|
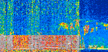
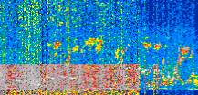
Displayed on this page are scaled, color-modulated, altitude-time images of CALIPSO attenuated backscatter (/km/sr) including:
- 532 nm total (parallel + perpendicular) attenuated backscatter
- 532 nm perpendicular attenuated backscatter
- 1064 nm total attenuated backscatter
The orbit track locations for the entire Level 1 .hdf file are in black and the orbit track locations corresponding to this page are color coded.
For the full scale images:
- the color bars for attenuated backscatter show the colors assigned to ranges of attenuated backscatter, /km/sr
- the horizontal axes are annotated with latitude (deg) and longitude (deg)
- the vertical axes are annotated to indicate altitude in kilometers
- the date and time of the measurements are listed as UTC time
- the names of the CALIPSO data products for the Lidar Level 1 attenuated backscatter granules are included
The scaled images on this page are organized by CALIPSO data product day and night orbit granules.
The maps with a shaded background indicate nightime measurements.
There are a maximum of 4 scaled images per granule.
The orbit tracks plotted on the maps show the measurement locations for each granule.
For each granule, the scaled images are ordered from left to right and their locations along the orbit tracks are color coded as: image one, image two, image three, image four.
Begin |
End | Number Profiles |
|---|---|---|
| 2020/03/31 00:15:08.4710 UTC | 2020/03/31 01:07:27.9934 UTC | 63300 |
|
|
|
|
|
Begin |
End | Number Profiles |
|---|---|---|
| 2020/03/31 01:07:28.0430 UTC | 2020/03/31 01:53:40.0744 UTC | 55890 |
|
|
|
|
|
Begin |
End | Number Profiles |
|---|---|---|
| 2020/03/31 01:53:40.1240 UTC | 2020/03/31 02:46:00.3914 UTC | 63315 |
|
|
|
|
|
Begin |
End | Number Profiles |
|---|---|---|
| 2020/03/31 02:46:00.4410 UTC | 2020/03/31 03:32:12.4723 UTC | 55890 |
|
|
|
|
|
Begin |
End | Number Profiles |
|---|---|---|
| 2020/03/31 03:32:12.5219 UTC | 2020/03/31 04:24:32.0434 UTC | 63300 |
|
|
|
|
|
Begin |
End | Number Profiles |
|---|---|---|
| 2020/03/31 04:24:32.0930 UTC | 2020/03/31 05:10:44.1254 UTC | 55890 |
|
|
|
|
|
Begin |
End | Number Profiles |
|---|---|---|
| 2020/03/31 05:10:44.1750 UTC | 2020/03/31 06:03:04.4414 UTC | 63315 |
|
|
|
|
|
Begin |
End | Number Profiles |
|---|---|---|
| 2020/03/31 06:03:04.4910 UTC | 2020/03/31 06:49:16.5234 UTC | 55890 |
|
|
|
|
|
Begin |
End | Number Profiles |
|---|---|---|
| 2020/03/31 06:49:16.5730 UTC | 2020/03/31 07:41:36.0954 UTC | 63300 |
|
|
|
|
|
Begin |
End | Number Profiles |
|---|---|---|
| 2020/03/31 07:41:36.1449 UTC | 2020/03/31 08:27:48.1773 UTC | 55890 |
|
|
|
|
|
Begin |
End | Number Profiles |
|---|---|---|
| 2020/03/31 08:27:48.2269 UTC | 2020/03/31 09:20:09.2374 UTC | 63330 |
|
|
|
|
|
Begin |
End | Number Profiles |
|---|---|---|
| 2020/03/31 09:20:09.2870 UTC | 2020/03/31 10:06:21.3194 UTC | 55890 |
|
|
|
|
|
Begin |
End | Number Profiles |
|---|---|---|
| 2020/03/31 10:06:21.3690 UTC | 2020/03/31 10:58:41.6364 UTC | 63315 |
|
|
|
|
|
Begin |
End | Number Profiles |
|---|---|---|
| 2020/03/31 10:58:41.6859 UTC | 2020/03/31 11:44:52.9733 UTC | 55875 |
|
|
|
|
|
Begin |
End | Number Profiles |
|---|---|---|
| 2020/03/31 11:44:53.0229 UTC | 2020/03/31 12:37:13.2894 UTC | 63315 |
|
|
|
|
|
Begin |
End | Number Profiles |
|---|---|---|
| 2020/03/31 12:37:13.3390 UTC | 2020/03/31 13:23:25.3703 UTC | 55890 |
|
|
|
|
|
Begin |
End | Number Profiles |
|---|---|---|
| 2020/03/31 13:23:25.4199 UTC | 2020/03/31 14:15:45.6853 UTC | 63315 |
|
|
|
|
|
Begin |
End | Number Profiles |
|---|---|---|
| 2020/03/31 14:15:45.7349 UTC | 2020/03/31 15:01:57.0234 UTC | 55875 |
|
|
|
|
|
Begin |
End | Number Profiles |
|---|---|---|
| 2020/03/31 15:01:57.0730 UTC | 2020/03/31 15:54:17.3394 UTC | 63315 |
|
|
|
|
|
Begin |
End | Number Profiles |
|---|---|---|
| 2020/03/31 15:54:17.3890 UTC | 2020/03/31 16:40:29.4203 UTC | 55890 |
|
|
|
|
|
Begin |
End | Number Profiles |
|---|---|---|
| 2020/03/31 16:40:29.4699 UTC | 2020/03/31 17:32:48.9914 UTC | 63300 |
|
|
|
|
|
Begin |
End | Number Profiles |
|---|---|---|
| 2020/03/31 17:32:49.0410 UTC | 2020/03/31 18:19:01.0723 UTC | 55890 |
|
|
|
|
|
Begin |
End | Number Profiles |
|---|---|---|
| 2020/03/31 18:19:01.1219 UTC | 2020/03/31 19:11:21.3884 UTC | 63315 |
|
|
|
|
|
Begin |
End | Number Profiles |
|---|---|---|
| 2020/03/31 19:11:21.4380 UTC | 2020/03/31 19:57:33.4714 UTC | 55890 |
|
|
|
|
|
Begin |
End | Number Profiles |
|---|---|---|
| 2020/03/31 19:57:33.5210 UTC | 2020/03/31 20:49:53.0444 UTC | 63300 |
|
|
|
|
|
Begin |
End | Number Profiles |
|---|---|---|
| 2020/03/31 20:49:53.0940 UTC | 2020/03/31 21:36:06.6124 UTC | 55920 |
|
|
|
|
|
Begin |
End | Number Profiles |
|---|---|---|
| 2020/03/31 21:36:06.6620 UTC | 2020/03/31 22:28:26.1823 UTC | 63300 |
|
|
|
|
|
Begin |
End | Number Profiles |
|---|---|---|
| 2020/03/31 22:28:26.2319 UTC | 2020/03/31 23:14:38.2623 UTC | 55890 |
|
|
|
|
|
Begin |
End | Number Profiles |
|---|---|---|
| 2020/03/31 23:14:38.3119 UTC | 2020/04/01 00:06:58.5773 UTC | 63315 |
|
|
|
|
|
























































































































