|
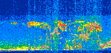
Displayed on this page are scaled, color-modulated, altitude-time images of CALIPSO attenuated backscatter (/km/sr) including:
- 532 nm total (parallel + perpendicular) attenuated backscatter
- 532 nm perpendicular attenuated backscatter
- 1064 nm total attenuated backscatter
The orbit track locations for the entire Level 1 .hdf file are in black and the orbit track locations corresponding to this page are color coded.
For the full scale images:
- the color bars for attenuated backscatter show the colors assigned to ranges of attenuated backscatter, /km/sr
- the horizontal axes are annotated with latitude (deg) and longitude (deg)
- the vertical axes are annotated to indicate altitude in kilometers
- the date and time of the measurements are listed as UTC time
- the names of the CALIPSO data products for the Lidar Level 1 attenuated backscatter granules are included
The scaled images on this page are organized by CALIPSO data product day and night orbit granules.
The maps with a shaded background indicate nightime measurements.
There are a maximum of 4 scaled images per granule.
The orbit tracks plotted on the maps show the measurement locations for each granule.
For each granule, the scaled images are ordered from left to right and their locations along the orbit tracks are color coded as: image one, image two, image three, image four.
Begin |
End | Number Profiles |
|---|---|---|
| 2018/07/21 00:18:00.5609 UTC | 2018/07/21 01:04:33.3414 UTC | 56310 |
|
|
|
|
|
Begin |
End | Number Profiles |
|---|---|---|
| 2018/07/21 01:04:33.3910 UTC | 2018/07/21 01:56:52.0824 UTC | 63285 |
|
|
|
|
|
Begin |
End | Number Profiles |
|---|---|---|
| 2018/07/21 01:56:52.1320 UTC | 2018/07/21 02:43:26.3994 UTC | 56340 |
|
|
|
|
|
Begin |
End | Number Profiles |
|---|---|---|
| 2018/07/21 02:43:26.4490 UTC | 2018/07/21 03:35:45.1384 UTC | 63285 |
|
|
|
|
|
Begin |
End | Number Profiles |
|---|---|---|
| 2018/07/21 03:35:45.1880 UTC | 2018/07/21 04:22:19.4564 UTC | 56340 |
|
|
|
|
|
Begin |
End | Number Profiles |
|---|---|---|
| 2018/07/21 04:22:19.5060 UTC | 2018/07/21 05:14:38.1963 UTC | 63285 |
|
|
|
|
|
Begin |
End | Number Profiles |
|---|---|---|
| 2018/07/21 05:14:38.2459 UTC | 2018/07/21 06:01:11.0283 UTC | 56310 |
|
|
|
|
|
Begin |
End | Number Profiles |
|---|---|---|
| 2018/07/21 06:01:11.0779 UTC | 2018/07/21 06:53:31.2574 UTC | 63315 |
|
|
|
|
|
Begin |
End | Number Profiles |
|---|---|---|
| 2018/07/21 06:53:31.3070 UTC | 2018/07/21 07:40:04.0873 UTC | 56310 |
|
|
|
|
|
Begin |
End | Number Profiles |
|---|---|---|
| 2018/07/21 07:40:04.1369 UTC | 2018/07/21 08:32:24.3154 UTC | 63315 |
|
|
|
|
|
Begin |
End | Number Profiles |
|---|---|---|
| 2018/07/21 08:32:24.3650 UTC | 2018/07/21 09:18:57.1454 UTC | 56310 |
|
|
|
|
|
Begin |
End | Number Profiles |
|---|---|---|
| 2018/07/21 09:18:57.1950 UTC | 2018/07/21 10:11:17.3744 UTC | 63315 |
|
|
|
|
|
Begin |
End | Number Profiles |
|---|---|---|
| 2018/07/21 10:11:17.4240 UTC | 2018/07/21 10:57:50.2074 UTC | 56310 |
|
|
|
|
|
Begin |
End | Number Profiles |
|---|---|---|
| 2018/07/21 10:57:50.2570 UTC | 2018/07/21 11:50:09.6934 UTC | 63300 |
|
|
|
|
|
Begin |
End | Number Profiles |
|---|---|---|
| 2018/07/21 11:50:09.7430 UTC | 2018/07/21 12:36:43.2703 UTC | 56325 |
|
|
|
|
|
Begin |
End | Number Profiles |
|---|---|---|
| 2018/07/21 12:36:43.3199 UTC | 2018/07/21 13:29:02.0124 UTC | 63285 |
|
|
|
|
|
Begin |
End | Number Profiles |
|---|---|---|
| 2018/07/21 13:29:02.0620 UTC | 2018/07/21 14:15:35.5914 UTC | 56325 |
|
|
|
|
|
Begin |
End | Number Profiles |
|---|---|---|
| 2018/07/21 14:15:35.6410 UTC | 2018/07/21 15:07:55.0774 UTC | 63300 |
|
|
|
|
|
Begin |
End | Number Profiles |
|---|---|---|
| 2018/07/21 15:07:55.1269 UTC | 2018/07/21 15:54:28.6534 UTC | 56325 |
|
|
|
|
|
Begin |
End | Number Profiles |
|---|---|---|
| 2018/07/21 15:54:28.7030 UTC | 2018/07/21 16:46:48.1384 UTC | 63300 |
|
|
|
|
|
Begin |
End | Number Profiles |
|---|---|---|
| 2018/07/21 16:46:48.1880 UTC | 2018/07/21 17:33:20.9664 UTC | 56310 |
|
|
|
|
|
Begin |
End | Number Profiles |
|---|---|---|
| 2018/07/21 17:33:21.0160 UTC | 2018/07/21 18:25:41.1924 UTC | 63315 |
|
|
|
|
|
Begin |
End | Number Profiles |
|---|---|---|
| 2018/07/21 18:25:41.2420 UTC | 2018/07/21 19:12:14.0194 UTC | 56310 |
|
|
|
|
|
Begin |
End | Number Profiles |
|---|---|---|
| 2018/07/21 19:12:14.0690 UTC | 2018/07/21 20:04:33.5024 UTC | 63300 |
|
|
|
|
|
Begin |
End | Number Profiles |
|---|---|---|
| 2018/07/21 20:04:33.5509 UTC | 2018/07/21 20:51:07.0744 UTC | 56325 |
|
|
|
|
|
Begin |
End | Number Profiles |
|---|---|---|
| 2018/07/21 20:51:07.1240 UTC | 2018/07/21 21:43:26.5564 UTC | 63300 |
|
|
|
|
|
Begin |
End | Number Profiles |
|---|---|---|
| 2018/07/21 21:43:26.6060 UTC | 2018/07/21 22:30:00.1283 UTC | 56325 |
|
|
|
|
|
Begin |
End | Number Profiles |
|---|---|---|
| 2018/07/21 22:30:00.1779 UTC | 2018/07/21 23:22:19.6114 UTC | 63300 |
|
|
|
|
|
Begin |
End | Number Profiles |
|---|---|---|
| 2018/07/21 23:22:19.6600 UTC | 2018/07/22 00:08:52.4413 UTC | 56310 |
|
|
|
|
|
























































































































