|
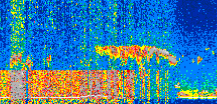
Displayed on this page are scaled, color-modulated, altitude-time images of CALIPSO attenuated backscatter (/km/sr) including:
- 532 nm total (parallel + perpendicular) attenuated backscatter
- 532 nm perpendicular attenuated backscatter
- 1064 nm total attenuated backscatter
The orbit track locations for the entire Level 1 .hdf file are in black and the orbit track locations corresponding to this page are color coded.
For the full scale images:
- the color bars for attenuated backscatter show the colors assigned to ranges of attenuated backscatter, /km/sr
- the horizontal axes are annotated with latitude (deg) and longitude (deg)
- the vertical axes are annotated to indicate altitude in kilometers
- the date and time of the measurements are listed as UTC time
- the names of the CALIPSO data products for the Lidar Level 1 attenuated backscatter granules are included
The scaled images on this page are organized by CALIPSO data product day and night orbit granules.
The maps with a shaded background indicate nightime measurements.
There are a maximum of 4 scaled images per granule.
The orbit tracks plotted on the maps show the measurement locations for each granule.
For each granule, the scaled images are ordered from left to right and their locations along the orbit tracks are color coded as: image one, image two, image three, image four.
Begin |
End | Number Profiles |
|---|---|---|
| 2020/04/15 00:46:39.4029 UTC | 2020/04/15 01:32:51.4273 UTC | 55890 |
|
|
|
|
|
Begin |
End | Number Profiles |
|---|---|---|
| 2020/04/15 01:32:51.4769 UTC | 2020/04/15 02:25:10.9914 UTC | 63300 |
|
|
|
|
|
Begin |
End | Number Profiles |
|---|---|---|
| 2020/04/15 02:25:11.0410 UTC | 2020/04/15 03:11:23.0663 UTC | 55890 |
|
|
|
|
|
Begin |
End | Number Profiles |
|---|---|---|
| 2020/04/15 03:11:23.1159 UTC | 2020/04/15 04:03:43.3753 UTC | 63315 |
|
|
|
|
|
Begin |
End | Number Profiles |
|---|---|---|
| 2020/04/15 04:03:43.4249 UTC | 2020/04/15 04:49:55.4504 UTC | 55890 |
|
|
|
|
|
Begin |
End | Number Profiles |
|---|---|---|
| 2020/04/15 04:49:55.5000 UTC | 2020/04/15 05:42:15.0154 UTC | 63300 |
|
|
|
|
|
Begin |
End | Number Profiles |
|---|---|---|
| 2020/04/15 05:42:15.0650 UTC | 2020/04/15 06:28:27.0904 UTC | 55890 |
|
|
|
|
|
Begin |
End | Number Profiles |
|---|---|---|
| 2020/04/15 06:28:27.1400 UTC | 2020/04/15 07:20:47.3993 UTC | 63315 |
|
|
|
|
|
Begin |
End | Number Profiles |
|---|---|---|
| 2020/04/15 07:20:47.4489 UTC | 2020/04/15 08:07:00.2183 UTC | 55905 |
|
|
|
|
|
Begin |
End | Number Profiles |
|---|---|---|
| 2020/04/15 08:07:00.2679 UTC | 2020/04/15 08:59:19.0393 UTC | 63285 |
|
|
|
|
|
Begin |
End | Number Profiles |
|---|---|---|
| 2020/04/15 08:59:19.0889 UTC | 2020/04/15 09:45:32.6033 UTC | 55920 |
|
|
|
|
|
Begin |
End | Number Profiles |
|---|---|---|
| 2020/04/15 09:45:32.6529 UTC | 2020/04/15 10:37:51.4254 UTC | 63285 |
|
|
|
|
|
Begin |
End | Number Profiles |
|---|---|---|
| 2020/04/15 10:37:51.4750 UTC | 2020/04/15 11:24:04.2454 UTC | 55905 |
|
|
|
|
|
Begin |
End | Number Profiles |
|---|---|---|
| 2020/04/15 11:24:04.2950 UTC | 2020/04/15 12:16:23.0684 UTC | 63285 |
|
|
|
|
|
Begin |
End | Number Profiles |
|---|---|---|
| 2020/04/15 12:16:23.1180 UTC | 2020/04/15 13:02:36.6334 UTC | 55920 |
|
|
|
|
|
Begin |
End | Number Profiles |
|---|---|---|
| 2020/04/15 13:02:36.6830 UTC | 2020/04/15 13:54:55.4574 UTC | 63285 |
|
|
|
|
|
Begin |
End | Number Profiles |
|---|---|---|
| 2020/04/15 13:54:55.5070 UTC | 2020/04/15 14:41:08.2794 UTC | 55905 |
|
|
|
|
|
Begin |
End | Number Profiles |
|---|---|---|
| 2020/04/15 14:41:08.3290 UTC | 2020/04/15 15:33:27.1014 UTC | 63285 |
|
|
|
|
|
Begin |
End | Number Profiles |
|---|---|---|
| 2020/04/15 15:33:27.1510 UTC | 2020/04/15 16:19:40.6644 UTC | 55920 |
|
|
|
|
|
Begin |
End | Number Profiles |
|---|---|---|
| 2020/04/15 16:19:40.7140 UTC | 2020/04/15 17:11:59.4834 UTC | 63285 |
|
|
|
|
|
Begin |
End | Number Profiles |
|---|---|---|
| 2020/04/15 17:11:59.5330 UTC | 2020/04/15 17:58:12.3013 UTC | 55905 |
|
|
|
|
|
Begin |
End | Number Profiles |
|---|---|---|
| 2020/04/15 17:58:12.3509 UTC | 2020/04/15 18:50:31.1223 UTC | 63285 |
|
|
|
|
|
Begin |
End | Number Profiles |
|---|---|---|
| 2020/04/15 18:50:31.1719 UTC | 2020/04/15 19:36:44.6863 UTC | 55920 |
|
|
|
|
|
Begin |
End | Number Profiles |
|---|---|---|
| 2020/04/15 19:36:44.7360 UTC | 2020/04/15 20:29:03.5084 UTC | 63285 |
|
|
|
|
|
Begin |
End | Number Profiles |
|---|---|---|
| 2020/04/15 20:29:03.5580 UTC | 2020/04/15 21:15:16.3284 UTC | 55905 |
|
|
|
|
|
Begin |
End | Number Profiles |
|---|---|---|
| 2020/04/15 21:15:16.3780 UTC | 2020/04/15 22:07:35.1493 UTC | 63285 |
|
|
|
|
|
Begin |
End | Number Profiles |
|---|---|---|
| 2020/04/15 22:07:35.1990 UTC | 2020/04/15 22:53:47.9694 UTC | 55905 |
|
|
|
|
|
Begin |
End | Number Profiles |
|---|---|---|
| 2020/04/15 22:53:48.0189 UTC | 2020/04/15 23:46:07.5344 UTC | 63300 |
|
|
|
|
|
Begin |
End | Number Profiles |
|---|---|---|
| 2020/04/15 23:46:07.5840 UTC | 2020/04/16 00:32:20.3543 UTC | 55905 |
|
|
|
|
|
























































































































