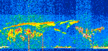
|
Displayed on this page are scaled, color-modulated, altitude-time images of CALIPSO attenuated backscatter (/km/sr) including:
- 532 nm total (parallel + perpendicular) attenuated backscatter
- 532 nm perpendicular attenuated backscatter
- 1064 nm total attenuated backscatter
The orbit track locations for the entire Level 1 .hdf file are in black and the orbit track locations corresponding to this page are color coded.
For the full scale images:
- the color bars for attenuated backscatter show the colors assigned to ranges of attenuated backscatter, /km/sr
- the horizontal axes are annotated with latitude (deg) and longitude (deg)
- the vertical axes are annotated to indicate altitude in kilometers
- the date and time of the measurements are listed as UTC time
- the names of the CALIPSO data products for the Lidar Level 1 attenuated backscatter granules are included
The scaled images on this page are organized by CALIPSO data product day and night orbit granules.
The maps with a shaded background indicate nightime measurements.
There are a maximum of 4 scaled images per granule.
The orbit tracks plotted on the maps show the measurement locations for each granule.
For each granule, the scaled images are ordered from left to right and their locations along the orbit tracks are color coded as: image one, image two, image three, image four.
Begin |
End | Number Profiles |
|---|---|---|
| 2020/01/03 00:19:33.2240 UTC | 2020/01/03 01:11:57.2464 UTC | 63390 |
|
|
|
|
|
Begin |
End | Number Profiles |
|---|---|---|
| 2020/01/03 01:11:57.2960 UTC | 2020/01/03 01:58:05.6414 UTC | 55815 |
|
|
|
|
|
Begin |
End | Number Profiles |
|---|---|---|
| 2020/01/03 01:58:05.6910 UTC | 2020/01/03 02:50:28.9704 UTC | 63375 |
|
|
|
|
|
Begin |
End | Number Profiles |
|---|---|---|
| 2020/01/03 02:50:29.0200 UTC | 2020/01/03 03:36:36.6194 UTC | 55800 |
|
|
|
|
|
Begin |
End | Number Profiles |
|---|---|---|
| 2020/01/03 03:36:36.6689 UTC | 2020/01/03 04:29:01.4363 UTC | 63405 |
|
|
|
|
|
Begin |
End | Number Profiles |
|---|---|---|
| 2020/01/03 04:29:01.4859 UTC | 2020/01/03 05:15:08.3424 UTC | 55785 |
|
|
|
|
|
Begin |
End | Number Profiles |
|---|---|---|
| 2020/01/03 05:15:08.3920 UTC | 2020/01/03 06:07:33.1584 UTC | 63405 |
|
|
|
|
|
Begin |
End | Number Profiles |
|---|---|---|
| 2020/01/03 06:07:33.2080 UTC | 2020/01/03 06:53:40.0654 UTC | 55785 |
|
|
|
|
|
Begin |
End | Number Profiles |
|---|---|---|
| 2020/01/03 06:53:40.1150 UTC | 2020/01/03 07:46:04.1393 UTC | 63390 |
|
|
|
|
|
Begin |
End | Number Profiles |
|---|---|---|
| 2020/01/03 07:46:04.1889 UTC | 2020/01/03 08:32:12.5343 UTC | 55815 |
|
|
|
|
|
Begin |
End | Number Profiles |
|---|---|---|
| 2020/01/03 08:32:12.5839 UTC | 2020/01/03 09:24:36.6093 UTC | 63390 |
|
|
|
|
|
Begin |
End | Number Profiles |
|---|---|---|
| 2020/01/03 09:24:36.6589 UTC | 2020/01/03 10:10:44.2614 UTC | 55800 |
|
|
|
|
|
Begin |
End | Number Profiles |
|---|---|---|
| 2020/01/03 10:10:44.3110 UTC | 2020/01/03 11:03:08.3363 UTC | 63390 |
|
|
|
|
|
Begin |
End | Number Profiles |
|---|---|---|
| 2020/01/03 11:03:08.3860 UTC | 2020/01/03 11:49:15.9884 UTC | 55800 |
|
|
|
|
|
Begin |
End | Number Profiles |
|---|---|---|
| 2020/01/03 11:49:16.0380 UTC | 2020/01/03 12:41:40.0634 UTC | 63390 |
|
|
|
|
|
Begin |
End | Number Profiles |
|---|---|---|
| 2020/01/03 12:41:40.1130 UTC | 2020/01/03 13:27:48.4593 UTC | 55815 |
|
|
|
|
|
Begin |
End | Number Profiles |
|---|---|---|
| 2020/01/03 13:27:48.5089 UTC | 2020/01/03 14:20:12.5354 UTC | 63390 |
|
|
|
|
|
Begin |
End | Number Profiles |
|---|---|---|
| 2020/01/03 14:20:12.5850 UTC | 2020/01/03 15:06:19.4434 UTC | 55785 |
|
|
|
|
|
Begin |
End | Number Profiles |
|---|---|---|
| 2020/01/03 15:06:19.4930 UTC | 2020/01/03 15:58:44.2614 UTC | 63405 |
|
|
|
|
|
Begin |
End | Number Profiles |
|---|---|---|
| 2020/01/03 15:58:44.3110 UTC | 2020/01/03 16:44:51.1674 UTC | 55785 |
|
|
|
|
|
Begin |
End | Number Profiles |
|---|---|---|
| 2020/01/03 16:44:51.2170 UTC | 2020/01/03 17:37:15.9854 UTC | 63405 |
|
|
|
|
|
Begin |
End | Number Profiles |
|---|---|---|
| 2020/01/03 17:37:16.0350 UTC | 2020/01/03 18:23:23.6363 UTC | 55800 |
|
|
|
|
|
Begin |
End | Number Profiles |
|---|---|---|
| 2020/01/03 18:23:23.6859 UTC | 2020/01/03 19:15:46.9644 UTC | 63375 |
|
|
|
|
|
Begin |
End | Number Profiles |
|---|---|---|
| 2020/01/03 19:15:47.0140 UTC | 2020/01/03 20:01:55.3594 UTC | 55815 |
|
|
|
|
|
Begin |
End | Number Profiles |
|---|---|---|
| 2020/01/03 20:01:55.4090 UTC | 2020/01/03 20:54:19.4323 UTC | 63390 |
|
|
|
|
|
Begin |
End | Number Profiles |
|---|---|---|
| 2020/01/03 20:54:19.4819 UTC | 2020/01/03 21:40:27.0824 UTC | 55800 |
|
|
|
|
|
Begin |
End | Number Profiles |
|---|---|---|
| 2020/01/03 21:40:27.1320 UTC | 2020/01/03 22:32:51.1533 UTC | 63390 |
|
|
|
|
|
Begin |
End | Number Profiles |
|---|---|---|
| 2020/01/03 22:32:51.2029 UTC | 2020/01/03 23:18:59.5474 UTC | 55815 |
|
|
|
|
|
Begin |
End | Number Profiles |
|---|---|---|
| 2020/01/03 23:18:59.5970 UTC | 2020/01/04 00:11:23.6194 UTC | 63390 |
|
|
|
|
|
























































































































