|
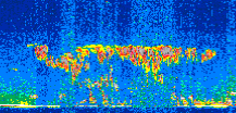
Displayed on this page are scaled, color-modulated, altitude-time images of CALIPSO attenuated backscatter (/km/sr) including:
- 532 nm total (parallel + perpendicular) attenuated backscatter
- 532 nm perpendicular attenuated backscatter
- 1064 nm total attenuated backscatter
The orbit track locations for the entire Level 1 .hdf file are in black and the orbit track locations corresponding to this page are color coded.
For the full scale images:
- the color bars for attenuated backscatter show the colors assigned to ranges of attenuated backscatter, /km/sr
- the horizontal axes are annotated with latitude (deg) and longitude (deg)
- the vertical axes are annotated to indicate altitude in kilometers
- the date and time of the measurements are listed as UTC time
- the names of the CALIPSO data products for the Lidar Level 1 attenuated backscatter granules are included
The scaled images on this page are organized by CALIPSO data product day and night orbit granules.
The maps with a shaded background indicate nightime measurements.
There are a maximum of 4 scaled images per granule.
The orbit tracks plotted on the maps show the measurement locations for each granule.
For each granule, the scaled images are ordered from left to right and their locations along the orbit tracks are color coded as: image one, image two, image three, image four.
Begin |
End | Number Profiles |
|---|---|---|
| 2020/04/30 00:25:32.6459 UTC | 2020/04/30 01:11:46.1513 UTC | 55920 |
|
|
|
|
|
Begin |
End | Number Profiles |
|---|---|---|
| 2020/04/30 01:11:46.2009 UTC | 2020/04/30 02:04:03.4764 UTC | 63255 |
|
|
|
|
|
Begin |
End | Number Profiles |
|---|---|---|
| 2020/04/30 02:04:03.5260 UTC | 2020/04/30 02:50:18.5203 UTC | 55950 |
|
|
|
|
|
Begin |
End | Number Profiles |
|---|---|---|
| 2020/04/30 02:50:18.5699 UTC | 2020/04/30 03:42:35.1004 UTC | 63240 |
|
|
|
|
|
Begin |
End | Number Profiles |
|---|---|---|
| 2020/04/30 03:42:35.1500 UTC | 2020/04/30 04:28:49.3994 UTC | 55935 |
|
|
|
|
|
Begin |
End | Number Profiles |
|---|---|---|
| 2020/04/30 04:28:49.4490 UTC | 2020/04/30 05:21:07.4684 UTC | 63270 |
|
|
|
|
|
Begin |
End | Number Profiles |
|---|---|---|
| 2020/04/30 05:21:07.5180 UTC | 2020/04/30 06:07:21.0244 UTC | 55845 |
|
|
|
|
|
Begin |
End | Number Profiles |
|---|---|---|
| 2020/04/30 06:07:21.0740 UTC | 2020/04/30 06:59:39.0924 UTC | 63270 |
|
|
|
|
|
Begin |
End | Number Profiles |
|---|---|---|
| 2020/04/30 06:59:39.1420 UTC | 2020/04/30 07:45:53.3924 UTC | 55935 |
|
|
|
|
|
Begin |
End | Number Profiles |
|---|---|---|
| 2020/04/30 07:45:53.4420 UTC | 2020/04/30 08:38:11.4614 UTC | 63270 |
|
|
|
|
|
Begin |
End | Number Profiles |
|---|---|---|
| 2020/04/30 08:38:11.5110 UTC | 2020/04/30 09:24:25.0183 UTC | 55920 |
|
|
|
|
|
Begin |
End | Number Profiles |
|---|---|---|
| 2020/04/30 09:24:25.0679 UTC | 2020/04/30 10:16:43.0873 UTC | 63270 |
|
|
|
|
|
Begin |
End | Number Profiles |
|---|---|---|
| 2020/04/30 10:16:43.1369 UTC | 2020/04/30 11:02:57.3883 UTC | 55935 |
|
|
|
|
|
Begin |
End | Number Profiles |
|---|---|---|
| 2020/04/30 11:02:57.4379 UTC | 2020/04/30 11:55:15.4574 UTC | 63270 |
|
|
|
|
|
Begin |
End | Number Profiles |
|---|---|---|
| 2020/04/30 11:55:15.5070 UTC | 2020/04/30 12:41:29.0134 UTC | 55920 |
|
|
|
|
|
Begin |
End | Number Profiles |
|---|---|---|
| 2020/04/30 12:41:29.0630 UTC | 2020/04/30 13:33:47.0833 UTC | 63270 |
|
|
|
|
|
Begin |
End | Number Profiles |
|---|---|---|
| 2020/04/30 13:33:47.1329 UTC | 2020/04/30 14:20:01.3834 UTC | 55935 |
|
|
|
|
|
Begin |
End | Number Profiles |
|---|---|---|
| 2020/04/30 14:20:01.4330 UTC | 2020/04/30 15:12:19.4523 UTC | 63270 |
|
|
|
|
|
Begin |
End | Number Profiles |
|---|---|---|
| 2020/04/30 15:12:19.5019 UTC | 2020/04/30 15:58:33.0083 UTC | 55920 |
|
|
|
|
|
Begin |
End | Number Profiles |
|---|---|---|
| 2020/04/30 15:58:33.0579 UTC | 2020/04/30 16:50:51.0754 UTC | 63270 |
|
|
|
|
|
Begin |
End | Number Profiles |
|---|---|---|
| 2020/04/30 16:50:51.1250 UTC | 2020/04/30 17:37:05.3734 UTC | 55935 |
|
|
|
|
|
Begin |
End | Number Profiles |
|---|---|---|
| 2020/04/30 17:37:05.4230 UTC | 2020/04/30 18:29:23.4404 UTC | 63270 |
|
|
|
|
|
Begin |
End | Number Profiles |
|---|---|---|
| 2020/04/30 18:29:23.4900 UTC | 2020/04/30 19:15:36.9954 UTC | 55920 |
|
|
|
|
|
Begin |
End | Number Profiles |
|---|---|---|
| 2020/04/30 19:15:37.0450 UTC | 2020/04/30 20:07:55.0633 UTC | 63270 |
|
|
|
|
|
Begin |
End | Number Profiles |
|---|---|---|
| 2020/04/30 20:07:55.1129 UTC | 2020/04/30 20:54:09.3634 UTC | 55935 |
|
|
|
|
|
Begin |
End | Number Profiles |
|---|---|---|
| 2020/04/30 20:54:09.4130 UTC | 2020/04/30 21:46:27.4304 UTC | 63270 |
|
|
|
|
|
Begin |
End | Number Profiles |
|---|---|---|
| 2020/04/30 21:46:27.4800 UTC | 2020/04/30 22:32:40.9854 UTC | 55920 |
|
|
|
|
|
Begin |
End | Number Profiles |
|---|---|---|
| 2020/04/30 22:32:41.0350 UTC | 2020/04/30 23:24:59.0394 UTC | 62940 |
|
|
|
|
|
Begin |
End | Number Profiles |
|---|---|---|
| 2020/04/30 23:24:59.0890 UTC | 2020/05/01 00:11:13.3374 UTC | 55935 |
|
|
|
|
|
























































































































