|
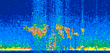
Displayed on this page are scaled, color-modulated, altitude-time images of CALIPSO attenuated backscatter (/km/sr) including:
- 532 nm total (parallel + perpendicular) attenuated backscatter
- 532 nm perpendicular attenuated backscatter
- 1064 nm total attenuated backscatter
The orbit track locations for the entire Level 1 .hdf file are in black and the orbit track locations corresponding to this page are color coded.
For the full scale images:
- the color bars for attenuated backscatter show the colors assigned to ranges of attenuated backscatter, /km/sr
- the horizontal axes are annotated with latitude (deg) and longitude (deg)
- the vertical axes are annotated to indicate altitude in kilometers
- the date and time of the measurements are listed as UTC time
- the names of the CALIPSO data products for the Lidar Level 1 attenuated backscatter granules are included
The scaled images on this page are organized by CALIPSO data product day and night orbit granules.
The maps with a shaded background indicate nightime measurements.
There are a maximum of 4 scaled images per granule.
The orbit tracks plotted on the maps show the measurement locations for each granule.
For each granule, the scaled images are ordered from left to right and their locations along the orbit tracks are color coded as: image one, image two, image three, image four.
Begin |
End | Number Profiles |
|---|---|---|
| 2019/05/26 00:31:34.5230 UTC | 2019/05/26 01:17:55.4334 UTC | 56070 |
|
|
|
|
|
Begin |
End | Number Profiles |
|---|---|---|
| 2019/05/26 01:17:55.4830 UTC | 2019/05/26 02:10:06.0224 UTC | 63120 |
|
|
|
|
|
Begin |
End | Number Profiles |
|---|---|---|
| 2019/05/26 02:10:06.0720 UTC | 2019/05/26 02:56:26.9793 UTC | 56070 |
|
|
|
|
|
Begin |
End | Number Profiles |
|---|---|---|
| 2019/05/26 02:56:27.0289 UTC | 2019/05/26 03:48:38.3124 UTC | 63135 |
|
|
|
|
|
Begin |
End | Number Profiles |
|---|---|---|
| 2019/05/26 03:48:38.3620 UTC | 2019/05/26 04:34:59.2694 UTC | 56070 |
|
|
|
|
|
Begin |
End | Number Profiles |
|---|---|---|
| 2019/05/26 04:34:59.3190 UTC | 2019/05/26 05:27:11.3474 UTC | 63150 |
|
|
|
|
|
Begin |
End | Number Profiles |
|---|---|---|
| 2019/05/26 05:27:11.3970 UTC | 2019/05/26 06:13:31.5614 UTC | 56055 |
|
|
|
|
|
Begin |
End | Number Profiles |
|---|---|---|
| 2019/05/26 06:13:31.6110 UTC | 2019/05/26 07:05:43.6394 UTC | 63150 |
|
|
|
|
|
Begin |
End | Number Profiles |
|---|---|---|
| 2019/05/26 07:05:43.6889 UTC | 2019/05/26 07:52:03.1094 UTC | 56040 |
|
|
|
|
|
Begin |
End | Number Profiles |
|---|---|---|
| 2019/05/26 07:52:03.1589 UTC | 2019/05/26 08:44:15.1864 UTC | 63150 |
|
|
|
|
|
Begin |
End | Number Profiles |
|---|---|---|
| 2019/05/26 08:44:15.2360 UTC | 2019/05/26 09:30:36.1453 UTC | 56070 |
|
|
|
|
|
Begin |
End | Number Profiles |
|---|---|---|
| 2019/05/26 09:30:36.1940 UTC | 2019/05/26 10:22:47.4794 UTC | 63135 |
|
|
|
|
|
Begin |
End | Number Profiles |
|---|---|---|
| 2019/05/26 10:22:47.5290 UTC | 2019/05/26 11:09:08.4374 UTC | 56070 |
|
|
|
|
|
Begin |
End | Number Profiles |
|---|---|---|
| 2019/05/26 11:09:08.4870 UTC | 2019/05/26 12:01:19.0284 UTC | 63120 |
|
|
|
|
|
Begin |
End | Number Profiles |
|---|---|---|
| 2019/05/26 12:01:19.0770 UTC | 2019/05/26 12:47:39.9884 UTC | 56070 |
|
|
|
|
|
Begin |
End | Number Profiles |
|---|---|---|
| 2019/05/26 12:47:40.0380 UTC | 2019/05/26 13:39:52.0674 UTC | 63150 |
|
|
|
|
|
Begin |
End | Number Profiles |
|---|---|---|
| 2019/05/26 13:39:52.1170 UTC | 2019/05/26 14:26:12.2834 UTC | 56055 |
|
|
|
|
|
Begin |
End | Number Profiles |
|---|---|---|
| 2019/05/26 14:26:12.3330 UTC | 2019/05/26 15:18:24.3623 UTC | 63150 |
|
|
|
|
|
Begin |
End | Number Profiles |
|---|---|---|
| 2019/05/26 15:18:24.4119 UTC | 2019/05/26 16:04:44.5774 UTC | 56055 |
|
|
|
|
|
Begin |
End | Number Profiles |
|---|---|---|
| 2019/05/26 16:04:44.6270 UTC | 2019/05/26 16:56:56.6554 UTC | 63150 |
|
|
|
|
|
Begin |
End | Number Profiles |
|---|---|---|
| 2019/05/26 16:56:56.7050 UTC | 2019/05/26 17:43:16.1263 UTC | 56040 |
|
|
|
|
|
Begin |
End | Number Profiles |
|---|---|---|
| 2019/05/26 17:43:16.1759 UTC | 2019/05/26 18:35:28.2043 UTC | 63150 |
|
|
|
|
|
Begin |
End | Number Profiles |
|---|---|---|
| 2019/05/26 18:35:28.2539 UTC | 2019/05/26 19:21:48.4184 UTC | 56055 |
|
|
|
|
|
Begin |
End | Number Profiles |
|---|---|---|
| 2019/05/26 19:21:48.4680 UTC | 2019/05/26 20:14:00.4964 UTC | 63150 |
|
|
|
|
|
Begin |
End | Number Profiles |
|---|---|---|
| 2019/05/26 20:14:00.5460 UTC | 2019/05/26 21:00:21.4533 UTC | 56070 |
|
|
|
|
|
Begin |
End | Number Profiles |
|---|---|---|
| 2019/05/26 21:00:21.5029 UTC | 2019/05/26 21:52:32.0433 UTC | 63120 |
|
|
|
|
|
Begin |
End | Number Profiles |
|---|---|---|
| 2019/05/26 21:52:32.0929 UTC | 2019/05/26 22:38:53.0013 UTC | 56070 |
|
|
|
|
|
Begin |
End | Number Profiles |
|---|---|---|
| 2019/05/26 22:38:53.0509 UTC | 2019/05/26 23:31:04.3343 UTC | 63135 |
|
|
|
|
|
Begin |
End | Number Profiles |
|---|---|---|
| 2019/05/26 23:31:04.3839 UTC | 2019/05/27 00:17:25.2923 UTC | 56070 |
|
|
|
|
|
























































































































