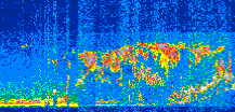
|
Displayed on this page are scaled, color-modulated, altitude-time images of CALIPSO attenuated backscatter (/km/sr) including:
- 532 nm total (parallel + perpendicular) attenuated backscatter
- 532 nm perpendicular attenuated backscatter
- 1064 nm total attenuated backscatter
The orbit track locations for the entire Level 1 .hdf file are in black and the orbit track locations corresponding to this page are color coded.
For the full scale images:
- the color bars for attenuated backscatter show the colors assigned to ranges of attenuated backscatter, /km/sr
- the horizontal axes are annotated with latitude (deg) and longitude (deg)
- the vertical axes are annotated to indicate altitude in kilometers
- the date and time of the measurements are listed as UTC time
- the names of the CALIPSO data products for the Lidar Level 1 attenuated backscatter granules are included
The scaled images on this page are organized by CALIPSO data product day and night orbit granules.
The maps with a shaded background indicate nightime measurements.
There are a maximum of 4 scaled images per granule.
The orbit tracks plotted on the maps show the measurement locations for each granule.
For each granule, the scaled images are ordered from left to right and their locations along the orbit tracks are color coded as: image one, image two, image three, image four.
Begin |
End | Number Profiles |
|---|---|---|
| 2019/06/16 00:41:42.2420 UTC | 2019/06/16 01:28:04.6274 UTC | 56100 |
|
|
|
|
|
Begin |
End | Number Profiles |
|---|---|---|
| 2019/06/16 01:28:04.6760 UTC | 2019/06/16 02:20:14.4604 UTC | 63105 |
|
|
|
|
|
Begin |
End | Number Profiles |
|---|---|---|
| 2019/06/16 02:20:14.5099 UTC | 2019/06/16 03:06:36.1504 UTC | 56085 |
|
|
|
|
|
Begin |
End | Number Profiles |
|---|---|---|
| 2019/06/16 03:06:36.2000 UTC | 2019/06/16 03:58:45.9844 UTC | 63105 |
|
|
|
|
|
Begin |
End | Number Profiles |
|---|---|---|
| 2019/06/16 03:58:46.0340 UTC | 2019/06/16 04:45:08.4184 UTC | 56100 |
|
|
|
|
|
Begin |
End | Number Profiles |
|---|---|---|
| 2019/06/16 04:45:08.4680 UTC | 2019/06/16 05:37:18.2513 UTC | 63105 |
|
|
|
|
|
Begin |
End | Number Profiles |
|---|---|---|
| 2019/06/16 05:37:18.3009 UTC | 2019/06/16 06:23:40.6844 UTC | 56100 |
|
|
|
|
|
Begin |
End | Number Profiles |
|---|---|---|
| 2019/06/16 06:23:40.7340 UTC | 2019/06/16 07:15:50.5173 UTC | 63105 |
|
|
|
|
|
Begin |
End | Number Profiles |
|---|---|---|
| 2019/06/16 07:15:50.5669 UTC | 2019/06/16 08:02:12.2074 UTC | 56085 |
|
|
|
|
|
Begin |
End | Number Profiles |
|---|---|---|
| 2019/06/16 08:02:12.2570 UTC | 2019/06/16 08:54:22.0394 UTC | 63105 |
|
|
|
|
|
Begin |
End | Number Profiles |
|---|---|---|
| 2019/06/16 08:54:22.0890 UTC | 2019/06/16 09:40:44.4734 UTC | 56100 |
|
|
|
|
|
Begin |
End | Number Profiles |
|---|---|---|
| 2019/06/16 09:40:44.5230 UTC | 2019/06/16 10:32:54.3064 UTC | 63105 |
|
|
|
|
|
Begin |
End | Number Profiles |
|---|---|---|
| 2019/06/16 10:32:54.3560 UTC | 2019/06/16 11:19:15.9973 UTC | 56085 |
|
|
|
|
|
Begin |
End | Number Profiles |
|---|---|---|
| 2019/06/16 11:19:16.0469 UTC | 2019/06/16 12:11:26.5764 UTC | 63120 |
|
|
|
|
|
Begin |
End | Number Profiles |
|---|---|---|
| 2019/06/16 12:11:26.6260 UTC | 2019/06/16 12:57:48.2683 UTC | 56085 |
|
|
|
|
|
Begin |
End | Number Profiles |
|---|---|---|
| 2019/06/16 12:57:48.3180 UTC | 2019/06/16 13:49:58.1033 UTC | 63075 |
|
|
|
|
|
Begin |
End | Number Profiles |
|---|---|---|
| 2019/06/16 13:49:58.1530 UTC | 2019/06/16 14:36:20.5384 UTC | 56100 |
|
|
|
|
|
Begin |
End | Number Profiles |
|---|---|---|
| 2019/06/16 14:36:20.5880 UTC | 2019/06/16 15:28:30.3723 UTC | 63105 |
|
|
|
|
|
Begin |
End | Number Profiles |
|---|---|---|
| 2019/06/16 15:28:30.4219 UTC | 2019/06/16 16:14:52.0614 UTC | 56085 |
|
|
|
|
|
Begin |
End | Number Profiles |
|---|---|---|
| 2019/06/16 16:14:52.1110 UTC | 2019/06/16 17:07:02.6354 UTC | 63120 |
|
|
|
|
|
Begin |
End | Number Profiles |
|---|---|---|
| 2019/06/16 17:07:02.6849 UTC | 2019/06/16 17:53:24.3233 UTC | 56085 |
|
|
|
|
|
Begin |
End | Number Profiles |
|---|---|---|
| 2019/06/16 17:53:24.3729 UTC | 2019/06/16 18:45:34.1534 UTC | 63105 |
|
|
|
|
|
Begin |
End | Number Profiles |
|---|---|---|
| 2019/06/16 18:45:34.2030 UTC | 2019/06/16 19:31:56.5853 UTC | 56100 |
|
|
|
|
|
Begin |
End | Number Profiles |
|---|---|---|
| 2019/06/16 19:31:56.6349 UTC | 2019/06/16 20:24:06.4143 UTC | 63105 |
|
|
|
|
|
Begin |
End | Number Profiles |
|---|---|---|
| 2019/06/16 20:24:06.4639 UTC | 2019/06/16 21:10:28.1023 UTC | 56085 |
|
|
|
|
|
Begin |
End | Number Profiles |
|---|---|---|
| 2019/06/16 21:10:28.1519 UTC | 2019/06/16 22:02:38.6763 UTC | 63120 |
|
|
|
|
|
Begin |
End | Number Profiles |
|---|---|---|
| 2019/06/16 22:02:38.7259 UTC | 2019/06/16 22:49:00.3643 UTC | 56085 |
|
|
|
|
|
Begin |
End | Number Profiles |
|---|---|---|
| 2019/06/16 22:49:00.4139 UTC | 2019/06/16 23:41:10.1963 UTC | 63105 |
|
|
|
|
|
Begin |
End | Number Profiles |
|---|---|---|
| 2019/06/16 23:41:10.2459 UTC | 2019/06/17 00:27:32.6284 UTC | 56100 |
|
|
|
|
|
























































































































