|
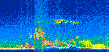
Displayed on this page are scaled, color-modulated, altitude-time images of CALIPSO attenuated backscatter (/km/sr) including:
- 532 nm total (parallel + perpendicular) attenuated backscatter
- 532 nm perpendicular attenuated backscatter
- 1064 nm total attenuated backscatter
The orbit track locations for the entire Level 1 .hdf file are in black and the orbit track locations corresponding to this page are color coded.
For the full scale images:
- the color bars for attenuated backscatter show the colors assigned to ranges of attenuated backscatter, /km/sr
- the horizontal axes are annotated with latitude (deg) and longitude (deg)
- the vertical axes are annotated to indicate altitude in kilometers
- the date and time of the measurements are listed as UTC time
- the names of the CALIPSO data products for the Lidar Level 1 attenuated backscatter granules are included
The scaled images on this page are organized by CALIPSO data product day and night orbit granules.
The maps with a shaded background indicate nightime measurements.
There are a maximum of 4 scaled images per granule.
The orbit tracks plotted on the maps show the measurement locations for each granule.
For each granule, the scaled images are ordered from left to right and their locations along the orbit tracks are color coded as: image one, image two, image three, image four.
Begin |
End | Number Profiles |
|---|---|---|
| 2019/05/05 00:20:29.6689 UTC | 2019/05/05 01:06:47.6194 UTC | 56010 |
|
|
|
|
|
Begin |
End | Number Profiles |
|---|---|---|
| 2019/05/05 01:06:47.6690 UTC | 2019/05/05 01:59:01.2023 UTC | 63180 |
|
|
|
|
|
Begin |
End | Number Profiles |
|---|---|---|
| 2019/05/05 01:59:01.2519 UTC | 2019/05/05 02:45:19.2014 UTC | 56010 |
|
|
|
|
|
Begin |
End | Number Profiles |
|---|---|---|
| 2019/05/05 02:45:19.2510 UTC | 2019/05/05 03:37:33.5273 UTC | 63195 |
|
|
|
|
|
Begin |
End | Number Profiles |
|---|---|---|
| 2019/05/05 03:37:33.5769 UTC | 2019/05/05 04:23:52.2694 UTC | 49695 |
|
|
|
|
|
Begin |
End | Number Profiles |
|---|---|---|
| 2019/05/05 04:23:52.3190 UTC | 2019/05/05 05:16:06.5964 UTC | 63195 |
|
|
|
|
|
Begin |
End | Number Profiles |
|---|---|---|
| 2019/05/05 05:16:06.6460 UTC | 2019/05/05 06:02:24.5954 UTC | 56010 |
|
|
|
|
|
Begin |
End | Number Profiles |
|---|---|---|
| 2019/05/05 06:02:24.6440 UTC | 2019/05/05 06:54:38.1774 UTC | 57885 |
|
|
|
|
|
Begin |
End | Number Profiles |
|---|---|---|
| 2019/05/05 06:54:38.2270 UTC | 2019/05/05 07:40:56.1753 UTC | 56010 |
|
|
|
|
|
Begin |
End | Number Profiles |
|---|---|---|
| 2019/05/05 07:40:56.2250 UTC | 2019/05/05 08:33:11.2444 UTC | 63210 |
|
|
|
|
|
Begin |
End | Number Profiles |
|---|---|---|
| 2019/05/05 08:33:11.2940 UTC | 2019/05/05 09:19:29.2424 UTC | 56010 |
|
|
|
|
|
Begin |
End | Number Profiles |
|---|---|---|
| 2019/05/05 09:19:29.2920 UTC | 2019/05/05 10:11:43.5683 UTC | 63195 |
|
|
|
|
|
Begin |
End | Number Profiles |
|---|---|---|
| 2019/05/05 10:11:43.6179 UTC | 2019/05/05 10:58:01.5653 UTC | 56010 |
|
|
|
|
|
Begin |
End | Number Profiles |
|---|---|---|
| 2019/05/05 10:58:01.6150 UTC | 2019/05/05 11:50:15.1464 UTC | 63180 |
|
|
|
|
|
Begin |
End | Number Profiles |
|---|---|---|
| 2019/05/05 11:50:15.1960 UTC | 2019/05/05 12:36:34.6333 UTC | 56040 |
|
|
|
|
|
Begin |
End | Number Profiles |
|---|---|---|
| 2019/05/05 12:36:34.6829 UTC | 2019/05/05 13:28:48.2153 UTC | 63180 |
|
|
|
|
|
Begin |
End | Number Profiles |
|---|---|---|
| 2019/05/05 13:28:48.2649 UTC | 2019/05/05 14:15:06.2133 UTC | 56010 |
|
|
|
|
|
Begin |
End | Number Profiles |
|---|---|---|
| 2019/05/05 14:15:06.2629 UTC | 2019/05/05 15:07:20.5384 UTC | 63195 |
|
|
|
|
|
Begin |
End | Number Profiles |
|---|---|---|
| 2019/05/05 15:07:20.5879 UTC | 2019/05/05 15:53:38.5344 UTC | 56010 |
|
|
|
|
|
Begin |
End | Number Profiles |
|---|---|---|
| 2019/05/05 15:53:38.5840 UTC | 2019/05/05 16:45:52.1134 UTC | 63180 |
|
|
|
|
|
Begin |
End | Number Profiles |
|---|---|---|
| 2019/05/05 16:45:52.1630 UTC | 2019/05/05 17:32:10.1083 UTC | 56010 |
|
|
|
|
|
Begin |
End | Number Profiles |
|---|---|---|
| 2019/05/05 17:32:10.1580 UTC | 2019/05/05 18:24:24.4333 UTC | 63195 |
|
|
|
|
|
Begin |
End | Number Profiles |
|---|---|---|
| 2019/05/05 18:24:24.4829 UTC | 2019/05/05 19:10:43.1744 UTC | 55605 |
|
|
|
|
|
Begin |
End | Number Profiles |
|---|---|---|
| 2019/05/05 19:10:43.2240 UTC | 2019/05/05 20:02:57.4994 UTC | 57480 |
|
|
|
|
|
Begin |
End | Number Profiles |
|---|---|---|
| 2019/05/05 20:02:57.5490 UTC | 2019/05/05 20:49:15.4953 UTC | 56010 |
|
|
|
|
|
Begin |
End | Number Profiles |
|---|---|---|
| 2019/05/05 20:49:15.5449 UTC | 2019/05/05 21:41:29.0764 UTC | 63180 |
|
|
|
|
|
Begin |
End | Number Profiles |
|---|---|---|
| 2019/05/05 21:41:29.1260 UTC | 2019/05/05 22:27:48.5614 UTC | 53895 |
|
|
|
|
|
Begin |
End | Number Profiles |
|---|---|---|
| 2019/05/05 22:27:48.6110 UTC | 2019/05/05 23:20:02.1434 UTC | 63180 |
|
|
|
|
|
Begin |
End | Number Profiles |
|---|---|---|
| 2019/05/05 23:20:02.1930 UTC | 2019/05/06 00:06:20.1424 UTC | 53940 |
|
|
|
|
|
























































































































