|
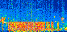
Displayed on this page are scaled, color-modulated, altitude-time images of CALIPSO attenuated backscatter (/km/sr) including:
- 532 nm total (parallel + perpendicular) attenuated backscatter
- 532 nm perpendicular attenuated backscatter
- 1064 nm total attenuated backscatter
The orbit track locations for the entire Level 1 .hdf file are in black and the orbit track locations corresponding to this page are color coded.
For the full scale images:
- the color bars for attenuated backscatter show the colors assigned to ranges of attenuated backscatter, /km/sr
- the horizontal axes are annotated with latitude (deg) and longitude (deg)
- the vertical axes are annotated to indicate altitude in kilometers
- the date and time of the measurements are listed as UTC time
- the names of the CALIPSO data products for the Lidar Level 1 attenuated backscatter granules are included
The scaled images on this page are organized by CALIPSO data product day and night orbit granules.
The maps with a shaded background indicate nightime measurements.
There are a maximum of 4 scaled images per granule.
The orbit tracks plotted on the maps show the measurement locations for each granule.
For each granule, the scaled images are ordered from left to right and their locations along the orbit tracks are color coded as: image one, image two, image three, image four.
Begin |
End | Number Profiles |
|---|---|---|
| 2020/03/18 00:13:20.7190 UTC | 2020/03/18 01:05:40.2454 UTC | 63300 |
|
|
|
|
|
Begin |
End | Number Profiles |
|---|---|---|
| 2020/03/18 01:05:40.2950 UTC | 2020/03/18 01:51:52.3303 UTC | 55890 |
|
|
|
|
|
Begin |
End | Number Profiles |
|---|---|---|
| 2020/03/18 01:51:52.3799 UTC | 2020/03/18 02:44:12.6504 UTC | 63315 |
|
|
|
|
|
Begin |
End | Number Profiles |
|---|---|---|
| 2020/03/18 02:44:12.7000 UTC | 2020/03/18 03:30:23.9913 UTC | 55875 |
|
|
|
|
|
Begin |
End | Number Profiles |
|---|---|---|
| 2020/03/18 03:30:24.0409 UTC | 2020/03/18 04:22:44.3123 UTC | 63315 |
|
|
|
|
|
Begin |
End | Number Profiles |
|---|---|---|
| 2020/03/18 04:22:44.3619 UTC | 2020/03/18 05:08:56.3974 UTC | 55890 |
|
|
|
|
|
Begin |
End | Number Profiles |
|---|---|---|
| 2020/03/18 05:08:56.4470 UTC | 2020/03/18 06:01:15.9743 UTC | 63300 |
|
|
|
|
|
Begin |
End | Number Profiles |
|---|---|---|
| 2020/03/18 06:01:16.0239 UTC | 2020/03/18 06:47:28.0614 UTC | 55890 |
|
|
|
|
|
Begin |
End | Number Profiles |
|---|---|---|
| 2020/03/18 06:47:28.1110 UTC | 2020/03/18 07:39:48.3813 UTC | 63315 |
|
|
|
|
|
Begin |
End | Number Profiles |
|---|---|---|
| 2020/03/18 07:39:48.4309 UTC | 2020/03/18 08:26:00.4673 UTC | 55890 |
|
|
|
|
|
Begin |
End | Number Profiles |
|---|---|---|
| 2020/03/18 08:26:00.5169 UTC | 2020/03/18 09:18:21.5334 UTC | 63330 |
|
|
|
|
|
Begin |
End | Number Profiles |
|---|---|---|
| 2020/03/18 09:18:21.5830 UTC | 2020/03/18 10:04:32.1304 UTC | 55860 |
|
|
|
|
|
Begin |
End | Number Profiles |
|---|---|---|
| 2020/03/18 10:04:32.1800 UTC | 2020/03/18 10:56:53.1944 UTC | 63330 |
|
|
|
|
|
Begin |
End | Number Profiles |
|---|---|---|
| 2020/03/18 10:56:53.2440 UTC | 2020/03/18 11:43:05.2794 UTC | 55890 |
|
|
|
|
|
Begin |
End | Number Profiles |
|---|---|---|
| 2020/03/18 11:43:05.3290 UTC | 2020/03/18 12:35:25.5984 UTC | 63315 |
|
|
|
|
|
Begin |
End | Number Profiles |
|---|---|---|
| 2020/03/18 12:35:25.6480 UTC | 2020/03/18 13:21:37.6823 UTC | 55890 |
|
|
|
|
|
Begin |
End | Number Profiles |
|---|---|---|
| 2020/03/18 13:21:37.7319 UTC | 2020/03/18 14:13:57.2584 UTC | 63300 |
|
|
|
|
|
Begin |
End | Number Profiles |
|---|---|---|
| 2020/03/18 14:13:57.3079 UTC | 2020/03/18 15:00:09.3433 UTC | 55890 |
|
|
|
|
|
Begin |
End | Number Profiles |
|---|---|---|
| 2020/03/18 15:00:09.3930 UTC | 2020/03/18 15:52:29.6624 UTC | 63315 |
|
|
|
|
|
Begin |
End | Number Profiles |
|---|---|---|
| 2020/03/18 15:52:29.7119 UTC | 2020/03/18 16:38:41.0014 UTC | 55875 |
|
|
|
|
|
Begin |
End | Number Profiles |
|---|---|---|
| 2020/03/18 16:38:41.0510 UTC | 2020/03/18 17:31:01.3194 UTC | 63315 |
|
|
|
|
|
Begin |
End | Number Profiles |
|---|---|---|
| 2020/03/18 17:31:01.3690 UTC | 2020/03/18 18:17:13.4033 UTC | 55890 |
|
|
|
|
|
Begin |
End | Number Profiles |
|---|---|---|
| 2020/03/18 18:17:13.4529 UTC | 2020/03/18 19:09:32.9794 UTC | 63300 |
|
|
|
|
|
Begin |
End | Number Profiles |
|---|---|---|
| 2020/03/18 19:09:33.0290 UTC | 2020/03/18 19:55:45.0643 UTC | 55890 |
|
|
|
|
|
Begin |
End | Number Profiles |
|---|---|---|
| 2020/03/18 19:55:45.1139 UTC | 2020/03/18 20:48:06.1283 UTC | 63330 |
|
|
|
|
|
Begin |
End | Number Profiles |
|---|---|---|
| 2020/03/18 20:48:06.1770 UTC | 2020/03/18 21:34:18.2114 UTC | 55890 |
|
|
|
|
|
Begin |
End | Number Profiles |
|---|---|---|
| 2020/03/18 21:34:18.2609 UTC | 2020/03/18 22:26:38.5304 UTC | 63315 |
|
|
|
|
|
Begin |
End | Number Profiles |
|---|---|---|
| 2020/03/18 22:26:38.5800 UTC | 2020/03/18 23:12:50.6144 UTC | 55890 |
|
|
|
|
|
Begin |
End | Number Profiles |
|---|---|---|
| 2020/03/18 23:12:50.6640 UTC | 2020/03/19 00:05:10.1903 UTC | 63300 |
|
|
|
|
|
























































































































