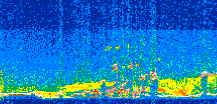
|
Displayed on this page are scaled, color-modulated, altitude-time images of CALIPSO attenuated backscatter (/km/sr) including:
- 532 nm total (parallel + perpendicular) attenuated backscatter
- 532 nm perpendicular attenuated backscatter
- 1064 nm total attenuated backscatter
The orbit track locations for the entire Level 1 .hdf file are in black and the orbit track locations corresponding to this page are color coded.
For the full scale images:
- the color bars for attenuated backscatter show the colors assigned to ranges of attenuated backscatter, /km/sr
- the horizontal axes are annotated with latitude (deg) and longitude (deg)
- the vertical axes are annotated to indicate altitude in kilometers
- the date and time of the measurements are listed as UTC time
- the names of the CALIPSO data products for the Lidar Level 1 attenuated backscatter granules are included
The scaled images on this page are organized by CALIPSO data product day and night orbit granules.
The maps with a shaded background indicate nightime measurements.
There are a maximum of 4 scaled images per granule.
The orbit tracks plotted on the maps show the measurement locations for each granule.
For each granule, the scaled images are ordered from left to right and their locations along the orbit tracks are color coded as: image one, image two, image three, image four.
Begin |
End | Number Profiles |
|---|---|---|
| 2018/07/28 00:23:45.3800 UTC | 2018/07/28 01:10:18.1643 UTC | 56310 |
|
|
|
|
|
Begin |
End | Number Profiles |
|---|---|---|
| 2018/07/28 01:10:18.2139 UTC | 2018/07/28 02:02:38.3964 UTC | 63315 |
|
|
|
|
|
Begin |
End | Number Profiles |
|---|---|---|
| 2018/07/28 02:02:38.4460 UTC | 2018/07/28 02:49:11.2314 UTC | 56310 |
|
|
|
|
|
Begin |
End | Number Profiles |
|---|---|---|
| 2018/07/28 02:49:11.2810 UTC | 2018/07/28 03:41:31.4644 UTC | 63315 |
|
|
|
|
|
Begin |
End | Number Profiles |
|---|---|---|
| 2018/07/28 03:41:31.5140 UTC | 2018/07/28 04:28:03.5553 UTC | 56295 |
|
|
|
|
|
Begin |
End | Number Profiles |
|---|---|---|
| 2018/07/28 04:28:03.6049 UTC | 2018/07/28 05:20:23.0453 UTC | 63300 |
|
|
|
|
|
Begin |
End | Number Profiles |
|---|---|---|
| 2018/07/28 05:20:23.0950 UTC | 2018/07/28 06:06:56.6244 UTC | 56325 |
|
|
|
|
|
Begin |
End | Number Profiles |
|---|---|---|
| 2018/07/28 06:06:56.6740 UTC | 2018/07/28 06:59:16.1134 UTC | 63300 |
|
|
|
|
|
Begin |
End | Number Profiles |
|---|---|---|
| 2018/07/28 06:59:16.1630 UTC | 2018/07/28 07:45:49.6913 UTC | 56325 |
|
|
|
|
|
Begin |
End | Number Profiles |
|---|---|---|
| 2018/07/28 07:45:49.7410 UTC | 2018/07/28 08:38:09.1804 UTC | 63300 |
|
|
|
|
|
Begin |
End | Number Profiles |
|---|---|---|
| 2018/07/28 08:38:09.2300 UTC | 2018/07/28 09:24:42.0143 UTC | 56310 |
|
|
|
|
|
Begin |
End | Number Profiles |
|---|---|---|
| 2018/07/28 09:24:42.0639 UTC | 2018/07/28 10:17:02.2484 UTC | 63315 |
|
|
|
|
|
Begin |
End | Number Profiles |
|---|---|---|
| 2018/07/28 10:17:02.2980 UTC | 2018/07/28 11:03:35.0834 UTC | 56310 |
|
|
|
|
|
Begin |
End | Number Profiles |
|---|---|---|
| 2018/07/28 11:03:35.1330 UTC | 2018/07/28 11:55:55.3174 UTC | 63315 |
|
|
|
|
|
Begin |
End | Number Profiles |
|---|---|---|
| 2018/07/28 11:55:55.3670 UTC | 2018/07/28 12:42:27.4094 UTC | 56295 |
|
|
|
|
|
Begin |
End | Number Profiles |
|---|---|---|
| 2018/07/28 12:42:27.4590 UTC | 2018/07/28 13:34:47.6454 UTC | 63315 |
|
|
|
|
|
Begin |
End | Number Profiles |
|---|---|---|
| 2018/07/28 13:34:47.6950 UTC | 2018/07/28 14:21:20.4814 UTC | 56310 |
|
|
|
|
|
Begin |
End | Number Profiles |
|---|---|---|
| 2018/07/28 14:21:20.5310 UTC | 2018/07/28 15:13:39.9714 UTC | 63300 |
|
|
|
|
|
Begin |
End | Number Profiles |
|---|---|---|
| 2018/07/28 15:13:40.0210 UTC | 2018/07/28 16:00:13.5504 UTC | 56325 |
|
|
|
|
|
Begin |
End | Number Profiles |
|---|---|---|
| 2018/07/28 16:00:13.6000 UTC | 2018/07/28 16:52:33.0383 UTC | 63300 |
|
|
|
|
|
Begin |
End | Number Profiles |
|---|---|---|
| 2018/07/28 16:52:33.0880 UTC | 2018/07/28 17:39:05.1294 UTC | 56295 |
|
|
|
|
|
Begin |
End | Number Profiles |
|---|---|---|
| 2018/07/28 17:39:05.1790 UTC | 2018/07/28 18:31:26.1054 UTC | 63330 |
|
|
|
|
|
Begin |
End | Number Profiles |
|---|---|---|
| 2018/07/28 18:31:26.1550 UTC | 2018/07/28 19:17:58.1954 UTC | 56295 |
|
|
|
|
|
Begin |
End | Number Profiles |
|---|---|---|
| 2018/07/28 19:17:58.2450 UTC | 2018/07/28 20:10:18.4274 UTC | 63315 |
|
|
|
|
|
Begin |
End | Number Profiles |
|---|---|---|
| 2018/07/28 20:10:18.4770 UTC | 2018/07/28 20:56:51.2604 UTC | 56310 |
|
|
|
|
|
Begin |
End | Number Profiles |
|---|---|---|
| 2018/07/28 20:56:51.3100 UTC | 2018/07/28 21:49:11.4894 UTC | 63315 |
|
|
|
|
|
Begin |
End | Number Profiles |
|---|---|---|
| 2018/07/28 21:49:11.5390 UTC | 2018/07/28 22:35:44.3224 UTC | 56310 |
|
|
|
|
|
Begin |
End | Number Profiles |
|---|---|---|
| 2018/07/28 22:35:44.3720 UTC | 2018/07/28 23:28:04.5544 UTC | 63315 |
|
|
|
|
|
Begin |
End | Number Profiles |
|---|---|---|
| 2018/07/28 23:28:04.6040 UTC | 2018/07/29 00:14:37.3894 UTC | 56310 |
|
|
|
|
|
























































































































