|
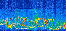
Displayed on this page are scaled, color-modulated, altitude-time images of CALIPSO attenuated backscatter (/km/sr) including:
- 532 nm total (parallel + perpendicular) attenuated backscatter
- 532 nm perpendicular attenuated backscatter
- 1064 nm total attenuated backscatter
The orbit track locations for the entire Level 1 .hdf file are in black and the orbit track locations corresponding to this page are color coded.
For the full scale images:
- the color bars for attenuated backscatter show the colors assigned to ranges of attenuated backscatter, /km/sr
- the horizontal axes are annotated with latitude (deg) and longitude (deg)
- the vertical axes are annotated to indicate altitude in kilometers
- the date and time of the measurements are listed as UTC time
- the names of the CALIPSO data products for the Lidar Level 1 attenuated backscatter granules are included
The scaled images on this page are organized by CALIPSO data product day and night orbit granules.
The maps with a shaded background indicate nightime measurements.
There are a maximum of 4 scaled images per granule.
The orbit tracks plotted on the maps show the measurement locations for each granule.
For each granule, the scaled images are ordered from left to right and their locations along the orbit tracks are color coded as: image one, image two, image three, image four.
Begin |
End | Number Profiles |
|---|---|---|
| 2019/06/05 00:17:45.1670 UTC | 2019/06/05 01:04:06.0694 UTC | 56070 |
|
|
|
|
|
Begin |
End | Number Profiles |
|---|---|---|
| 2019/06/05 01:04:06.1190 UTC | 2019/06/05 01:56:17.3954 UTC | 63135 |
|
|
|
|
|
Begin |
End | Number Profiles |
|---|---|---|
| 2019/06/05 01:56:17.4449 UTC | 2019/06/05 02:42:38.3474 UTC | 56070 |
|
|
|
|
|
Begin |
End | Number Profiles |
|---|---|---|
| 2019/06/05 02:42:38.3970 UTC | 2019/06/05 03:34:49.6744 UTC | 63135 |
|
|
|
|
|
Begin |
End | Number Profiles |
|---|---|---|
| 2019/06/05 03:34:49.7240 UTC | 2019/06/05 04:21:10.6254 UTC | 56070 |
|
|
|
|
|
Begin |
End | Number Profiles |
|---|---|---|
| 2019/06/05 04:21:10.6749 UTC | 2019/06/05 05:13:21.2083 UTC | 63120 |
|
|
|
|
|
Begin |
End | Number Profiles |
|---|---|---|
| 2019/06/05 05:13:21.2579 UTC | 2019/06/05 05:59:42.1603 UTC | 56070 |
|
|
|
|
|
Begin |
End | Number Profiles |
|---|---|---|
| 2019/06/05 05:59:42.2099 UTC | 2019/06/05 06:51:53.4844 UTC | 63135 |
|
|
|
|
|
Begin |
End | Number Profiles |
|---|---|---|
| 2019/06/05 06:51:53.5340 UTC | 2019/06/05 07:38:15.1774 UTC | 56085 |
|
|
|
|
|
Begin |
End | Number Profiles |
|---|---|---|
| 2019/06/05 07:38:15.2270 UTC | 2019/06/05 08:30:25.0154 UTC | 63105 |
|
|
|
|
|
Begin |
End | Number Profiles |
|---|---|---|
| 2019/06/05 08:30:25.0650 UTC | 2019/06/05 09:16:47.4533 UTC | 56100 |
|
|
|
|
|
Begin |
End | Number Profiles |
|---|---|---|
| 2019/06/05 09:16:47.5029 UTC | 2019/06/05 10:08:57.2904 UTC | 63105 |
|
|
|
|
|
Begin |
End | Number Profiles |
|---|---|---|
| 2019/06/05 10:08:57.3400 UTC | 2019/06/05 10:55:18.9853 UTC | 56085 |
|
|
|
|
|
Begin |
End | Number Profiles |
|---|---|---|
| 2019/06/05 10:55:19.0349 UTC | 2019/06/05 11:47:30.3124 UTC | 63135 |
|
|
|
|
|
Begin |
End | Number Profiles |
|---|---|---|
| 2019/06/05 11:47:30.3620 UTC | 2019/06/05 12:33:51.2644 UTC | 56070 |
|
|
|
|
|
Begin |
End | Number Profiles |
|---|---|---|
| 2019/06/05 12:33:51.3140 UTC | 2019/06/05 13:26:02.5914 UTC | 63135 |
|
|
|
|
|
Begin |
End | Number Profiles |
|---|---|---|
| 2019/06/05 13:26:02.6410 UTC | 2019/06/05 14:12:23.5454 UTC | 56070 |
|
|
|
|
|
Begin |
End | Number Profiles |
|---|---|---|
| 2019/06/05 14:12:23.5949 UTC | 2019/06/05 15:04:34.1274 UTC | 63120 |
|
|
|
|
|
Begin |
End | Number Profiles |
|---|---|---|
| 2019/06/05 15:04:34.1770 UTC | 2019/06/05 15:50:55.0794 UTC | 56070 |
|
|
|
|
|
Begin |
End | Number Profiles |
|---|---|---|
| 2019/06/05 15:50:55.1290 UTC | 2019/06/05 16:43:06.4054 UTC | 63135 |
|
|
|
|
|
Begin |
End | Number Profiles |
|---|---|---|
| 2019/06/05 16:43:06.4550 UTC | 2019/06/05 17:29:27.3544 UTC | 56070 |
|
|
|
|
|
Begin |
End | Number Profiles |
|---|---|---|
| 2019/06/05 17:29:27.4040 UTC | 2019/06/05 18:21:38.6774 UTC | 63135 |
|
|
|
|
|
Begin |
End | Number Profiles |
|---|---|---|
| 2019/06/05 18:21:38.7270 UTC | 2019/06/05 19:07:59.6254 UTC | 56070 |
|
|
|
|
|
Begin |
End | Number Profiles |
|---|---|---|
| 2019/06/05 19:07:59.6750 UTC | 2019/06/05 20:00:10.2054 UTC | 63120 |
|
|
|
|
|
Begin |
End | Number Profiles |
|---|---|---|
| 2019/06/05 20:00:10.2550 UTC | 2019/06/05 20:46:31.1554 UTC | 56070 |
|
|
|
|
|
Begin |
End | Number Profiles |
|---|---|---|
| 2019/06/05 20:46:31.2050 UTC | 2019/06/05 21:38:42.4793 UTC | 63135 |
|
|
|
|
|
Begin |
End | Number Profiles |
|---|---|---|
| 2019/06/05 21:38:42.5290 UTC | 2019/06/05 22:25:03.4304 UTC | 56070 |
|
|
|
|
|
Begin |
End | Number Profiles |
|---|---|---|
| 2019/06/05 22:25:03.4790 UTC | 2019/06/05 23:17:14.0104 UTC | 63120 |
|
|
|
|
|
Begin |
End | Number Profiles |
|---|---|---|
| 2019/06/05 23:17:14.0600 UTC | 2019/06/06 00:03:36.4493 UTC | 56100 |
|
|
|
|
|
























































































































