 |
|
|
|
|
|
























































































































