|
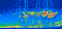
Displayed on this page are scaled, color-modulated, altitude-time images of CALIPSO attenuated backscatter (/km/sr) including:
- 532 nm total (parallel + perpendicular) attenuated backscatter
- 532 nm perpendicular attenuated backscatter
- 1064 nm total attenuated backscatter
The orbit track locations for the entire Level 1 .hdf file are in black and the orbit track locations corresponding to this page are color coded.
For the full scale images:
- the color bars for attenuated backscatter show the colors assigned to ranges of attenuated backscatter, /km/sr
- the horizontal axes are annotated with latitude (deg) and longitude (deg)
- the vertical axes are annotated to indicate altitude in kilometers
- the date and time of the measurements are listed as UTC time
- the names of the CALIPSO data products for the Lidar Level 1 attenuated backscatter granules are included
The scaled images on this page are organized by CALIPSO data product day and night orbit granules.
The maps with a shaded background indicate nightime measurements.
There are a maximum of 4 scaled images per granule.
The orbit tracks plotted on the maps show the measurement locations for each granule.
For each granule, the scaled images are ordered from left to right and their locations along the orbit tracks are color coded as: image one, image two, image three, image four.
Begin |
End | Number Profiles |
|---|---|---|
| 2019/05/21 00:38:24.2439 UTC | 2019/05/21 01:24:44.4114 UTC | 56055 |
|
|
|
|
|
Begin |
End | Number Profiles |
|---|---|---|
| 2019/05/21 01:24:44.4610 UTC | 2019/05/21 02:16:56.4924 UTC | 63150 |
|
|
|
|
|
Begin |
End | Number Profiles |
|---|---|---|
| 2019/05/21 02:16:56.5420 UTC | 2019/05/21 03:03:15.9654 UTC | 56040 |
|
|
|
|
|
Begin |
End | Number Profiles |
|---|---|---|
| 2019/05/21 03:03:16.0150 UTC | 2019/05/21 03:55:28.0453 UTC | 63150 |
|
|
|
|
|
Begin |
End | Number Profiles |
|---|---|---|
| 2019/05/21 03:55:28.0949 UTC | 2019/05/21 04:41:48.2654 UTC | 56055 |
|
|
|
|
|
Begin |
End | Number Profiles |
|---|---|---|
| 2019/05/21 04:41:48.3150 UTC | 2019/05/21 05:34:00.3483 UTC | 63150 |
|
|
|
|
|
Begin |
End | Number Profiles |
|---|---|---|
| 2019/05/21 05:34:00.3970 UTC | 2019/05/21 06:20:20.5664 UTC | 56055 |
|
|
|
|
|
Begin |
End | Number Profiles |
|---|---|---|
| 2019/05/21 06:20:20.6160 UTC | 2019/05/21 07:12:33.3904 UTC | 63165 |
|
|
|
|
|
Begin |
End | Number Profiles |
|---|---|---|
| 2019/05/21 07:12:33.4400 UTC | 2019/05/21 07:58:53.6073 UTC | 56055 |
|
|
|
|
|
Begin |
End | Number Profiles |
|---|---|---|
| 2019/05/21 07:58:53.6569 UTC | 2019/05/21 08:51:05.6874 UTC | 63150 |
|
|
|
|
|
Begin |
End | Number Profiles |
|---|---|---|
| 2019/05/21 08:51:05.7370 UTC | 2019/05/21 09:37:25.1604 UTC | 56040 |
|
|
|
|
|
Begin |
End | Number Profiles |
|---|---|---|
| 2019/05/21 09:37:25.2100 UTC | 2019/05/21 10:29:37.2404 UTC | 63150 |
|
|
|
|
|
Begin |
End | Number Profiles |
|---|---|---|
| 2019/05/21 10:29:37.2899 UTC | 2019/05/21 11:15:57.4583 UTC | 56055 |
|
|
|
|
|
Begin |
End | Number Profiles |
|---|---|---|
| 2019/05/21 11:15:57.5079 UTC | 2019/05/21 12:08:09.5403 UTC | 63150 |
|
|
|
|
|
Begin |
End | Number Profiles |
|---|---|---|
| 2019/05/21 12:08:09.5899 UTC | 2019/05/21 12:54:29.0174 UTC | 56040 |
|
|
|
|
|
Begin |
End | Number Profiles |
|---|---|---|
| 2019/05/21 12:54:29.0670 UTC | 2019/05/21 13:46:42.5893 UTC | 63180 |
|
|
|
|
|
Begin |
End | Number Profiles |
|---|---|---|
| 2019/05/21 13:46:42.6389 UTC | 2019/05/21 14:33:02.0664 UTC | 56040 |
|
|
|
|
|
Begin |
End | Number Profiles |
|---|---|---|
| 2019/05/21 14:33:02.1149 UTC | 2019/05/21 15:25:14.1484 UTC | 63150 |
|
|
|
|
|
Begin |
End | Number Profiles |
|---|---|---|
| 2019/05/21 15:25:14.1980 UTC | 2019/05/21 16:11:34.3664 UTC | 56055 |
|
|
|
|
|
Begin |
End | Number Profiles |
|---|---|---|
| 2019/05/21 16:11:34.4160 UTC | 2019/05/21 17:03:46.4463 UTC | 63150 |
|
|
|
|
|
Begin |
End | Number Profiles |
|---|---|---|
| 2019/05/21 17:03:46.4960 UTC | 2019/05/21 17:50:06.6644 UTC | 56055 |
|
|
|
|
|
Begin |
End | Number Profiles |
|---|---|---|
| 2019/05/21 17:50:06.7140 UTC | 2019/05/21 18:42:18.0013 UTC | 63135 |
|
|
|
|
|
Begin |
End | Number Profiles |
|---|---|---|
| 2019/05/21 18:42:18.0509 UTC | 2019/05/21 19:28:38.2194 UTC | 56055 |
|
|
|
|
|
Begin |
End | Number Profiles |
|---|---|---|
| 2019/05/21 19:28:38.2690 UTC | 2019/05/21 20:20:50.3004 UTC | 63150 |
|
|
|
|
|
Begin |
End | Number Profiles |
|---|---|---|
| 2019/05/21 20:20:50.3490 UTC | 2019/05/21 21:07:10.5173 UTC | 56055 |
|
|
|
|
|
Begin |
End | Number Profiles |
|---|---|---|
| 2019/05/21 21:07:10.5669 UTC | 2019/05/21 21:59:23.3424 UTC | 63165 |
|
|
|
|
|
Begin |
End | Number Profiles |
|---|---|---|
| 2019/05/21 21:59:23.3920 UTC | 2019/05/21 22:45:43.5593 UTC | 56055 |
|
|
|
|
|
Begin |
End | Number Profiles |
|---|---|---|
| 2019/05/21 22:45:43.6090 UTC | 2019/05/21 23:37:55.6394 UTC | 63150 |
|
|
|
|
|
Begin |
End | Number Profiles |
|---|---|---|
| 2019/05/21 23:37:55.6879 UTC | 2019/05/22 00:24:15.1124 UTC | 56040 |
|
|
|
|
|
























































































































