|
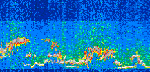
Displayed on this page are scaled, color-modulated, altitude-time images of CALIPSO attenuated backscatter (/km/sr) including:
- 532 nm total (parallel + perpendicular) attenuated backscatter
- 532 nm perpendicular attenuated backscatter
- 1064 nm total attenuated backscatter
The orbit track locations for the entire Level 1 .hdf file are in black and the orbit track locations corresponding to this page are color coded.
For the full scale images:
- the color bars for attenuated backscatter show the colors assigned to ranges of attenuated backscatter, /km/sr
- the horizontal axes are annotated with latitude (deg) and longitude (deg)
- the vertical axes are annotated to indicate altitude in kilometers
- the date and time of the measurements are listed as UTC time
- the names of the CALIPSO data products for the Lidar Level 1 attenuated backscatter granules are included
The scaled images on this page are organized by CALIPSO data product day and night orbit granules.
The maps with a shaded background indicate nightime measurements.
There are a maximum of 4 scaled images per granule.
The orbit tracks plotted on the maps show the measurement locations for each granule.
For each granule, the scaled images are ordered from left to right and their locations along the orbit tracks are color coded as: image one, image two, image three, image four.
Begin |
End | Number Profiles |
|---|---|---|
| 2019/06/19 00:04:59.4169 UTC | 2019/06/19 00:57:09.1984 UTC | 63105 |
|
|
|
|
|
Begin |
End | Number Profiles |
|---|---|---|
| 2019/06/19 00:57:09.2480 UTC | 2019/06/19 01:43:31.6304 UTC | 56100 |
|
|
|
|
|
Begin |
End | Number Profiles |
|---|---|---|
| 2019/06/19 01:43:31.6799 UTC | 2019/06/19 02:35:41.4624 UTC | 63105 |
|
|
|
|
|
Begin |
End | Number Profiles |
|---|---|---|
| 2019/06/19 02:35:41.5120 UTC | 2019/06/19 03:22:03.1524 UTC | 56085 |
|
|
|
|
|
Begin |
End | Number Profiles |
|---|---|---|
| 2019/06/19 03:22:03.2020 UTC | 2019/06/19 04:14:12.9854 UTC | 63105 |
|
|
|
|
|
Begin |
End | Number Profiles |
|---|---|---|
| 2019/06/19 04:14:13.0350 UTC | 2019/06/19 05:00:35.4194 UTC | 56100 |
|
|
|
|
|
Begin |
End | Number Profiles |
|---|---|---|
| 2019/06/19 05:00:35.4690 UTC | 2019/06/19 05:52:45.2514 UTC | 63105 |
|
|
|
|
|
Begin |
End | Number Profiles |
|---|---|---|
| 2019/06/19 05:52:45.3010 UTC | 2019/06/19 06:39:07.6843 UTC | 56100 |
|
|
|
|
|
Begin |
End | Number Profiles |
|---|---|---|
| 2019/06/19 06:39:07.7339 UTC | 2019/06/19 07:31:17.5144 UTC | 63105 |
|
|
|
|
|
Begin |
End | Number Profiles |
|---|---|---|
| 2019/06/19 07:31:17.5640 UTC | 2019/06/19 08:17:39.2024 UTC | 56085 |
|
|
|
|
|
Begin |
End | Number Profiles |
|---|---|---|
| 2019/06/19 08:17:39.2520 UTC | 2019/06/19 09:09:49.0344 UTC | 63105 |
|
|
|
|
|
Begin |
End | Number Profiles |
|---|---|---|
| 2019/06/19 09:09:49.0840 UTC | 2019/06/19 09:56:11.4663 UTC | 56100 |
|
|
|
|
|
Begin |
End | Number Profiles |
|---|---|---|
| 2019/06/19 09:56:11.5159 UTC | 2019/06/19 10:48:21.2983 UTC | 63105 |
|
|
|
|
|
Begin |
End | Number Profiles |
|---|---|---|
| 2019/06/19 10:48:21.3479 UTC | 2019/06/19 11:34:42.9874 UTC | 56085 |
|
|
|
|
|
Begin |
End | Number Profiles |
|---|---|---|
| 2019/06/19 11:34:43.0370 UTC | 2019/06/19 12:26:53.5633 UTC | 63120 |
|
|
|
|
|
Begin |
End | Number Profiles |
|---|---|---|
| 2019/06/19 12:26:53.6129 UTC | 2019/06/19 13:13:15.2534 UTC | 56085 |
|
|
|
|
|
Begin |
End | Number Profiles |
|---|---|---|
| 2019/06/19 13:13:15.3030 UTC | 2019/06/19 14:05:24.3424 UTC | 63090 |
|
|
|
|
|
Begin |
End | Number Profiles |
|---|---|---|
| 2019/06/19 14:05:24.3920 UTC | 2019/06/19 14:51:47.5203 UTC | 56115 |
|
|
|
|
|
Begin |
End | Number Profiles |
|---|---|---|
| 2019/06/19 14:51:47.5699 UTC | 2019/06/19 15:43:56.6063 UTC | 63090 |
|
|
|
|
|
Begin |
End | Number Profiles |
|---|---|---|
| 2019/06/19 15:43:56.6559 UTC | 2019/06/19 16:30:19.0373 UTC | 56100 |
|
|
|
|
|
Begin |
End | Number Profiles |
|---|---|---|
| 2019/06/19 16:30:19.0869 UTC | 2019/06/19 17:22:28.1214 UTC | 63090 |
|
|
|
|
|
Begin |
End | Number Profiles |
|---|---|---|
| 2019/06/19 17:22:28.1710 UTC | 2019/06/19 18:08:51.2954 UTC | 56115 |
|
|
|
|
|
Begin |
End | Number Profiles |
|---|---|---|
| 2019/06/19 18:08:51.3450 UTC | 2019/06/19 19:01:00.3793 UTC | 63090 |
|
|
|
|
|
Begin |
End | Number Profiles |
|---|---|---|
| 2019/06/19 19:01:00.4289 UTC | 2019/06/19 19:47:23.5523 UTC | 56115 |
|
|
|
|
|
Begin |
End | Number Profiles |
|---|---|---|
| 2019/06/19 19:47:23.6019 UTC | 2019/06/19 20:39:32.6374 UTC | 63090 |
|
|
|
|
|
Begin |
End | Number Profiles |
|---|---|---|
| 2019/06/19 20:39:32.6870 UTC | 2019/06/19 21:25:55.0663 UTC | 56100 |
|
|
|
|
|
Begin |
End | Number Profiles |
|---|---|---|
| 2019/06/19 21:25:55.1159 UTC | 2019/06/19 22:18:04.1504 UTC | 63090 |
|
|
|
|
|
Begin |
End | Number Profiles |
|---|---|---|
| 2019/06/19 22:18:04.2000 UTC | 2019/06/19 23:04:27.3244 UTC | 56115 |
|
|
|
|
|
Begin |
End | Number Profiles |
|---|---|---|
| 2019/06/19 23:04:27.3740 UTC | 2019/06/19 23:56:36.4094 UTC | 63090 |
|
|
|
|
|
Begin |
End | Number Profiles |
|---|---|---|
| 2019/06/19 23:56:36.4590 UTC | 2019/06/20 00:42:59.5843 UTC | 56115 |
|
|
|
|
|




























































































































