|
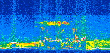
Displayed on this page are scaled, color-modulated, altitude-time images of CALIPSO attenuated backscatter (/km/sr) including:
- 532 nm total (parallel + perpendicular) attenuated backscatter
- 532 nm perpendicular attenuated backscatter
- 1064 nm total attenuated backscatter
The orbit track locations for the entire Level 1 .hdf file are in black and the orbit track locations corresponding to this page are color coded.
For the full scale images:
- the color bars for attenuated backscatter show the colors assigned to ranges of attenuated backscatter, /km/sr
- the horizontal axes are annotated with latitude (deg) and longitude (deg)
- the vertical axes are annotated to indicate altitude in kilometers
- the date and time of the measurements are listed as UTC time
- the names of the CALIPSO data products for the Lidar Level 1 attenuated backscatter granules are included
The scaled images on this page are organized by CALIPSO data product day and night orbit granules.
The maps with a shaded background indicate nightime measurements.
There are a maximum of 4 scaled images per granule.
The orbit tracks plotted on the maps show the measurement locations for each granule.
For each granule, the scaled images are ordered from left to right and their locations along the orbit tracks are color coded as: image one, image two, image three, image four.
Begin |
End | Number Profiles |
|---|---|---|
| 2018/07/27 00:27:06.6859 UTC | 2018/07/27 01:19:26.1233 UTC | 63300 |
|
|
|
|
|
Begin |
End | Number Profiles |
|---|---|---|
| 2018/07/27 01:19:26.1729 UTC | 2018/07/27 02:05:59.7013 UTC | 56325 |
|
|
|
|
|
Begin |
End | Number Profiles |
|---|---|---|
| 2018/07/27 02:05:59.7509 UTC | 2018/07/27 02:58:19.1883 UTC | 63285 |
|
|
|
|
|
Begin |
End | Number Profiles |
|---|---|---|
| 2018/07/27 02:58:19.2379 UTC | 2018/07/27 03:44:52.0224 UTC | 56310 |
|
|
|
|
|
Begin |
End | Number Profiles |
|---|---|---|
| 2018/07/27 03:44:52.0720 UTC | 2018/07/27 04:37:12.2554 UTC | 63315 |
|
|
|
|
|
Begin |
End | Number Profiles |
|---|---|---|
| 2018/07/27 04:37:12.3050 UTC | 2018/07/27 05:23:44.3463 UTC | 56295 |
|
|
|
|
|
Begin |
End | Number Profiles |
|---|---|---|
| 2018/07/27 05:23:44.3959 UTC | 2018/07/27 06:16:04.5793 UTC | 63315 |
|
|
|
|
|
Begin |
End | Number Profiles |
|---|---|---|
| 2018/07/27 06:16:04.6289 UTC | 2018/07/27 07:02:37.4143 UTC | 56310 |
|
|
|
|
|
Begin |
End | Number Profiles |
|---|---|---|
| 2018/07/27 07:02:37.4640 UTC | 2018/07/27 07:54:57.6464 UTC | 63315 |
|
|
|
|
|
Begin |
End | Number Profiles |
|---|---|---|
| 2018/07/27 07:54:57.6960 UTC | 2018/07/27 08:41:30.4804 UTC | 56310 |
|
|
|
|
|
Begin |
End | Number Profiles |
|---|---|---|
| 2018/07/27 08:41:30.5299 UTC | 2018/07/27 09:33:49.9684 UTC | 63300 |
|
|
|
|
|
Begin |
End | Number Profiles |
|---|---|---|
| 2018/07/27 09:33:50.0180 UTC | 2018/07/27 10:20:23.5464 UTC | 56325 |
|
|
|
|
|
Begin |
End | Number Profiles |
|---|---|---|
| 2018/07/27 10:20:23.5960 UTC | 2018/07/27 11:12:43.0353 UTC | 63300 |
|
|
|
|
|
Begin |
End | Number Profiles |
|---|---|---|
| 2018/07/27 11:12:43.0849 UTC | 2018/07/27 11:59:16.6144 UTC | 56325 |
|
|
|
|
|
Begin |
End | Number Profiles |
|---|---|---|
| 2018/07/27 11:59:16.6640 UTC | 2018/07/27 12:51:36.1043 UTC | 63300 |
|
|
|
|
|
Begin |
End | Number Profiles |
|---|---|---|
| 2018/07/27 12:51:36.1539 UTC | 2018/07/27 13:38:09.6854 UTC | 56325 |
|
|
|
|
|
Begin |
End | Number Profiles |
|---|---|---|
| 2018/07/27 13:38:09.7350 UTC | 2018/07/27 14:30:28.4314 UTC | 63285 |
|
|
|
|
|
Begin |
End | Number Profiles |
|---|---|---|
| 2018/07/27 14:30:28.4810 UTC | 2018/07/27 15:17:01.2674 UTC | 56310 |
|
|
|
|
|
Begin |
End | Number Profiles |
|---|---|---|
| 2018/07/27 15:17:01.3170 UTC | 2018/07/27 16:09:21.5004 UTC | 63315 |
|
|
|
|
|
Begin |
End | Number Profiles |
|---|---|---|
| 2018/07/27 16:09:21.5500 UTC | 2018/07/27 16:55:54.3344 UTC | 56310 |
|
|
|
|
|
Begin |
End | Number Profiles |
|---|---|---|
| 2018/07/27 16:55:54.3840 UTC | 2018/07/27 17:48:14.5644 UTC | 63315 |
|
|
|
|
|
Begin |
End | Number Profiles |
|---|---|---|
| 2018/07/27 17:48:14.6140 UTC | 2018/07/27 18:34:47.3974 UTC | 56310 |
|
|
|
|
|
Begin |
End | Number Profiles |
|---|---|---|
| 2018/07/27 18:34:47.4470 UTC | 2018/07/27 19:27:07.6294 UTC | 63315 |
|
|
|
|
|
Begin |
End | Number Profiles |
|---|---|---|
| 2018/07/27 19:27:07.6790 UTC | 2018/07/27 20:13:40.4624 UTC | 56310 |
|
|
|
|
|
Begin |
End | Number Profiles |
|---|---|---|
| 2018/07/27 20:13:40.5120 UTC | 2018/07/27 21:06:00.6914 UTC | 63315 |
|
|
|
|
|
Begin |
End | Number Profiles |
|---|---|---|
| 2018/07/27 21:06:00.7410 UTC | 2018/07/27 21:52:32.0354 UTC | 56280 |
|
|
|
|
|
Begin |
End | Number Profiles |
|---|---|---|
| 2018/07/27 21:52:32.0850 UTC | 2018/07/27 22:44:52.2643 UTC | 63315 |
|
|
|
|
|
Begin |
End | Number Profiles |
|---|---|---|
| 2018/07/27 22:44:52.3139 UTC | 2018/07/27 23:31:25.0974 UTC | 56310 |
|
|
|
|
|
Begin |
End | Number Profiles |
|---|---|---|
| 2018/07/27 23:31:25.1470 UTC | 2018/07/28 00:23:45.3304 UTC | 63315 |
|
|
|
|
|
























































































































