|
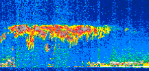
Displayed on this page are scaled, color-modulated, altitude-time images of CALIPSO attenuated backscatter (/km/sr) including:
- 532 nm total (parallel + perpendicular) attenuated backscatter
- 532 nm perpendicular attenuated backscatter
- 1064 nm total attenuated backscatter
The orbit track locations for the entire Level 1 .hdf file are in black and the orbit track locations corresponding to this page are color coded.
For the full scale images:
- the color bars for attenuated backscatter show the colors assigned to ranges of attenuated backscatter, /km/sr
- the horizontal axes are annotated with latitude (deg) and longitude (deg)
- the vertical axes are annotated to indicate altitude in kilometers
- the date and time of the measurements are listed as UTC time
- the names of the CALIPSO data products for the Lidar Level 1 attenuated backscatter granules are included
The scaled images on this page are organized by CALIPSO data product day and night orbit granules.
The maps with a shaded background indicate nightime measurements.
There are a maximum of 4 scaled images per granule.
The orbit tracks plotted on the maps show the measurement locations for each granule.
For each granule, the scaled images are ordered from left to right and their locations along the orbit tracks are color coded as: image one, image two, image three, image four.
Begin |
End | Number Profiles |
|---|---|---|
| 2019/01/02 00:11:23.7150 UTC | 2019/01/02 01:03:45.4893 UTC | 63345 |
|
|
|
|
|
Begin |
End | Number Profiles |
|---|---|---|
| 2019/01/02 01:03:45.5389 UTC | 2019/01/02 01:49:56.0993 UTC | 55860 |
|
|
|
|
|
Begin |
End | Number Profiles |
|---|---|---|
| 2019/01/02 01:49:56.1489 UTC | 2019/01/02 02:42:17.1793 UTC | 63330 |
|
|
|
|
|
Begin |
End | Number Profiles |
|---|---|---|
| 2019/01/02 02:42:17.2289 UTC | 2019/01/02 03:28:28.5344 UTC | 55875 |
|
|
|
|
|
Begin |
End | Number Profiles |
|---|---|---|
| 2019/01/02 03:28:28.5840 UTC | 2019/01/02 04:20:49.6164 UTC | 63330 |
|
|
|
|
|
Begin |
End | Number Profiles |
|---|---|---|
| 2019/01/02 04:20:49.6660 UTC | 2019/01/02 05:07:00.2283 UTC | 55860 |
|
|
|
|
|
Begin |
End | Number Profiles |
|---|---|---|
| 2019/01/02 05:07:00.2779 UTC | 2019/01/02 05:59:21.3094 UTC | 63330 |
|
|
|
|
|
Begin |
End | Number Profiles |
|---|---|---|
| 2019/01/02 05:59:21.3590 UTC | 2019/01/02 06:45:32.6654 UTC | 55875 |
|
|
|
|
|
Begin |
End | Number Profiles |
|---|---|---|
| 2019/01/02 06:45:32.7150 UTC | 2019/01/02 07:37:54.4913 UTC | 63345 |
|
|
|
|
|
Begin |
End | Number Profiles |
|---|---|---|
| 2019/01/02 07:37:54.5409 UTC | 2019/01/02 08:24:04.3593 UTC | 55845 |
|
|
|
|
|
Begin |
End | Number Profiles |
|---|---|---|
| 2019/01/02 08:24:04.4089 UTC | 2019/01/02 09:16:26.1873 UTC | 63270 |
|
|
|
|
|
Begin |
End | Number Profiles |
|---|---|---|
| 2019/01/02 09:16:26.2370 UTC | 2019/01/02 10:02:37.5424 UTC | 55875 |
|
|
|
|
|
Begin |
End | Number Profiles |
|---|---|---|
| 2019/01/02 10:02:37.5920 UTC | 2019/01/02 10:54:58.6233 UTC | 63330 |
|
|
|
|
|
Begin |
End | Number Profiles |
|---|---|---|
| 2019/01/02 10:54:58.6729 UTC | 2019/01/02 11:41:09.2344 UTC | 55860 |
|
|
|
|
|
Begin |
End | Number Profiles |
|---|---|---|
| 2019/01/02 11:41:09.2840 UTC | 2019/01/02 12:33:30.3154 UTC | 63330 |
|
|
|
|
|
Begin |
End | Number Profiles |
|---|---|---|
| 2019/01/02 12:33:30.3650 UTC | 2019/01/02 13:19:41.6734 UTC | 55875 |
|
|
|
|
|
Begin |
End | Number Profiles |
|---|---|---|
| 2019/01/02 13:19:41.7230 UTC | 2019/01/02 14:12:02.0134 UTC | 63315 |
|
|
|
|
|
Begin |
End | Number Profiles |
|---|---|---|
| 2019/01/02 14:12:02.0630 UTC | 2019/01/02 14:58:13.3704 UTC | 55875 |
|
|
|
|
|
Begin |
End | Number Profiles |
|---|---|---|
| 2019/01/02 14:58:13.4200 UTC | 2019/01/02 15:50:35.1974 UTC | 63345 |
|
|
|
|
|
Begin |
End | Number Profiles |
|---|---|---|
| 2019/01/02 15:50:35.2470 UTC | 2019/01/02 16:36:45.0654 UTC | 55845 |
|
|
|
|
|
Begin |
End | Number Profiles |
|---|---|---|
| 2019/01/02 16:36:45.1150 UTC | 2019/01/02 17:29:07.6344 UTC | 63360 |
|
|
|
|
|
Begin |
End | Number Profiles |
|---|---|---|
| 2019/01/02 17:29:07.6840 UTC | 2019/01/02 18:15:17.5014 UTC | 55845 |
|
|
|
|
|
Begin |
End | Number Profiles |
|---|---|---|
| 2019/01/02 18:15:17.5510 UTC | 2019/01/02 19:07:39.3264 UTC | 63345 |
|
|
|
|
|
Begin |
End | Number Profiles |
|---|---|---|
| 2019/01/02 19:07:39.3760 UTC | 2019/01/02 19:53:50.6824 UTC | 55875 |
|
|
|
|
|
Begin |
End | Number Profiles |
|---|---|---|
| 2019/01/02 19:53:50.7320 UTC | 2019/01/02 20:46:11.0184 UTC | 63315 |
|
|
|
|
|
Begin |
End | Number Profiles |
|---|---|---|
| 2019/01/02 20:46:11.0679 UTC | 2019/01/02 21:32:22.3733 UTC | 55875 |
|
|
|
|
|
Begin |
End | Number Profiles |
|---|---|---|
| 2019/01/02 21:32:22.4230 UTC | 2019/01/02 22:24:43.4524 UTC | 63330 |
|
|
|
|
|
Begin |
End | Number Profiles |
|---|---|---|
| 2019/01/02 22:24:43.5020 UTC | 2019/01/02 23:10:54.0633 UTC | 55860 |
|
|
|
|
|
Begin |
End | Number Profiles |
|---|---|---|
| 2019/01/02 23:10:54.1129 UTC | 2019/01/03 00:03:15.1424 UTC | 63330 |
|
|
|
|
|
























































































































