|
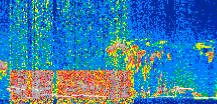
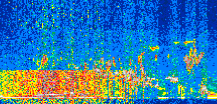
Displayed on this page are scaled, color-modulated, altitude-time images of CALIPSO attenuated backscatter (/km/sr) including:
- 532 nm total (parallel + perpendicular) attenuated backscatter
- 532 nm perpendicular attenuated backscatter
- 1064 nm total attenuated backscatter
The orbit track locations for the entire Level 1 .hdf file are in black and the orbit track locations corresponding to this page are color coded.
For the full scale images:
- the color bars for attenuated backscatter show the colors assigned to ranges of attenuated backscatter, /km/sr
- the horizontal axes are annotated with latitude (deg) and longitude (deg)
- the vertical axes are annotated to indicate altitude in kilometers
- the date and time of the measurements are listed as UTC time
- the names of the CALIPSO data products for the Lidar Level 1 attenuated backscatter granules are included
The scaled images on this page are organized by CALIPSO data product day and night orbit granules.
The maps with a shaded background indicate nightime measurements.
There are a maximum of 4 scaled images per granule.
The orbit tracks plotted on the maps show the measurement locations for each granule.
For each granule, the scaled images are ordered from left to right and their locations along the orbit tracks are color coded as: image one, image two, image three, image four.
Begin |
End | Number Profiles |
|---|---|---|
| 2020/04/01 00:06:58.6269 UTC | 2020/04/01 00:53:10.6584 UTC | 55890 |
|
|
|
|
|
Begin |
End | Number Profiles |
|---|---|---|
| 2020/04/01 00:53:10.7080 UTC | 2020/04/01 01:45:30.2293 UTC | 63300 |
|
|
|
|
|
Begin |
End | Number Profiles |
|---|---|---|
| 2020/04/01 01:45:30.2789 UTC | 2020/04/01 02:31:42.3104 UTC | 55890 |
|
|
|
|
|
Begin |
End | Number Profiles |
|---|---|---|
| 2020/04/01 02:31:42.3600 UTC | 2020/04/01 03:24:02.6254 UTC | 63315 |
|
|
|
|
|
Begin |
End | Number Profiles |
|---|---|---|
| 2020/04/01 03:24:02.6750 UTC | 2020/04/01 04:10:14.7063 UTC | 55890 |
|
|
|
|
|
Begin |
End | Number Profiles |
|---|---|---|
| 2020/04/01 04:10:14.7559 UTC | 2020/04/01 05:02:34.2793 UTC | 63300 |
|
|
|
|
|
Begin |
End | Number Profiles |
|---|---|---|
| 2020/04/01 05:02:34.3289 UTC | 2020/04/01 05:48:46.3604 UTC | 55890 |
|
|
|
|
|
Begin |
End | Number Profiles |
|---|---|---|
| 2020/04/01 05:48:46.4100 UTC | 2020/04/01 06:41:06.6763 UTC | 63315 |
|
|
|
|
|
Begin |
End | Number Profiles |
|---|---|---|
| 2020/04/01 06:41:06.7259 UTC | 2020/04/01 07:27:18.0134 UTC | 55875 |
|
|
|
|
|
Begin |
End | Number Profiles |
|---|---|---|
| 2020/04/01 07:27:18.0630 UTC | 2020/04/01 08:19:38.3294 UTC | 63315 |
|
|
|
|
|
Begin |
End | Number Profiles |
|---|---|---|
| 2020/04/01 08:19:38.3790 UTC | 2020/04/01 09:05:50.4104 UTC | 55890 |
|
|
|
|
|
Begin |
End | Number Profiles |
|---|---|---|
| 2020/04/01 09:05:50.4600 UTC | 2020/04/01 09:58:11.4714 UTC | 63330 |
|
|
|
|
|
Begin |
End | Number Profiles |
|---|---|---|
| 2020/04/01 09:58:11.5210 UTC | 2020/04/01 10:44:23.5524 UTC | 55890 |
|
|
|
|
|
Begin |
End | Number Profiles |
|---|---|---|
| 2020/04/01 10:44:23.6020 UTC | 2020/04/01 11:36:43.1243 UTC | 63300 |
|
|
|
|
|
Begin |
End | Number Profiles |
|---|---|---|
| 2020/04/01 11:36:43.1739 UTC | 2020/04/01 12:22:55.2054 UTC | 55890 |
|
|
|
|
|
Begin |
End | Number Profiles |
|---|---|---|
| 2020/04/01 12:22:55.2550 UTC | 2020/04/01 13:15:15.5204 UTC | 63315 |
|
|
|
|
|
Begin |
End | Number Profiles |
|---|---|---|
| 2020/04/01 13:15:15.5700 UTC | 2020/04/01 14:01:27.6034 UTC | 55890 |
|
|
|
|
|
Begin |
End | Number Profiles |
|---|---|---|
| 2020/04/01 14:01:27.6530 UTC | 2020/04/01 14:53:47.1754 UTC | 63300 |
|
|
|
|
|
Begin |
End | Number Profiles |
|---|---|---|
| 2020/04/01 14:53:47.2250 UTC | 2020/04/01 15:39:59.2574 UTC | 55890 |
|
|
|
|
|
Begin |
End | Number Profiles |
|---|---|---|
| 2020/04/01 15:39:59.3070 UTC | 2020/04/01 16:32:19.5724 UTC | 63315 |
|
|
|
|
|
Begin |
End | Number Profiles |
|---|---|---|
| 2020/04/01 16:32:19.6220 UTC | 2020/04/01 17:18:31.6524 UTC | 55890 |
|
|
|
|
|
Begin |
End | Number Profiles |
|---|---|---|
| 2020/04/01 17:18:31.7020 UTC | 2020/04/01 18:10:51.2214 UTC | 63300 |
|
|
|
|
|
Begin |
End | Number Profiles |
|---|---|---|
| 2020/04/01 18:10:51.2710 UTC | 2020/04/01 18:57:03.3033 UTC | 55890 |
|
|
|
|
|
Begin |
End | Number Profiles |
|---|---|---|
| 2020/04/01 18:57:03.3529 UTC | 2020/04/01 19:49:23.6183 UTC | 63315 |
|
|
|
|
|
Begin |
End | Number Profiles |
|---|---|---|
| 2020/04/01 19:49:23.6679 UTC | 2020/04/01 20:35:35.6994 UTC | 55890 |
|
|
|
|
|
Begin |
End | Number Profiles |
|---|---|---|
| 2020/04/01 20:35:35.7490 UTC | 2020/04/01 21:27:55.2714 UTC | 63300 |
|
|
|
|
|
Begin |
End | Number Profiles |
|---|---|---|
| 2020/04/01 21:27:55.3210 UTC | 2020/04/01 22:14:08.0953 UTC | 55905 |
|
|
|
|
|
Begin |
End | Number Profiles |
|---|---|---|
| 2020/04/01 22:14:08.1449 UTC | 2020/04/01 23:06:28.4094 UTC | 63315 |
|
|
|
|
|
Begin |
End | Number Profiles |
|---|---|---|
| 2020/04/01 23:06:28.4590 UTC | 2020/04/01 23:52:40.4894 UTC | 55890 |
|
|
|
|
|
Begin |
End | Number Profiles |
|---|---|---|
| 2020/04/01 23:52:40.5390 UTC | 2020/04/02 00:45:00.0604 UTC | 63300 |
|
|
|
|
|




























































































































